| Συνδεθείτε στην Υπηρεσία Νομοσκόπιο | | | | | Νέοι χρήστες | | Εάν είστε νέος χρήστης, θα πρέπει να δημιουργήσετε ένα ΔΩΡΕΑΝ λογαριασμό προκειμένου να φύγει το παράθυρο αυτό και να αποκτήσετε πλήρη πρόσβαση στην υπηρεσία Νομοσκόπιο. | | Δημιουργία νέου λογαριασμού | | |
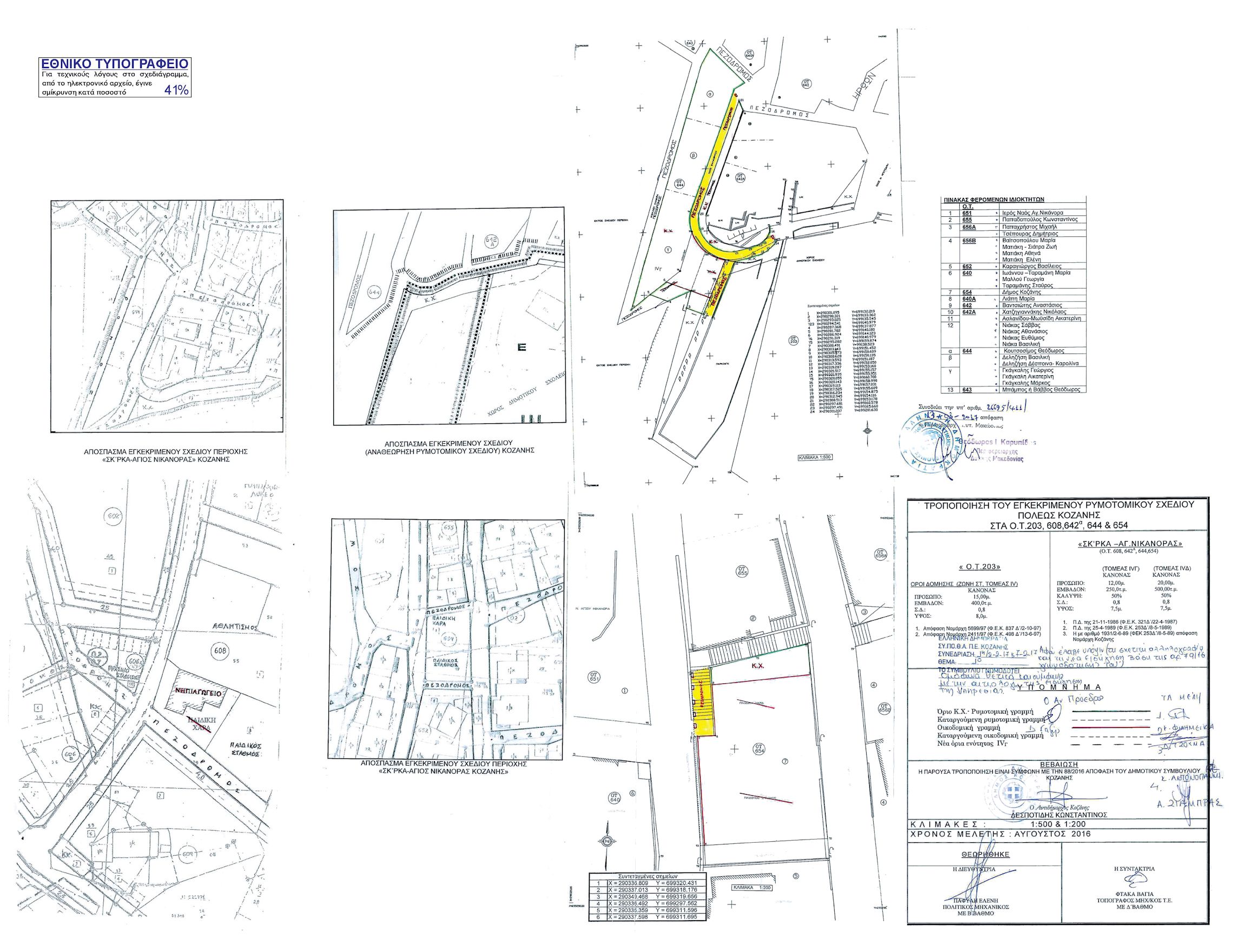
Απόφαση 26695/411/2017: Τροποποίηση του εγκεκριμένου ρυμοτομικού σχεδίου της πόλεως Κοζάνης στα οικοδομικά τετράγωνα 203, 608, 644, 654 και 642Α στην περιοχή Σκ'ρκα -Άγιο Νικάνορα, (ΦΕΚ 64/ΑΑΠ/2017), 24-03-2017.
Ο Περιφερειάρχης Δυτικής Μακεδονίας
Έχοντας υπόψη:
1. Τις διατάξεις των άρθρων 152, 153, 154 και 160 του από 14-07-1999 προεδρικού διατάγματος Κώδικας Βασικής Πολεοδομικής Νομοθεσίας, (ΦΕΚ 580/Δ/1999).
2. Το νόμο 1337/1983 (ΦΕΚ 33/Α/1983) περί Επέκτασης των Πολεοδομικών σχεδίων, Οικιστική ανάπτυξη και σχετικές ρυθμίσεις.
3. Τις διατάξεις του άρθρου 29 του νόμου 2831/2000 (ΦΕΚ 140/Α/2000), όπως αντικαταστάθηκαν από το άρθρο 10 του νόμου 3044/2002 (ΦΕΚ 197/Α/2002).
4. Τις διατάξεις του άρθρου 31 του νόμου 4067/2012 (ΦΕΚ 79/Α/2012) Νέος Οικοδομικός Κανονισμός.
5. Τις διατάξεις των άρθρων 30 και 31 του νόμου 4030/2011 (ΦΕΚ 249/Α/2011) Νέος τρόπος έκδοσης αδειών δόμησης, ελέγχου κατασκευών και λοιπές διατάξεις.
6. Το νόμος 3852/2010 (ΦΕΚ 87/Α/2010) Νέα Αρχιτεκτονική της Αυτοδιοίκησης και της Αποκεντρωμένης Διοίκησης - Πρόγραμμα Καλλικράτης και ειδικότερα το άρθρο 186 παράγραφος II υποπαράγραφος ΣΤ αριθμός 39.
7. Το προεδρικό διάταγμα 146/2010 (ΦΕΚ 239/Α/2010) Οργανισμός της Περιφέρειας Δυτικής Μακεδονίας.
8. Το από 21-11-1986 προεδρικό διάταγμα (ΦΕΚ 321/Δ/1987) για την Έγκριση της Πολεοδομικής Μελέτης περιοχής Σκ'ρκα-Άγιος Νικάνορας (νομού Κοζάνης).
9. Το από 25-04-1989 προεδρικό διάταγμα (ΦΕΚ 253/Δ/1989) περί συμπλήρωσης του παραπάνω προεδρικού διατάγματος.
10. Τη με αριθμό πρωτοκόλλου 1931/1989 (ΦΕΚ 396/Δ/1989) απόφαση Νομάρχη Κοζάνης για την τροποποίηση ρυμοτομικού σχεδίου περιοχής Σκ'ρκα-Άγιος Νικάνορας Κοζάνης.
11. Τη με αριθμό πρωτοκόλλου 5699/1997 (ΦΕΚ 837/Δ/1997) απόφαση Νομάρχη Κοζάνης για την Αναθεώρηση όρων δόμησης Κοζάνης - Λοιποί όροι δόμησης.
12. Τη με αριθμό πρωτοκόλλου 2411/1997 (ΦΕΚ 498/Δ/1997) απόφαση Νομάρχη Κοζάνης για την Αναθεώρηση όρων δόμησης Κοζάνης - Ύψη - Ειδικοί όροι δόμησης περιοχής Αγίων Αναργύρων Κοζάνης.
13. Τα από 14-05-2015 δύο Υπηρεσιακά Σημειώματα με συνημμένες σε αυτά Εισηγητικές Εκθέσεις της Διεύθυνσης Τεχνικών Υπηρεσιών/Τμήμα Εκτέλεσης Έργων προς τη Διεύθυνση Πολεοδομικού Σχεδιασμού-Εφαρμογών και Υπηρεσίας Δόμησης Δήμου Κοζάνης.
14. Το από 26-01-2016 Υπηρεσιακό Σημείωμα - Εισήγηση του Αντιδημάρχου Κοζάνης Κ. Δεσποτίδη προς τη Διεύθυνση Πολεοδομικού Σχεδιασμού-Εφαρμογών και Υπηρεσίας Δόμησης Δήμου Κοζάνης για τροποποίηση του ρυμοτομικού σχεδίου στα οικοδομικά τετράγωνα 203, 608, 644, 654 και 642Α στην περιοχή Σκ'ρκας-Αγίου Νικάνορα.
15. Την υπ' αριθμόν 88/2016 Απόφαση Δημοτικού Συμβουλίου Κοζάνης, που γνωμοδοτεί θετικά για την εν λόγω τροποποίηση.
16. Τα αποδεικτικά επίδοσης προς τους ενδιαφερόμενους.
17. Το υπ' αριθμόν πρωτοκόλλου 666/13-04-2016 αποδεικτικό δημοσίευσης της υπ' αριθμόν 88/2016 απόφασης Δημοτικού Συμβουλίου Κοζάνης σε δύο εφημερίδες, το υπ' αριθμόν πρωτοκόλλου 664/13-04-2016 αποδεικτικό ανάρτησης της παραπάνω απόφασης του Δημοτικού Συμβουλίου Κοζάνης στο Τμήμα Πολεοδομικού Σχεδιασμού και Εφαρμογών της Διεύθυνσης Πολεοδομικού Σχεδιασμού Εφαρμογών και Υπηρεσίας Δόμησης του Δήμου Κοζάνης και την υπ' αριθμόν πρωτοκόλλου 658/12-04-2016 γνωστοποίηση της υπ' αριθμόν 88/2016 Απόφασης Δημοτικού Συμβουλίου Κοζάνης στους φερόμενους ιδιοκτήτες.
18. Το υπ' αριθμόν πρωτοκόλλου 1673/31-08-2016 διαβιβαστικό του Δήμου Κοζάνης με το οποίο βεβαιώνεται ότι κατά της εν λόγω τροποποίησης υποβλήθηκαν ενστάσεις οι οποίες κρίθηκαν από το Δημοτικό Συμβούλιο Κοζάνης (382/2016 Απόφαση Δημοτικού Συμβουλίου), καμιά ιδιοκτησία δεν γίνεται μη άρτια και δεν έχουμε μείωση κοινόχρηστου χώρου.
19. Τις τέσσερις ενστάσεις που υποβλήθηκαν κατά της 88/2016 Απόφασης του Δημοτικού Συμβουλίου Κοζάνης:
α) Την υπ' αριθμόν πρωτοκόλλου Δήμου Κοζάνης 746/22-04-2016 Αίτηση-Ένσταση της Ιωάννου Μαρίας,
β) Την υπ' αριθμόν πρωτοκόλλου Δήμου Κοζάνης 805/04-05-2016 Αίτηση-Ένσταση της Παπαχρήστου Ελένης,
γ) Την υπ' αριθμόν πρωτοκόλλου Δήμου Κοζάνης 883/16-05-2016 Αίτηση-Ένσταση του Καραγιώργου Βασιλείου,
δ) Την υπ' αριθμόν πρωτοκόλλου Δήμου Κοζάνης 767/26-04-2016 Ένσταση των Ματιάκη Αθηνάς και Ελένης.
20. Την υπ' αριθμόν 382/2016 απόφαση Δημοτικού Συμβουλίου Κοζάνης, που απορρίπτει όλες τις παραπάνω ενστάσεις.
21. Την υπ' αριθμόν πρωτοκόλλου 118790/3254/12-10-2016 Εισήγηση προς το Συμβούλιο Πολεοδομικών Θεμάτων και Αμφισβητήσεων Περιφερειακής Ενότητας Κοζάνης.
22. Την από 03-11-2016 (αριθμός πρωτοκόλλου 150259/4012/07-11-2016) ένσταση των Ιωάννου Μ., Παπαχρήστου Ε. και Καραγιώργου Β. κατά της αριθμ 382/2016 απόφασης του Δημοτικού Συμβουλίου Κοζάνης.
23. Το υπ' αριθμόν πρωτοκόλλου 150259/4012/09-11-2016 έγγραφο προς τη Διεύθυνση Πολεοδομικού Σχεδιασμού-Εφαρμογών και Υπηρεσίας Δόμησης του Δήμο Κοζάνης.
24. Το υπ' αριθμόν πρωτοκόλλου 2202/15-11-2016 έγγραφο της Διεύθυνσης Πολεοδομικού Σχεδιασμού-Εφαρμογών και Υπηρεσίας Δόμησης του Δήμου Κοζάνης.
25. Το υπ' αριθμόν πρωτοκόλλου 155775/4128/23-11-2016 έγγραφο, απάντηση στην παραπάνω ένσταση.
26. Την υπ' αριθμόν πρωτοκόλλου 79/23-11-2016 Γνωμοδότηση του Συμβουλίου Πολεοδομικών Θεμάτων και Αμφισβητήσεων Περιφερειακής Ενότητας Κοζάνης.
27. Το υπ' αριθμόν πρωτοκόλλου 161832/4232/30-11-2016 έγγραφο προς τη Διεύθυνση Πολεοδομικού Σχεδιασμού-Εφαρμογών και Υπηρεσίας Δόμησης του Δήμου Κοζάνης.
28. Το υπ' αριθμόν πρωτοκόλλου 198712/19-12-2016 έγγραφο της Διεύθυνσης Περιβάλλοντος και Χωρικού Σχεδιασμού Δυτικής Μακεδονίας της Αποκεντρωμένης Διοίκησης Ηπείρου Δυτικής Μακεδονίας.
29. Το υπ' αριθμόν πρωτοκόλλου 2362/23-12-2016 έγγραφο της Διεύθυνσης Πολεοδομικού Σχεδιασμού-Εφαρμογών και ΥΔΟΜ του Δήμου Κοζάνης.
30. Το υπ' αριθμόν πρωτοκόλλου 7238/107/19-01-2017 έγγραφο προς το Συμβούλιο Πολεοδομικών Θεμάτων και Αμφισβητήσεων Περιφερειακής Ενότητας Κοζάνης.
31. Την υπ' αριθμόν πρωτοκόλλου 18778/291/02-02-2017 εισήγηση της Διεύθυνσης Περιβάλλοντος και Χωρικού Σχεδιασμού - Τμήμα Χωρικού Σχεδιασμού της Περιφέρειας Δυτικής Μακεδονίας.
32. Την υπ' αριθμόν πρωτοκόλλου 34230/1525/06-11-2015 (ΦΕΚ 853/ΥΟΔΔ/2015) Απόφαση Συγκρότησης του Συμβουλίου Πολεοδομικών Θεμάτων και Αμφισβητήσεων της Περιφερειακής Ενότητας Κοζάνης, του ασκούντος Καθήκοντα Γενικού Γραμματέα Αποκεντρωμένης Διοίκησης Ηπείρου - Δυτικής Μακεδονίας.
33. Την υπ' αριθμόν πρωτοκόλλου 8/08-02-2017 θετική γνωμοδότηση (σύμφωνα με την αιτιολογία της εισήγησης της Διεύθυνσης Περιβάλλοντος και Χωρικού Σχεδιασμού-Τμήμα Χωρικού Σχεδιασμού της Περιφέρειας Δυτικής Μακεδονίας) του Συμβουλίου Πολεοδομικών Θεμάτων και Αμφισβητήσεων Περιφερειακής Ενότητας Κοζάνης που διατυπώθηκε στην 1η Συνεδρίαση θέμα 1ο στις 02-02-2017.
34. Τις διατάξεις του άρθρου 90 του Κώδικα Νομοθεσίας για την Κυβέρνηση και τα κυβερνητικά όργανα που κυρώθηκε με το άρθρο πρώτο του προεδρικού διατάγματος 63/2005 (ΦΕΚ 98/Α/2005) και το γεγονός ότι από την εφαρμογή των κανονιστικών αυτών διατάξεων δεν προκαλείται δαπάνη σε βάρος του Κρατικού ή Δημοτικού προϋπολογισμού.
Και επειδή:
Σύμφωνα με την εισήγηση της, η Διεύθυνση Περιβάλλοντος και Χωρικού Σχεδιασμού της Περιφέρειας Δυτικής Μακεδονίας, θεωρεί ότι πρέπει να γίνει η αιτούμενη τροποποίηση, γιατί ύστερα από μελέτη του φακέλου και μετά από επιτόπια αυτοψία, διαπιστώθηκε ότι συντρέχουν κατά την ισχύουσα νομοθεσία οι προϋποθέσεις :
α) Η τήρηση από το Δήμο Κοζάνης της κατά το νόμο διαδικασίας σύμφωνα με το άρθρο 154 του από 14-07-1999 προεδρικού διατάγματος (ΦΕΚ 580/Δ/1999) Κώδικας Βασικής Πολεοδομικής Νομοθεσίας, όπως ισχύει σήμερα.
β) Η ύπαρξη σοβαρής πολεοδομικής ανάγκης καθώς με τη συγκεκριμένη τροποποίηση επιλύονται προβλήματα εφαρμογής του εγκεκριμένου ρυμοτομικού σχεδίου στα οικοδομικά τετράγωνα 203, 608, 644, 654 και 642Α στην περιοχή Σκ'ρκα-Αγίου Νικάνορα.
Συγκεκριμένα το οικοδομικό τετράγωνο 644 το οποίο αποτελεί φυσική συνέχεια του υφιστάμενου περιαστικού δάσους, έχει τα ίδια γεωλογικά, μορφολογικά και φυσικά χαρακτηριστικά με αυτό (βράχια, πεύκα), τα οποία καθιστούν την περιοχή εξαιρετικά δύσβατη λόγω του βραχώδους εδάφους αλλά κυρίως λόγω των έντονων κλίσεων (περίπου 20%).
Αυτό έχει σαν αποτέλεσμα να είναι τεχνικά δύσκολη έως αδύνατη, τόσο η οικοδόμηση των οικοπέδων με αριθμούς 82Α και 82Β, καθώς αυτή, στη φάση της εκσκαφής των οικοπέδων, θα έχει σοβαρές επιπτώσεις στο φυσικό περιβάλλον με βίαιους εκβραχισμούς, κοπή δέντρων και διατάραξη της φυσικής ισορροπίας, όσο και η κατασκευή της οδού προσπέλασης (οδός Βαλαωρίτου) μεταξύ των οικοδομικών τετραγώνων 644 και 642Α πλάτους 5 m, καθώς αυτή απαιτεί κατασκευή μεγάλων τοιχείων αντιστήριξης σε μικρή απόσταση από παλιές κατοικίες με χρήση εκρηκτικών κατά την εκσκαφή (από 14-05-2015 εισήγηση Διεύθυνσης Τεχνικών Υπηρεσιών του Δήμου), κάτι που είναι απαγορευτικό σε κατοικημένη περιοχή, λύση επομένως και οικονομικά δαπανηρή. Επίσης θα πρέπει να σημειωθεί ότι το βραχώδες έδαφος δυσκολεύει την κατασκευή των δικτύων ύδρευσης, αποχέτευσης και τηλεθέρμανσης.
Για τους παραπάνω λόγους κρίνεται απαραίτητο να γίνει:
1. Ο χαρακτηρισμός ολόκληρου του οικοδομικού τετραγώνου 644 σαν ΚΟΙΝΟΧΡΗΣΤΟΙ ΧΩΡΟΣ.
2. Ο χαρακτηρισμός τμήματος της οδού Βαλαωρίτου μεταξύ των οικοδομικών τετραγώνων 644 και 642Α σαν ΠΕΖΟΔΡΟΜΟΣ πλάτους 2,5 m και το υπόλοιπο τμήμα πλάτους επίσης 2,5 m. σαν ΚΟΙΝΟΧΡΗΣΤΟΣ ΧΩΡΟΣ.
3. α. Σε τμήμα του πεζόδρομου και της κοινόχρηστης έκτασης στη συμβολή των οικοδομικών τετραγώνων 644, 642Α και 203, η δημιουργία οικοδομήσιμου χώρου με πρασιές εμβαδού 252 m2 που θα αποδοθεί στους ιδιοκτήτες του βόρειου οικοπέδου 82Α του οικοδομικού τετραγώνου 644 σαν αποζημίωση λόγω της ρυμοτομικής απαλλοτρίωσης που τους επιβάλλεται και η δημιουργία νέου πεζόδρομου πλάτους 3 m,
β. ο χαρακτηρισμός τμήματος της οδού Καπετάν Βάρδα σαν ΠΕΖΟΔΡΟΜΟΣ και σαν ΚΟΙΝΟΧΡΗΣΤΟΣ ΧΩΡΟΣ Κ.Χ.,
γ. η τροποποίηση των ορίων της Ζώνης ΣΤ' και Τομέα II της αναθεώρησης του παλιού σχεδίου, ώστε ο παραπάνω νεοδημιουργούμενος οικοδομήσιμος χώρος να ανήκει εξ ολοκλήρου στον τομέα IVΓ της περιοχής Σκ'ρκα-Αγίου Νικάνορα.
4. Η αλλαγή χρήσης του οικοδομικού τετραγώνου 654 από ΠΑΙΔΙΚΗ ΧΑΡΑΠΑΙΔΙΚΟΣ ΣΤΑΘΜΟΣ σε οικοδομήσιμο χώρο εμβαδού 300 m2 που θα αποδοθεί στους ιδιοκτήτες του μεσαίου οικοπέδου 82Β του οικοδομικού τετραγώνου 644 σαν αποζημίωση λόγω της ρυμοτομικής απαλλοτρίωσης που τους επιβάλλεται, σε ΠΕΖΟΔΡΟΜΟ ο οποίος προσαρμόζεται στην υπάρχουσα κατασκευή και σε ΚΟΙΝΟΧΡΗΣΤΟ ΧΩΡΟ Κ.Χ. το υπόλοιπο τμήμα.
Η αλλαγή χρήσης επιβάλλεται καθώς το οικοδομικό τετράγωνο 654, όπως αναφέρεται και στην από 14-05-2015 Εισηγητική Έκθεση της Διεύθυνσης Τεχνικών Υπηρεσιών του Δήμου, είναι ακατάλληλο και για τις δύο χρήσεις ΠΑΙΔΙΚΗ ΧΑΡΑ- ΠΑΙΔΙΚΟΣ ΣΤΑΘΜΟΣ ή ακόμη και για τη μία, λόγω των μεγάλων κλίσεων αλλά και του πολύ μικρού μεγέθους του, λαμβάνοντας υπόψη και τις προδιαγραφές κατασκευής, ίδρυσης και λειτουργίας παιδικών σταθμών και παιδικών χαρών.
5. Η αλλαγή χρήσης του χώρου ΠΑΙΔΙΚΗ ΧΑΡΑ του οικοδομικού τετραγώνου 608 σε χώρο ΝΗΠΙΑΓΩΓΕΙΟΥ καθώς εκεί υπάρχουν ήδη οι απαραίτητες κτιριακές εγκαταστάσεις και λειτουργεί το 6° Νηπιαγωγείο της πόλης.
6. Η απόδοση στους ιδιοκτήτες του νότιου οικοπέδου 82Γ του οικοδομικού τετραγώνου 644, σαν αποζημίωση λόγω της ρυμοτομικής απαλλοτρίωσης που τους επιβάλλεται, του με κ.α. Ν040138Α οικοπέδου στο οικοδομικό τετράγωνο 896 της περιοχής Πλατάνια.
γ) Δεν προκαλείται δαπάνη σε βάρος του Κρατικού ή Δημοτικού προϋπολογισμού.
δ) 1. Με τις ενστάσεις τους οι Ιωάννου Μαρία και Καραγιώργου Βασίλειος ζητάνε την παραμονή της χρήσης γης ΠΑΙΔΙΚΗ ΧΑΡΑ - ΠΑΙΔΙΚΟΣ ΣΤΑΘΜΟΣ στο οικοδομικό τετράγωνο 654. Θα πρέπει οι δύο αυτές ενστάσεις να απορριφθούν για τους παραπάνω αναφερόμενους λόγους που αφορούν δηλαδή στην αναγκαιότητα τροποποίησης του ρυμοτομικού σχεδίου λόγω της δυσκολία εφαρμογής του στα οικοδομικά τετράγωνα 203, 608, 644, 654 και 642Α στην περιοχή Σκ'ρκα - Αγίου Νικάνορα.
2. Οι ενστάσεις των Ματιάκη Αθηνάς και Ελένης και Παπαχρήστου Ελένης επίσης θα πρέπει να απορριφθούν για τους παραπάνω λόγους και επιπλέον για το λόγο ότι κατά την παρούσα διαδικασία τροποποίησης του υπάρχοντος εγκεκριμένου ρυμοτομικού σχεδίου δεν εξετάζονται τα δικαιώματα της ατομικής ιδιοκτησίας, τα οποία στη συγκεκριμένη περίπτωση έχουν επιλυθεί και οριστικοποιηθεί με το υπ' αριθμόν 3626/26-02-2002 συμβόλαιο ανταλλαγής οικοπέδων του Συμβολαιογράφου Κοζάνης Σιούλα Λάζαρου, εφαρμόζοντας το ισχύων εγκεκριμένο ρυμοτομικό σχέδιο. Συνεπώς θα πρέπει στη μελέτη τροποποίησης του εγκεκριμένου ρυμοτομικού σχεδίου, να πρυτανεύει πάντα η ίδια αρχή που είναι η κοινή ανάγκη ή ωφέλεια, λαμβάνοντας υπόψη συγκεκριμένα πολεοδομικά κριτήρια.
ε) Σχετικά με τα αναφερόμενα στο με αριθμό 79/23-11-2016 έγγραφο του Συμβουλίου Πολεοδομικών Θεμάτων και Αμφισβητήσεων Περιφερειακής Ενότητας Κοζάνης, οι απόψεις της Υπηρεσίας είναι οι εξής:
1. Η από 03-11-2016 νέα ένσταση των Ιωάννου Μ., Παπαχρήστου Ε. και Καραγιώργου Β. που υποβλήθηκε κατά της υπ' αριθμόν 382/2016 απόφασης με την οποία το Δημοτικό Συμβούλιο Κοζάνης απόρριψε τις αρχικές τους ενστάσεις.
Άποψη της Υπηρεσίας είναι ότι η ένσταση αυτή θα πρέπει να απορριφθεί στο σύνολο της όπως και οι αρχικές της, καθώς αυτή έχει το ίδιο περιεχόμενο με αυτές.
Όσων αφορά τον ισχυρισμό των ενιστάμενων σχετικά με την ύπαρξη όρου στη Διαθήκη της Στυλιανής Πατένα κατά τη δωρεά του οικοπέδου της εκτάσεως 726 m2 στο Δήμο Κοζάνης, ο οποίος όρος καθορίζει ότι ο σκοπός της δωρεάς ήταν κοινωνικός και επομένως το οικόπεδο δεν είναι δυνατόν να παραχωρηθεί σε ιδιώτη, κρίνεται αβάσιμος καθώς από τον έλεγχο της διαθήκης αλλά και των άλλων σχετικών στοιχείων που μας διαβίβασε ο Δήμος Κοζάνης, δεν αποδεικνύεται η ύπαρξη τέτοιου όρου.
Συνεπώς άποψή μας είναι ότι δεν τίθεται θέμα αλλαγής του σκοπού του διαθέτη με την προτεινόμενη τροποποίηση του εγκεκριμένου ρυμοτομικού σχεδίου, καθώς ο Δήμος μετά την αποδοχή κληρονομιάς, είναι ελεύθερος να διαθέσει όπως αυτός θέλει την παραπάνω οικοπεδική έκταση, χωρίς να υπάρχει κάποιος περιοριστικός όρος.
2. Ισοζύγιο κοινοχρήστων - κοινωφελών χώρων. Ο Δήμος Κοζάνης στο με αριθμό πρωτοκόλλου 1673/31-08-2016 έγγραφο του, με το οποίο διαβιβάστηκε ο φάκελος της εν λόγω τροποποίησης, βεβαιώνει ότι με την προτεινόμενη τροποποίηση καμιά ιδιοκτησία δεν γίνεται μη άρτια και δεν έχουμε μείωση κοινόχρηστου χώρου.
Αναλυτικά το ισοζύγιο κοινοχρήστων - κοινωφελών εκτάσεων με το ακριβές εμβαδόν των καταργούμενων και των δημιουργούμενων εκτάσεων φαίνεται στον ενσωματωμένο πίνακα της Τεχνικής Έκθεσης που συντάχθηκε από τη Διεύθυνση Πολεοδομικού Σχεδιασμού-Εφαρμογών και ΥΔΟΜ του Δήμου Κοζάνης και συνοδεύει την προτεινόμενη τροποποίηση.
Καταργούμενες εκτάσεις:
Οικοδομικό τετράγωνο 654
|
Παιδικός Σταθμός
Π.Χ. (του Παιδικού Σταθμού)
|
Ε= 366,53 m2
|
Οικοδομικό τετράγωνο 203 Πεζόδρομος μεταξύ των οικοδομικών τετραγώνων 203 και 644
|
Κ.Χ-Πεζόδρομος
|
Ε= 252,00 m2
|
Οικοδομικό τετράγωνο 608
|
Παιδική Χαρά
|
Ε= 426,00 m2
|
Δημιουργούμενες εκτάσεις:
Οικοδομικό τετράγωνο 644
|
ΚΧ
|
Ε= 856,45 m2
|
Οικοδομικό τετράγωνο 654
|
Κ.Χ-Πεζόδρομος
|
Ε= 66,53 m2
|
Οικοδομικό τετράγωνο 608
|
Νηπιαγωγείο
|
Ε= 426,00 m2
|
Από τον πίνακα αυτό προκύπτει ότι με την προτεινόμενη τροποποίηση θα έχουμε αύξηση κοινόχρηστων κοινωφελών εκτάσεων.
3. Αναφορικά με τα χαρακτηριστικά της ευρύτερης περιοχής στην οποία εντάσσονται τα οικοδομικά τετράγωνα 654 και 608, η άποψη της Υπηρεσίας ταυτίζεται με αυτή της Διεύθυνσης Πολεοδομικού Σχεδιασμού-Εφαρμογών και Υπηρεσίας Δόμησης του Δήμου Κοζάνης, καθώς με την προτεινόμενη τροποποίηση δεν επιβαρύνεται το δομημένο περιβάλλον. Συγκεκριμένα:
Το οικοδομικό τετράγωνο 654, γειτνιάζει με αρκετούς ελεύθερους χώρους όπως περιαστικό πράσινο, πάρκο (στο οικοδομικό τετράγωνο 633), την εκκλησία Αγίου Νικάνορα με τους γύρω κοινόχρηστους και κοινωφελείς χώρους και τον νεοδημιουργούμενο ΚΧ στο οικοδομικό τετράγωνο 644. Επιπλέον η περιοχή δεν μπορεί να χαρακτηριστεί ιδιαίτερα δομημένη λόγω του μικρού συντελεστή δόμησης, του χαμηλού ύψους και της κλίσης του εδάφους που εξασφαλίζει φωτισμό και αερισμό στις κατασκευές.
Το οικοδομικό τετράγωνο 608, γειτνιάζει με σύνολο κοινόχρηστων και κοινωφελών χώρων με στάθμευση και καλύτερη οδική πρόσβαση, αποφασίζουμε:
Α. Την απόρριψη των ενστάσεων των 1) Ιωάννου Μαρίας, 2) Καραγιώργου Βασιλείου, 3) Ματιάκη Αθηνάς και Ελένης και 4) Παπαχρήστου Ελένης.
Β. Την απόρριψη της από 03-11-2016 ένστασης των Ιωάννου Μ., Παπαχρήστου Ε. και Καραγιώργου Β. κατά της υπ' αριθμόν 382/2016 Απόφασης του Δημοτικού Συμβουλίου Κοζάνης.
Γ. Την τροποποίηση του εγκεκριμένου ρυμοτομικού σχεδίου Κοζάνης στα οικοδομικά τετράγωνα 203, 608, 644, 654 και 642Α στην περιοχή Σκ'ρκας-Αγίου Νικάνορα και συγκεκριμένα:
1. το χαρακτηρισμό του οικοδομικού τετραγώνου 644 σαν ΚΟΙΝΟΧΡΗΣΤΟ ΧΩΡΟ Κ.Χ.
2. το χαρακτηρισμό τμήματος της οδού Βαλαωρίτου μεταξύ των οικοδομικών τετραγώνων 644 και 642Α σαν ΠΕΖΟΔΡΟΜΟ πλάτους 2,5 m και τμήματος σαν ΚΟΙΝΟΧΡΗΣΤΟ ΧΩΡΟ ΚΧ. πλάτους επίσης 2,5 m.
3. α. τη δημιουργία στη συμβολή των οικοδομικών τετραγώνων 644, 642Α και 203, οικοδομήσιμου χώρου με πρασιές και νέου πεζόδρομου πλάτους 3 m.
β. το χαρακτηρισμό τμήματος της οδού Καπετάν Βάρδα σαν ΠΕΖΟΔΡΟΜΟ και σαν ΚΟΙΝΟΧΡΗΣΤΟ ΧΩΡΟ Κ.Χ..
γ. την τροποποίηση των ορίων της Ζώνης ΣΤ' και τομέα II της αναθεώρησης του παλιού σχεδίου, ώστε ο παραπάνω νεοδημιουργούμενος οικοδομήσιμος χώρος να ανήκει εξ ολοκλήρου στον τομέα IVΓ της περιοχής Σκ'ρκα-Αγίου Νικάνορα.
4. την αλλαγή χρήσης του οικοδομικού τετραγώνου 654 από ΠΑΙΔΙΚΗ ΧΑΡΑΠΑΙΔΙΚΟΣ ΣΤΑΘΜΟΣ σε οικοδομήσιμο χώρο, ΠΕΖΟΔΡΟΜΟ και ΚΟΙΝΟΧΡΗΣΤΟ ΧΩΡΟ Κ.Χ.
5. την αλλαγή χρήσης του χώρου ΠΑΙΔΙΚΗ ΧΑΡΑ του οικοδομικού τετραγώνου 608 σε χώρο ΝΗΠΙΑΓΩΓΕΙΟΥ, όπως φαίνονται στο συνημμένο τοπογραφικό διάγραμμα για τους παραπάνω αναφερόμενους λόγους.
Δ. Η ισχύς της παρούσας αρχίζει από τη δημοσίευση στην Εφημερίδα της Κυβερνήσεως.
Ε. Η παρούσα απόφαση και τα συνημμένα σχέδια που τη συνοδεύουν να αναρτηθούν στο κτίριο της Περιφερειακής Ενότητας Κοζάνης, Διεύθυνσης Περιβάλλοντος και Χωρικού Σχεδιασμού 3ος όροφος, για 15 ημέρες μετά τη δημοσίευση του λεκτικού της απόφασης και των συνημμένων σχεδίων που το συνοδεύουν στο ΦΕΚ.
Επιτρέπεται η υποβολή προσφυγής στον Γενικό Γραμματέα Αποκεντρωμένης Διοίκησης Ηπείρου-Δυτικής Μακεδονίας, μόνο για παράβαση του Νόμου, σύμφωνα με τις διατάξεις των άρθρων 227 και 238 του νόμου 3852/2010 (ΦΕΚ 87/Α/2010) και σε προθεσμία 15 ημερών από τη δημοσίευση της απόφασης στην Εφημερίδα της Κυβερνήσεως.

Η απόφαση αυτή να δημοσιευθεί στην Εφημερίδα της Κυβερνήσεως.
Κοζάνη, 13-03-2017
Ο Περιφερειάρχης