Απόφαση 48191/17 - Άρθρο 1

Άρθρο 1


Συνδεθείτε στην Υπηρεσία Νομοσκόπιο
Είσοδος στην υπηρεσία Νομοσκόπιο.
   
Χρήστης
Κωδικός
  Υπενθύμιση στοιχείων λογαριασμού
   
 
Νέοι χρήστες
Εάν είστε νέος χρήστης, θα πρέπει να δημιουργήσετε ένα ΔΩΡΕΑΝ λογαριασμό προκειμένου να φύγει το παράθυρο αυτό και να αποκτήσετε πλήρη πρόσβαση στην υπηρεσία Νομοσκόπιο.
Δημιουργία νέου λογαριασμού

 

 

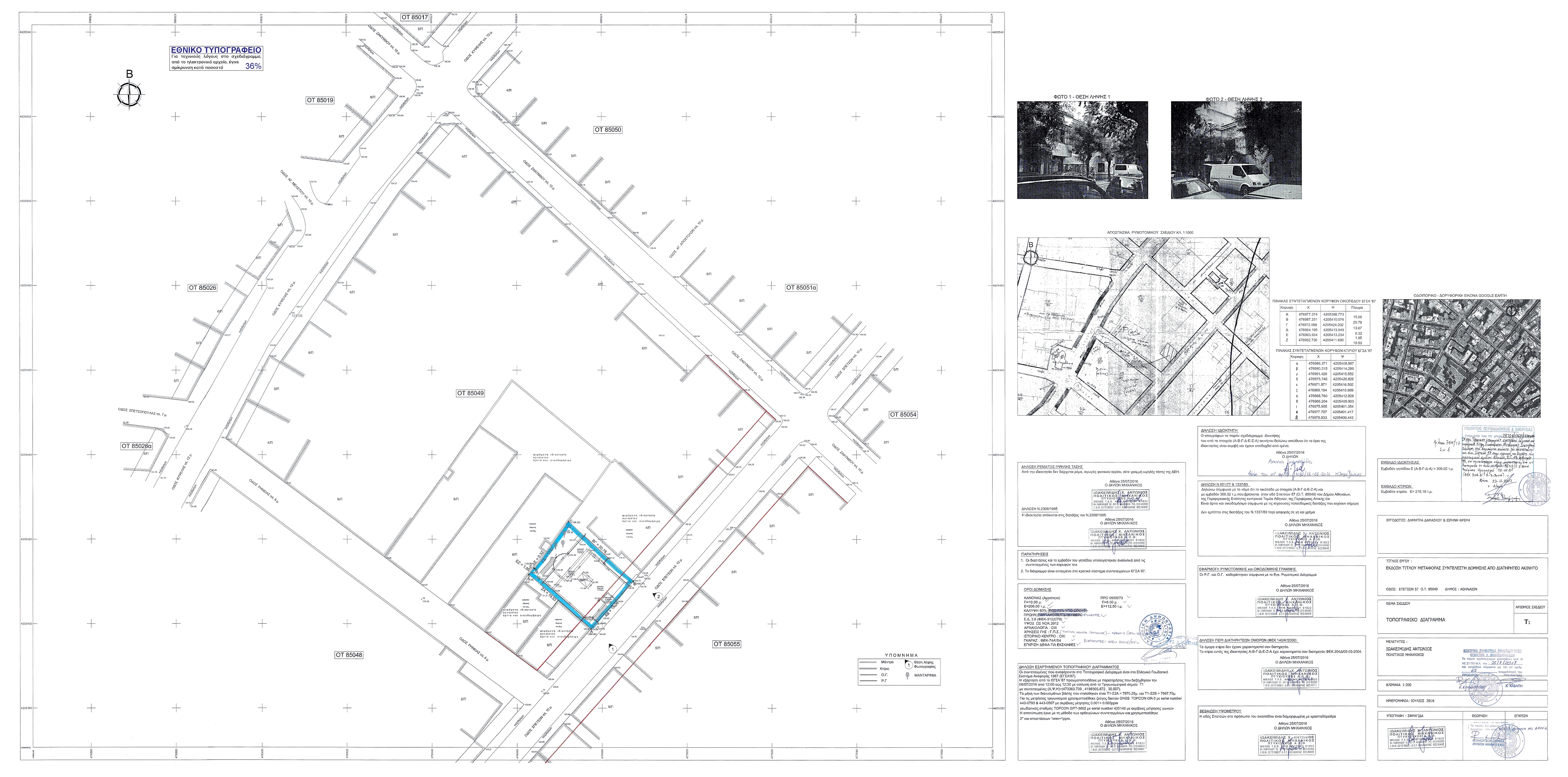
1. Εγκρίνεται η μεταφορά συντελεστή δόμησης από βαρυνόμενο ακίνητο που βρίσκεται επί της οδού Σπετσών 57 στην περιοχή της Κυψέλης του ρυμοτομικού σχεδίου Αθηνών, οικοδομικό τετράγωνο 49 - περιοχής 85 και στο οποίο υπάρχει κτίριο που χαρακτηρίστηκε ως διατηρητέο με την υπ' αριθμόν 9632/2004 απόφαση Υφυπουργού Περιβάλλοντος, Χωροταξίας και Δημοσίων Έργων (ΦΕΚ 204/Δ/2004), όπως το βαρυνόμενο αυτό ακίνητο φαίνεται στο πρωτότυπο τοπογραφικό διάγραμμα σε κλίμακα 1:200 που θεωρήθηκε από τον Προϊστάμενο Διεύθυνσης Τοπογραφικών Εφαρμογών και Γεωχωρικών Πληροφοριών με την υπ' αριθμόν 28724/2767/2017 πράξη του και του οποίου αντίτυπο σε φωτοσμίκρυνση δημοσιεύεται με την παρούσα απόφαση.

 

2. Τα ειδικότερα στοιχεία του βαρυνόμενου ακινήτου και της μεταφοράς συντελεστή δόμησης είναι:

 

α. Οδός Σπετσών 57, οικοδομικό τετράγωνο 49 - περιοχής 85, Κυψέλη, Δήμου Αθηναίων.

 

β. Εμβαδόν οικοπέδου: 306,02 m2.

 

γ. Οι όροι δόμησης της περιοχής που βρίσκεται το βαρυνόμενο ακίνητο σύμφωνα με το από 02-09-2016 θεωρημένο τοπογραφικό διάγραμμα από την Υπηρεσία Δόμησης Δήμου Αθηναίων είναι:

 

Ι. Ισχύων συντελεστής δόμησης: 3.6.

ΙΙ. Ποσοστό επιτρεπόμενης κάλυψης: 60% (183,61 m2).

 

δ. Συνολικά καλυπτόμενη επιφάνεια (υφιστάμενη κάλυψη) : 229,28 m2.

 

ε. Σύνολο δομημένων επιφανειών (υφιστάμενη δόμηση) : 484,07 m2.

 

στ. Οι προς μεταφορά επιφάνειες είναι 617,60 m2 από ορόφους. Η επιφάνεια αυτή αντιστοιχεί σε συντελεστή δόμησης 2,018 που αφαιρείται οριστικώς από το βαρυνόμενο ακίνητο.

 

a.48191.17



Copyright © 2020 TechnoLogismiki. Με την επιφύλαξη παντός δικαιώματος.