| Συνδεθείτε στην Υπηρεσία Νομοσκόπιο | | | | | Νέοι χρήστες | | Εάν είστε νέος χρήστης, θα πρέπει να δημιουργήσετε ένα ΔΩΡΕΑΝ λογαριασμό προκειμένου να φύγει το παράθυρο αυτό και να αποκτήσετε πλήρη πρόσβαση στην υπηρεσία Νομοσκόπιο. | | Δημιουργία νέου λογαριασμού | | |
Απόφαση 417/2018: Έγκριση πολεοδομικής μελέτης επέκτασης αδόμητης κοινοτικής έκτασης εντός και εκτός ορίων του οικισμού Βαλανιδούσας νομού Πρέβεζας, (ΦΕΚ 184/Δ/1996), 28-02-1996.
Ο Νομάρχης Πρέβεζας
Έχοντας υπόψη:
1. Τις διατάξεις του νόμου 3200/1955 περί διοικητικής αποκεντρώσεως και τις διατάξεις του νομοθετικού διατάγματος 3620/1956 περί τροποποιήσεως και συμπληρώσεως των διατάξεων περί διοικητικής αποκεντρώσεως.
2. Τις διατάξεις του νομοθετικού διατάγματος 532/1970 περί συμπληρώσεως των διατάξεων περί διοικητικής αποκεντρώσεως.
3. Τις διατάξεις του νόμου 1032/1980 περί συστάσεως Υπουργείου Χωροταξίας.
4. Τις διατάξεις του από 24-04-1985 προεδρικού διατάγματος Τρόπος καθορισμού ορίων οικισμών της Χώρας μέχρι 2.000 κατοίκους κ.λ.π. και των τροποποιήσεων του από 25-04-1989 προεδρικού διατάγματος.
5. Την υπ' αριθμόν οίκοθεν [Α] ΤΠ/4794/1985 απόφαση Νομάρχη περί καθορισμού των ορίων του οικισμού Βαλανιδούσας νομού Πρέβεζας.
6. Το από 20-08-1985 προεδρικό διάταγμα περί πολεοδόμησης και επέκτασης οικισμών κάτω των 2.000 κατοίκων (ΦΕΚ 414/Δ/1985).
7. Το υπ' αριθμόν 364/25-07-1994 έγγραφο της Κοινότητας Βαλανιδούσας.
8. Την υπ' αριθμόν ΤΠ/2635/09-11-1994 εισήγηση του Τμήματος Πολεοδομίας και Πολεοδομικών Εφαρμογών νομού Πρέβεζας.
9. Το υπ' αριθμόν 12/θέμα 4ο/18-11-1994 πρακτικό του Συμβουλίου Χωροταξίας, Οικισμού και Περιβάλλοντος νομού Πρέβεζας, με το οποίο εισηγείται θετικά, αποφασίζουμε:
Άρθρο μόνο
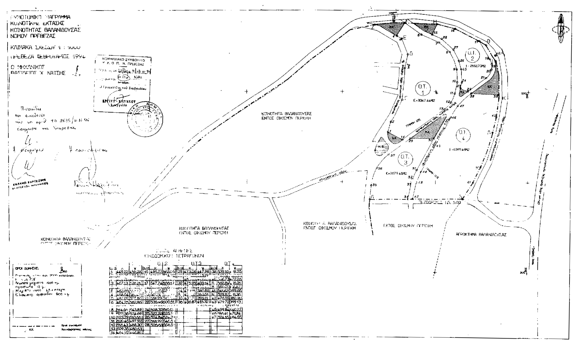
Εγκρίνουμε την πολεοδομική μελέτη επέκτασης αδόμητης κοινοτικής έκτασης εντός και εκτός ορίων του οικισμού Βαλανιδούσας με όρους δόμησης:
1. Πρόσωπο: 12 m.
2. Κάλυψη: 70%
3. Ελάχιστο εμβαδόν: 800 m2.
4. Μέγιστο ύψος: 7.50 + στέγη.
5. Μέγιστη δόμηση: 400 m2.
όπως ειδικότερα φαίνεται στο διάγραμμα που φέρει τη θεώρηση της Προϊσταμένης του Δ.Π. & Π.Ε. Αθηνάς Μαλανδράκη και τη σφραγίδα του Συμβουλίου Χωροταξίας, Οικισμού και Περιβάλλοντος.
Η παρούσα να δημοσιευθεί στην Εφημερίδα της Κυβερνήσεως.

Πρέβεζα, 08-02-1996
Ο Νομάρχης