| Συνδεθείτε στην Υπηρεσία Νομοσκόπιο | | | | | Νέοι χρήστες | | Εάν είστε νέος χρήστης, θα πρέπει να δημιουργήσετε ένα ΔΩΡΕΑΝ λογαριασμό προκειμένου να φύγει το παράθυρο αυτό και να αποκτήσετε πλήρη πρόσβαση στην υπηρεσία Νομοσκόπιο. | | Δημιουργία νέου λογαριασμού | | |
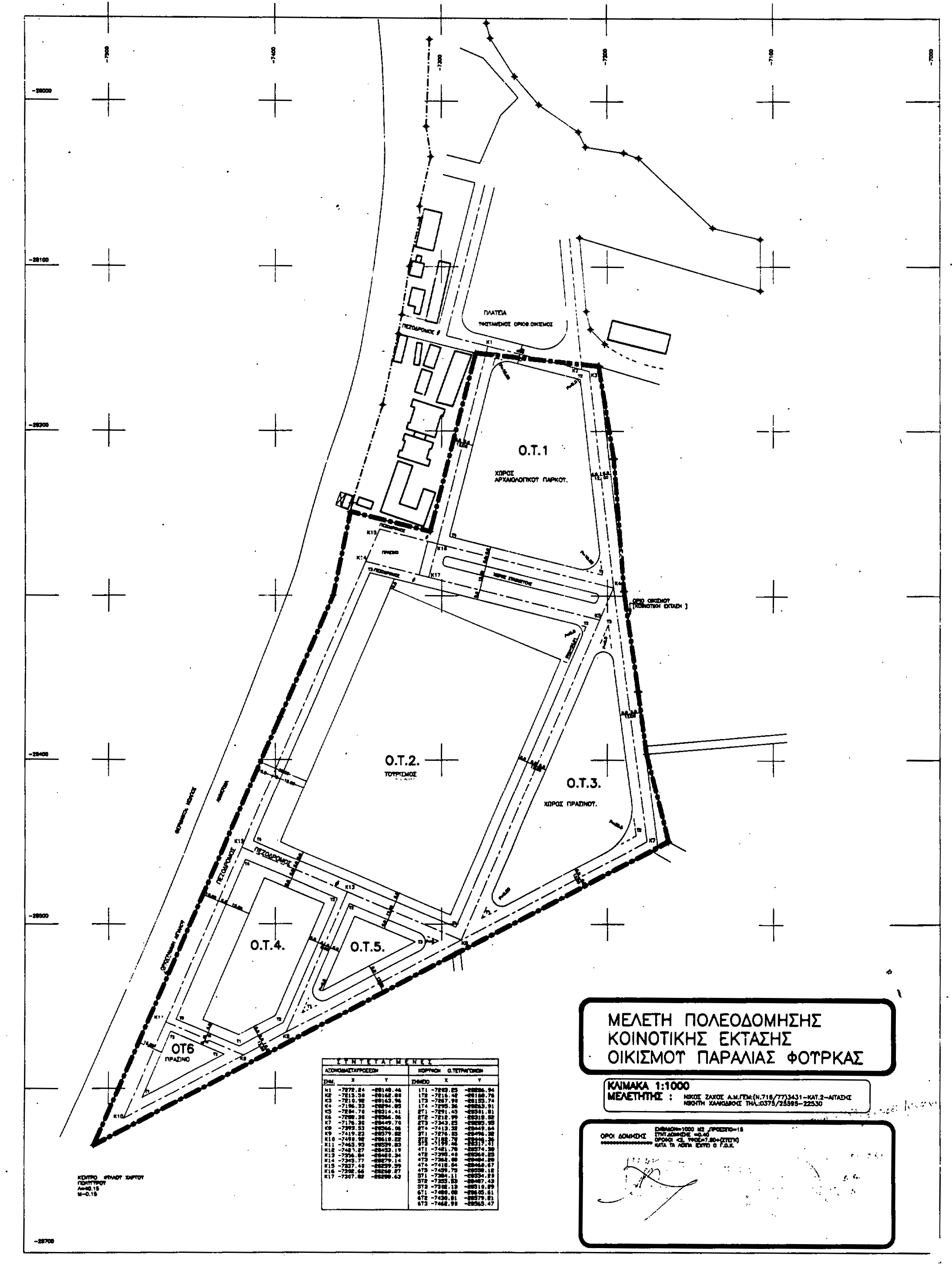
Απόφαση ΕΠΑ/1356/1991: Έγκριση πολεοδομικής μελέτης επέκτασης οικισμού παραλία Φούρκας νομού Χαλκιδικής περιοχής νότια του οικισμού, (ΦΕΚ 908/Δ/1991), 12-12-1991.
Ο Νομάρχης Χαλκιδικής
Έχοντας υπόψη:
1. Το από 20-08-1985 προεδρικό διάταγμα (ΦΕΚ 414/Δ/1985) πολεοδόμηση και επέκταση οικισμών της χώρας μέχρι 2000 κατοίκους και ειδικότερα τα άρθρα 3 και 4 αυτού.
2. Τις διατάξεις του από 17-07-1923 νομοθετικού διατάγματος περί σχεδίων πόλεων κ.λ.π. ... όπως τροποποιήθηκε και συμπληρώθηκε μεταγενέστερα και ειδικότερα το άρθρο 3 αυτού.
3. Την οίκοθεν 55254/1988 απόφαση Νομάρχη καθορισμού ορίων και κατηγορίας οικισμού παραλίας Φούρκας.
4. Την υπ' αριθμόν 79/1991 απόφαση κοινοτικού συμβουλίου Φούρκας.
5. Την 13η/1991 συνεδρίαση Νομαρχιακού Συμβουλίου Περιβάλλοντος, Χωροταξίας και Δημοσίων Έργων.
6. Το 3015/1991 έγγραφο ΙΣΤ Εφορείας Κλασσικών Αρχαιοτήτων, αποφασίζουμε:
Εγκρίνουμε:
Α. Το πολεοδομικό σχέδιο επέκτασης του οικισμού παραλίας Φούρκας στην εκτός των ορίων νότια περιοχή του οικισμού και όπου υπάρχει κοινοτική έκταση.

Β. Τον πολεοδομικό κανονισμό ως εξής:
Πολεοδομικός Κανονισμός
Άρθρο 1: Αρτιότητα
Άρθρο 2: Όροι δόμησης
Η παρούσα να δημοσιευθεί μετά του Πολεοδομικού σχεδίου που την συνοδεύει στην Εφημερίδα της Κυβερνήσεως.
Πολύγυρος, 31-10-1991.
Η Νομάρχης