| Συνδεθείτε στην Υπηρεσία Νομοσκόπιο | | | | | Νέοι χρήστες | | Εάν είστε νέος χρήστης, θα πρέπει να δημιουργήσετε ένα ΔΩΡΕΑΝ λογαριασμό προκειμένου να φύγει το παράθυρο αυτό και να αποκτήσετε πλήρη πρόσβαση στην υπηρεσία Νομοσκόπιο. | | Δημιουργία νέου λογαριασμού | | |
Απόφαση 30038/2017: Καθορισμός όρων και περιορισμών δόμησης για την κατασκευή του έργου Κλειστά γήπεδα καλαθοσφαίρισης με υπόγειους βοηθητικούς χώρους επί της οδού Γερασίμου Σκλάβου στην εκτός σχεδίου περιοχή στη θέση Μποζαΐτικα Προάστειο Δήμου Πατρέων (νομού Αχαΐας), (ΦΕΚ 166/ΑΑΠ/2017), 20-07-2017.
Ο Υπουργός Περιβάλλοντος και Ενέργειας
Έχοντας υπόψη
1. Τις διατάξεις του άρθρου 9 του από 06-10-1978 προεδρικού διατάγματος περί καθορισμού των όρων και περιορισμών δομήσεως των γηπέδων των κειμένων εκτός των ρυμοτομικών σχεδίων των πόλεων και εκτός των ορίων των νομίμως υφισταμένων προ του έτους 1923 οικισμών (ΦΕΚ 538/Δ/1978).
2. Τις διατάξεις του άρθρου 90 του Κώδικα Νομοθεσίας για την Κυβέρνηση και τα κυβερνητικά όργανα που κυρώθηκε με το άρθρο πρώτο του προεδρικού διατάγματος 63/2005 (ΦΕΚ 98/Α/2005).
3. Την 5509/103135/2011 απόφαση του Γενικού Γραμματέα Αποκεντρωμένης Διοίκησης Πελοποννήσου, Δυτικής Ελλάδας και Ιονίου Έγκριση Γενικού Πολεοδομικού Σχεδίου της Δημοτικής Ενότητας Πατρέων Δήμου Πατρέων Νομού Αχαΐας (ΦΕΚ 358/ΑΑΠ/2011).
4. Την υπ' αριθμόν 37948/28-07-2016 αίτηση ΣΑΠΛΑΪ ΑΕ.
5. Την υπ' αριθμόν ΥΠΠΟΑ/ΓΔΥΑ/ΔΤΥ/ΤΠΑΑΕ/175419/12478/798/170/14-06-2016 πρόταση της Διεύθυνσης Τεχνικών Υπηρεσιών της Γενικής Γραμματείας Αθλητισμού του Υπουργείου Πολιτισμού και Αθλητισμού.
6. Την υπ' αριθμόν 5/15-06-2016 απόφαση της Τεχνικής Επιτροπής Εξέτασης Αντιρρήσεων Περιφερειακής Ενότητας Αχαΐας.
7. Το υπ' αριθμόν Φ888/Ι/4621/21-06-2016 έγγραφο της Εφορείας Αρχαιοτήτων Αχαΐας.
8. Το υπ' αριθμόν 74147/Π4860/05-07-2016 έγγραφο της Διεύθυνσης Πολεοδομικού -Κυκλοφοριακού Σχεδιασμού και Δόμησης, Τμήμα Πολεοδομικού Σχεδιασμού δήμου Πατρέων.
9. Το υπ' αριθμόν 89709/Π6034/06-09-2016 έγγραφο της Διεύθυνσης Πολεοδομικού -Κυκλοφοριακού Σχεδιασμού και Δόμησης, Τμήμα Συγκοινωνιακού και Κυκλοφοριακού Σχεδιασμού δήμου Πατρέων.
10. Το υπ' αριθμόν 234050/4886/14-09-2016 έγγραφο της Διεύθυνσης Περιβάλλοντος και Χωρικού Σχεδιασμού Περιφέρειας Δυτικής Ελλάδας Υπαγωγή σε Πρότυπες Περιβαλλοντικές Δεσμεύσεις του έργου Κλειστό Γήπεδο καλαθοσφαίρισης με υπόγειους βοηθητικούς χώρους ....
11. Την 23/15-03-2017 γνωμοδότηση του Κεντρικού Συμβουλίου Πολεοδομικών Θεμάτων και Αμφισβητήσεων.
12. Το γεγονός ότι από τις κανονιστικές διατάξεις αυτής της απόφασης δεν προκαλείται δαπάνη σε βάρος του κρατικού προϋπολογισμού και του προϋπολογισμού του οικείου οργανισμού τοπικής αυτοδιοίκησης, αποφασίζουμε:
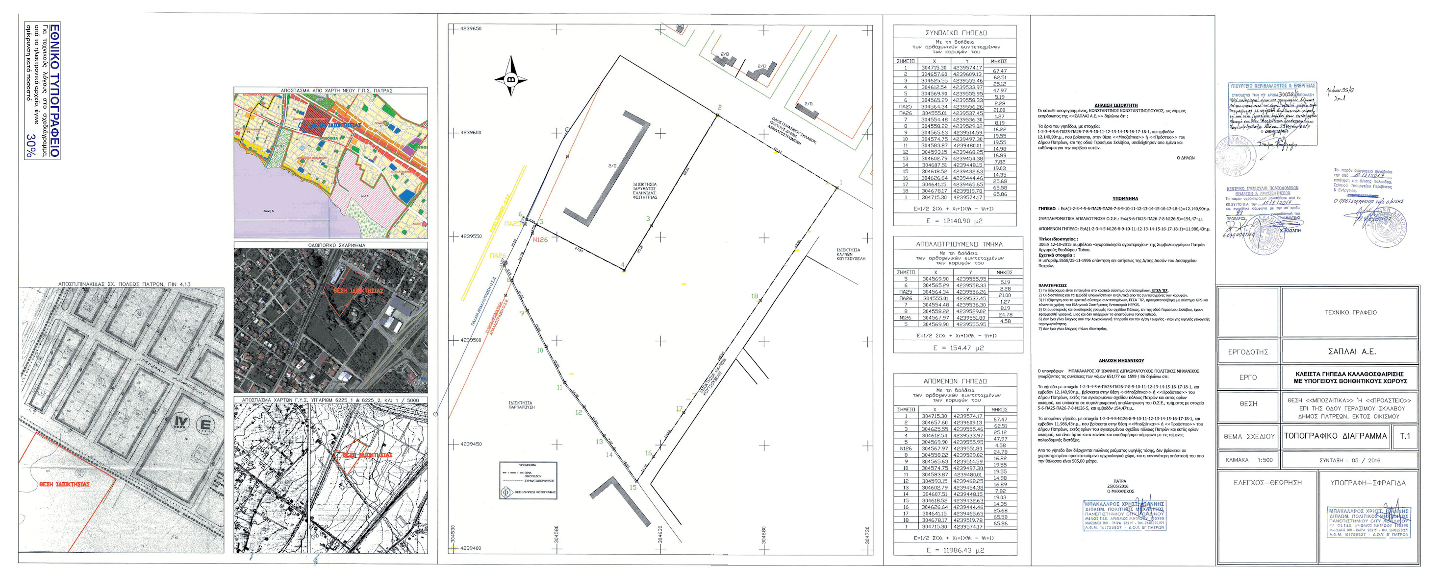
1. Καθορίζονται όροι και περιορισμοί δόμησης για την κατασκευή του έργου Κλειστά γήπεδα καλαθοσφαίρισης με υπόγειους βοηθητικούς χώρους σε γήπεδο ευρισκόμενο στην εκτός σχεδίου περιοχή του δήμου Πατρέων (νομού Αχαΐας) και ειδικότερα στη θέση Μποζαΐτικα - Προάστειο, όπως το γήπεδο φαίνεται στο σχετικό πρωτότυπο διάγραμμα σε κλίμακα 1:500 που θεωρήθηκε από τον Προϊστάμενο της Διεύθυνσης Τοπογραφικών Εφαρμογών και Γεωχωρικών Πληροφοριών και αντίτυπο του σε φωτοσμίκρυνση δημοσιεύεται με την παρούσα απόφαση, ως ακολούθως:
α. Μέγιστο ποσοστό κάλυψης: 20% της επιφάνειας του γηπέδου
β. Συντελεστής δόμησης: 0.2
γ. Μέγιστο επιτρεπόμενο ύψος των ανεγερθησομένων κτιρίων: 12.75 m
δ. Πλάγιες αποστάσεις των κτιρίων από τα όρια του γηπέδου: 10.7 m
ε. Για την έναρξη των εργασιών εκσκαφής θα ειδοποιείται τουλάχιστον προ δύο ημερών η αρμόδια Εφορεία Αρχαιοτήτων
2. Η ισχύς της παρούσας απόφασης αρχίζει από τη δημοσίευσή της στην Εφημερίδα της Κυβερνήσεως.

Η απόφαση αυτή να δημοσιευθεί στην Εφημερίδα της Κυβερνήσεως.
Αθήνα, 29-06-2017
Ο Υπουργός