Απόφαση 6420/92

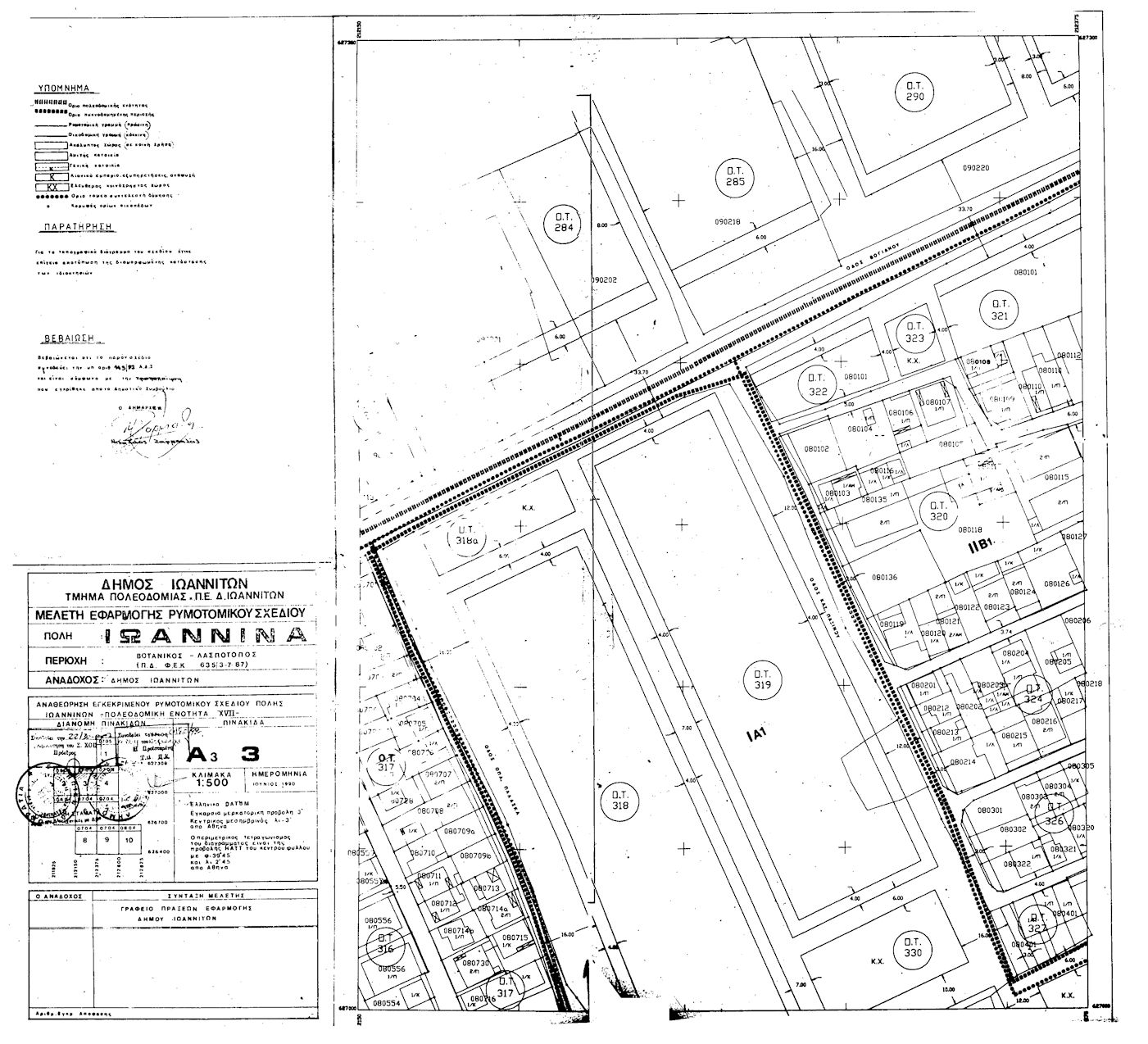
Απόφαση 6420/1992: Τροποποίηση ρυμοτομικού σχεδίου πόλεως Ιωαννίνων όσον αφορά το μέγιστο επιτρεπόμενο ύψος οικοδομών στον τομέα ΙΙΒΙ περιοχής Βοτανικού


Συνδεθείτε στην Υπηρεσία Νομοσκόπιο
Είσοδος στην υπηρεσία Νομοσκόπιο.
   
Χρήστης
Κωδικός
  Υπενθύμιση στοιχείων λογαριασμού
   
 
Νέοι χρήστες
Εάν είστε νέος χρήστης, θα πρέπει να δημιουργήσετε ένα ΔΩΡΕΑΝ λογαριασμό προκειμένου να φύγει το παράθυρο αυτό και να αποκτήσετε πλήρη πρόσβαση στην υπηρεσία Νομοσκόπιο.
Δημιουργία νέου λογαριασμού

 

 

Απόφαση 6420/1992: Τροποποίηση ρυμοτομικού σχεδίου πόλεως Ιωαννίνων όσον αφορά το μέγιστο επιτρεπόμενο ύψος οικοδομών στον τομέα ΙΙΒΙ περιοχής Βοτανικού, (ΦΕΚ 1398/Δ/1992), 31-12-1992.

 

Ο Νομάρχης Ιωαννίνων

 

Έχοντας υπόψη:

 

1. Τις διατάξεις του από 17-07-1923 νομοθετικού διατάγματος (ΦΕΚ 228/Α/1923) περί σχεδίων πόλεων και κωμών του κράτους και συγκεκριμένα του άρθρου 3 αυτού.

 

2. Τις διατάξεις του προεδρικού διατάγματος 183/1986 (ΦΕΚ 70/Α/1086) για έγκριση τροποποιήσεων και καθορισμό όρων και περιορισμών δόμησης από τους Νομάρχες.

 

3. Την παράγραφο 15 του άρθρου 8 του νόμου 1512/1985 (ΦΕΚ 4/Α/1985).

 

4. Την υπ' αριθμόν 145/1992 απόφαση του Δημοτικού Συμβουλίου Ιωαννίνων και το γεγονός ότι αυτή πάρθηκε νόμιμα και τηρήθηκαν όλες οι διαδικασίες.

 

5. Το από 28-05-1987 προεδρικό διάταγμα περί έγκρισης μελέτης των πολεοδομικών ενοτήτων Λόφος Βελισάριου, Κιάφα - Νέα Συράκο, Λασπότοπος, Βελισάριος και τμημάτων των πολεοδομικών ενοτήτων Βοτανικός - Τμήμα Στρατοπέδου Βελισάριου και Βρυσούλα του δήμου Ιωαννιτών (νομού Ιωαννίνων) (ΦΕΚ 635/Δ/1987).

 

6. Την υπ' αριθμόν 22/30-09-1992 απόφαση του Συμβουλίου Χωροταξίας, Οικισμού και Περιβάλλοντος αναφορικά με το θέμα, αποφασίζουμε:

 

1. Τροποποιούμε τους όρους δόμησης περιοχής ΙΙΒΙ - Βοτανικού - σχεδίου πόλεως Ιωαννίνων και ορίζουμε ως μέγιστο ύψος κτιρίων τα 9 m. Κατά τα λοιπά ισχύει το από 28-05-1987 προεδρικό διάταγμα (ΦΕΚ 635/Δ/1987).

 

2. Από τις διατάξεις αυτής της απόφασης δεν προκαλείται δαπάνη σε βάρος του κρατικού προϋπολογισμού.

 

a.6420.92

 

Η απόφαση αυτή να δημοσιευθεί στην Εφημερίδα της Κυβερνήσεως.

 

Ιωάννινα, 29-10-1992

 

Ο Νομάρχης

 



Copyright © 2017 TechnoLogismiki. Με την επιφύλαξη παντός δικαιώματος.