| Συνδεθείτε στην Υπηρεσία Νομοσκόπιο | | | | | Νέοι χρήστες | | Εάν είστε νέος χρήστης, θα πρέπει να δημιουργήσετε ένα ΔΩΡΕΑΝ λογαριασμό προκειμένου να φύγει το παράθυρο αυτό και να αποκτήσετε πλήρη πρόσβαση στην υπηρεσία Νομοσκόπιο. | | Δημιουργία νέου λογαριασμού | | |
Απόφαση 27883/2017: Χαρακτηρισμός ως διατηρητέου κελύφους κτιρίου που βρίσκεται επί της οδού 28ης Οκτωβρίου (πρώην Καρόλου) 4 του εγκεκριμένου ρυμοτομικού σχεδίου του Δήμου Πατρέων (νομού Αχαΐας) και καθορισμός ειδικών όρων και περιορισμών δόμησης και χρήσης αυτού, (ΦΕΚ 145/ΑΑΠ/2017), 26-06-2017.
Ο Υπουργός Περιβάλλοντος και Ενέργειας
Έχοντας υπόψη:
1. Τις διατάξεις του άρθρου 6 (παράγραφοι 3)α και 3)γ) του νόμου 4067/2012 Νέος Οικοδομικός Κανονισμός (ΦΕΚ 79/Α/2012) και όπως η παράγραφος 3)α τροποποιήθηκε με το άρθρο 48 παράγραφος 2 του νόμου 4178/2013 (ΦΕΚ 174/Α/2013) και ισχύουν.
2. Τις διατάξεις των άρθρων 26 και 27 του νόμου 4030/2011 Νέος τρόπος έκδοσης αδειών δόμησης, ελέγχου κατασκευών και λοιπών διατάξεων (ΦΕΚ 249/Α/2011), όπως τροποποιήθηκαν με το άρθρο 49 (παράγραφοι 6 και 7) του νόμου 4178/2013 Αντιμετώπιση της Αυθαίρετης Δόμησης - Περιβαλλοντικό ισοζύγιο και άλλες διατάξεις (ΦΕΚ 174/Α/2013) και όπως το άρθρο 27 αντικαταστάθηκε με το άρθρο 21 (παράγραφος 4) του νόμου 4258/2014 Διαδικασία Οριοθέτησης και ρυθμίσεις θεμάτων για τα υδατορέματα - ρυθμίσεις Πολεοδομικής νομοθεσίας και άλλες διατάξεις (ΦΕΚ 94/Α/2014) και ισχύουν.
3. Τις διατάξεις του άρθρου 90 του Κώδικα Νομοθεσία για την Κυβέρνηση και τα κυβερνητικά όργανα, που κυρώθηκε με το πρώτο άρθρο του προεδρικού διατάγματος 63/2005 (ΦΕΚ 98/Α/2005).
4. Τις διατάξεις του άρθρου 4 του προεδρικού διατάγματος 70/2015 Ανασύσταση των Υπουργείων Πολιτισμού και Αθλητισμού, Υποδομών, Μεταφορών και Δικτύων, Αγροτικής Ανάπτυξης και Τροφίμων. Ανασύσταση του Υπουργείου Ναυτιλίας και Αιγαίου και μετονομασία του σε Υπουργείο Ναυτιλίας και Νησιωτικής Πολιτικής. Μετονομασία του Υπουργείου Πολιτισμού, Παιδείας και Θρησκευμάτων σε Υπουργείο Παιδείας, Έρευνας και Θρησκευμάτων, του Υπουργείου Οικονομίας, Υποδομών, Ναυτιλίας και Τουρισμού σε Υπουργείο Οικονομίας, Ανάπτυξης και Τουρισμού και του Υπουργείου Παραγωγικής Ανασυγκρότησης, Περιβάλλοντος και Ενέργειας σε Υπουργείο Περιβάλλοντος και Ενέργειας. Μεταφορά Γενικής Γραμματείας Βιομηχανίας στο Υπουργείο Οικονομίας, Ανάπτυξης και Τουρισμού (ΦΕΚ 114/Α/2015).
5. Τις υπ' αριθμόν πρωτοκόλλου ΥΠΕΝ 28566/06-06-2016, 37571/26-07-2016 και 51495/26-10-2016 αιτήσεις του Δ. Ανδριόπουλου εκπροσώπου της φερόμενης ιδιοκτήτριας εταιρείας ΚΑΡΟΛΟΥ ΤΟΥΡΙΣΤΙΚΗ Α.Ε.
6. Την από 21-12-2016 αιτιολογική έκθεση της Διεύθυνσης Αρχιτεκτονικής, Οικοδομικών Κανονισμών και Αδειοδοτήσεων του Υπουργείου Περιβάλλοντος και Ενέργειας.
7. Το υπ' αριθμόν 297/Α24/12-01-2017 έγγραφο του Δήμου Πατρέων (αριθμός πρωτοκόλλου ΥΠΕΝ 2369/17-01-2017), για την τήρηση της νόμιμης διαδικασίας.
8. Την από 16-01-2017 αίτηση των Θ. Μεσσάρη και Α. Χαλκιαδάκη νομίμων εκπροσώπων της φερόμενης ιδιοκτήτριας εταιρείας (αριθμός πρωτοκόλλου ΥΠΕΝ 2244/17-01-2017), με την οποία διατυπώνει απόψεις- παρατηρήσεις επί της από 21-12-2016 αιτιολογικής έκθεσης της Διεύθυνσης Αρχιτεκτονικής Οικοδομικών Κανονισμών και Αδειοδοτήσεων.
9. Την υπ' αριθμόν 11η/συνεδρία 1η/01-02-2017 γνωμοδότηση του Κεντρικού Συμβουλίου Αρχιτεκτονικής.
10. Το γεγονός ότι από τις κανονιστικές διατάξεις αυτής της απόφασης δεν προκαλείται δαπάνη σε βάρος του κρατικού προϋπολογισμού και του προϋπολογισμού του οικείου οργανισμού τοπικής αυτοδιοίκησης, αποφασίζουμε:
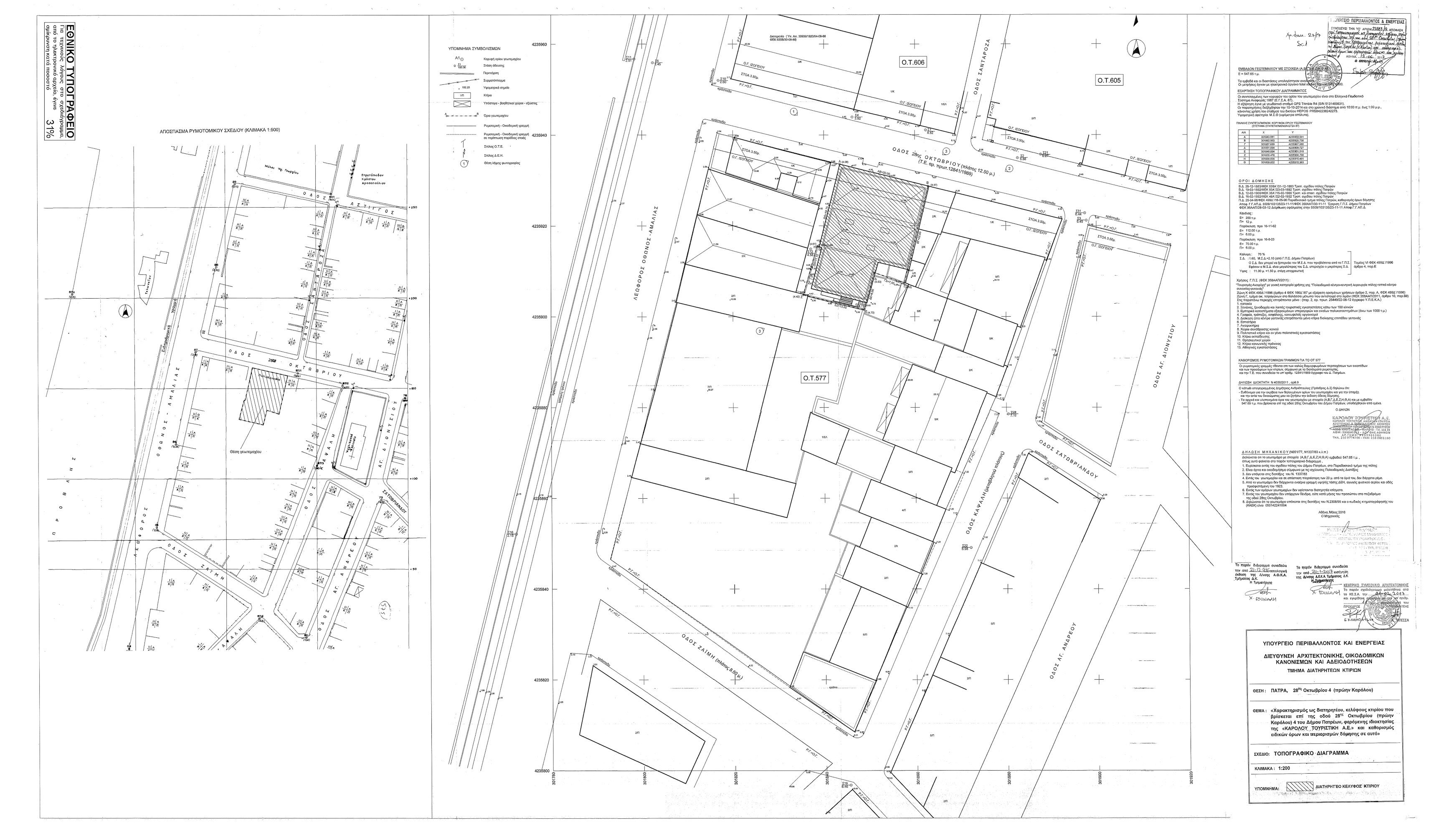
1. Χαρακτηρίζεται ως διατηρητέο το κέλυφος του κτιρίου που βρίσκεται εντός του εγκεκριμένου ρυμοτομικού σχεδίου του Δήμου Πατρέων (νομού Αχαΐας) και ειδικότερα επί της οδού 28ης Οκτωβρίου (πρώην Καρόλου), φερόμενο ιδιοκτησίας της εταιρείας με την επωνυμία ΚΑΡΟΛΟΥ ΤΟΥΡΙΣΤΙΚΗ Α.Ε., όπως φαίνεται με μαύρη διαγράμμιση στο σχετικό πρωτότυπο διάγραμμα σε κλίμακα 1:200 που θεωρήθηκε από τον Προϊστάμενο της Διεύθυνσης Τοπογραφικών Εφαρμογών και Γεωχωρικών Πληροφοριών με την υπ' αριθμόν 27883/2017 πράξη του και που αντίτυπό του σε φωτοσμίκρυνση συνδημοσιεύεται με την παρούσα απόφαση.
2. Ως διατηρητέο χαρακτηρίζεται το αρχικό κέλυφος του κτιρίου καθώς και οι εναρμονιζόμενες με αυτό μεταγενέστερες προσθήκες, όχι όμως και τα πάσης φύσεως καθ' ύψος ή κατ' επέκταση υπάρχοντα προσκτίσματα που αλλοιώνουν το αρχικό κέλυφος. Ο καθορισμός τυχόν προσκτισμάτων που αλλοιώνουν τα αρχικό κέλυφος του κτιρίου, πραγματοποιείται από το Συμβούλιο Αρχιτεκτονικής.
3. Στο χαρακτηριζόμενο ως διατηρητέο κέλυφος απαγορεύεται κάθε αφαίρεση, αλλοίωση ή καταστροφή, τόσο των επί μέρους αρχιτεκτονικών ή καλλιτεχνικών και διακοσμητικών στοιχείων του, όσο και του κελύφους συνολικά, πλην των προκτισμάτων ή των στοιχείων του, για τα οποία το Συμβούλιο Αρχιτεκτονικής (ΣΑ) έχει γνωμοδοτήσει για την αφαίρεσή τους.
4. Επιτρέπεται η χρήση Τουριστικό κατάλυμα- Ξενοδοχείο στο κτίριο, πέραν των επιτρεπόμενων χρήσεων της περιοχής, εφόσον δεν παραβλάπτεται το διατηρητέο κέλυφος.
5. Επιτρέπεται η επισκευή ο εκσυγχρονισμός των εγκαταστάσεων, η ενίσχυση του φέροντα οργανισμού, καθώς και επεμβάσεις στο κέλυφος για λόγους λειτουργικούς, εφόσον δεν αλλοιώνεται ο αρχιτεκτονικός χαρακτήρας του και δεν θίγονται τα διατηρητέα στοιχεία του.
6. Δεν επιτρέπεται η τοποθέτηση φωτεινών επιγραφών και διαφημίσεων στο διατηρητέο κέλυφος. Επιτρέπεται μόνο η τοποθέτηση επιγραφών μικρών διαστάσεων που πληροφορούν για τη χρήση χώρων στο εσωτερικό του.
7. Αιτήσεις για προσθήκη νέων φερόντων στοιχείων ή άλλες προσθήκες στο διατηρητέο κέλυφος του κτιρίου, αποστέλλονται στην αρμόδια Υπηρεσία του Υπουργείου Περιβάλλοντος και Ενέργειας (ΔΑΟΚΑ) με γνώμη του Συμβουλίου Αρχιτεκτονικής (ΣΑ) για ειδικές ρυθμίσεις, σύμφωνα με τις διατάξεις του άρθρου 6 παράγραφος 3)γ του νόμου 4067/2012 (ΦΕΚ 79/Α/2012), εφόσον δεν παραβλάπτεται το διατηρητέο κέλυφος και ο χώρος που το περιβάλλει.
8. Για οποιαδήποτε επέμβαση στο εξωτερικό και εσωτερικό του διατηρητέου κελύφους, όπως και για την τοποθέτηση επιγραφών, απαιτείται η έγκριση του Συμβουλίου Αρχιτεκτονικής.
9. Η ισχύς της παρούσας απόφασης αρχίζει από τη δημοσίευσή της στην Εφημερίδα της Κυβερνήσεως.

Η απόφαση αυτή να δημοσιευθεί στην Εφημερίδα της Κυβερνήσεως.
Αθήνα, 12-06-2017
Ο Υπουργός