| Συνδεθείτε στην Υπηρεσία Νομοσκόπιο | | | | | Νέοι χρήστες | | Εάν είστε νέος χρήστης, θα πρέπει να δημιουργήσετε ένα ΔΩΡΕΑΝ λογαριασμό προκειμένου να φύγει το παράθυρο αυτό και να αποκτήσετε πλήρη πρόσβαση στην υπηρεσία Νομοσκόπιο. | | Δημιουργία νέου λογαριασμού | | |
Απόφαση 7061/2012: Τροποποίηση του εγκεκριμένου ρυμοτομικού σχεδίου της Δημοτικής Ενότητας Χολαργού του Δήμου Παπάγου - Χολαργού (νομού Αττικής) στο οικοδομικό τετράγωνο 111Α, καθορισμός χρήσεων και όρων και περιορισμών δόμησης, (ΦΕΚ 78/ΑΑΠ/2012), 13-03-2012.
Ο Αναπληρωτής Υπουργός Περιβάλλοντος, Ενέργειας και Κλιματικής Αλλαγής
Έχοντας υπόψη:
1. Τις διατάξεις των άρθρων 152 (παράγραφοι 1, 2 και 6), 154, 160 (παράγραφοι 1 και 2) και 161 του Κώδικα Βασικής Πολεοδομικής Νομοθεσίας, ο οποίος κυρώθηκε με το άρθρο μόνο του από 14-07-1999 προεδρικού διατάγματος (ΦΕΚ 580/Δ/1999).
2. Τις διατάξεις των παραγράφων 3 α εδάφιο α)α. και 4)α του άρθρου 29 του νόμου 2831/2000 (ΦΕΚ 140/Α/2000) όπως αντικαταστάθηκε με το άρθρο 10 του νόμου 3044/2002 Μεταφορά Συντελεστή Δόμησης και ρυθμίσεις άλλων θεμάτων αρμοδιότητας του Υπουργείου Περιβάλλοντος, Χωροταξίας και Δημοσίων Έργων (ΦΕΚ 197/Α/2002).
3. Τις διατάξεις των άρθρων 1, 2, 283 και 286 του νόμου 3852/2010 Νέα Αρχιτεκτονική της Αυτοδιοίκησης και της Αποκεντρωμένης Διοίκησης - Πρόγραμμα Καλλικράτης (ΦΕΚ 87/Α/2010) και του άρθρου 1 της υπ' αριθμόν [Α] 45892/2010 απόφασης του Υπουργού Εσωτερικών, Αποκέντρωσης και Ηλεκτρονικής Διακυβέρνησης Πρωτοβάθμιοι και Δευτεροβάθμιοι Οργανισμοί Τοπικής Αυτοδιοίκησης της Χώρας κ.λ.π. (ΦΕΚ 1292/Β2010), διόρθωση σφάλματος (ΦΕΚ 1623/Β/2010).
4. Τις διατάξεις του άρθρου 280 (παράγραφος 19) του νόμου 3852/2010 (ΦΕΚ 87/Α/2010) καθώς και τις διατάξεις της παραγράφου 2)γ του άρθρου 30 του νόμου 3889/2010 Χρηματοδότηση Περιβαλλοντικών Παρεμβάσεων Πράσινο Ταμείο, Κύρωση Δασικών Χαρτών και άλλες διατάξεις (ΦΕΚ 182/Α/2010).
5. Τις διατάξεις του άρθρου 90 του Κώδικα Νομοθεσίας για την Κυβέρνηση και τα κυβερνητικά όργανα που κυρώθηκε με το άρθρο πρώτο του προεδρικού διατάγματος 63/2005 (ΦΕΚ 98/Α/2005).
6. Την υπ' αριθμόν Υ14/24-11-2011 απόφαση του Πρωθυπουργού Καθορισμός αρμοδιοτήτων του Αναπληρωτή Υπουργού Περιβάλλοντος Ενέργειας και Κλιματικής Αλλαγής Νικολάου Σηφουνάκη (ΦΕΚ 2740/Β/2011).
7. Την 3162/2005 απόφαση του Διοικητικού Πρωτοδικείου Αθηνών.
8. Τις υπ' αριθμούς 241/2007, 230/2007, 144/2010 και 30/2010 γνωμοδοτήσεις του δημοτικού συμβουλίου του Δήμου Χολαργού.
9. Τις υπ' αριθμούς 231/2008, 118/2011 και 125/2011 γνωμοδοτήσεις του Κεντρικού Συμβουλίου Χωροταξίας Οικισμού και Περιβάλλοντος.
10. Το υπ' αριθμόν 85/04-08-2011 υπηρεσιακό σημείωμα της Διεύθυνσης Πολεοδομικού Σχεδιασμού.
11. Το γεγονός ότι από τις κανονιστικές διατάξεις της παρούσας απόφασης δεν προκαλείται δαπάνη σε βάρος του κρατικού προϋπολογισμού και του οικείου οργανισμού τοπικής αυτοδιοίκησης, αποφασίζουμε:
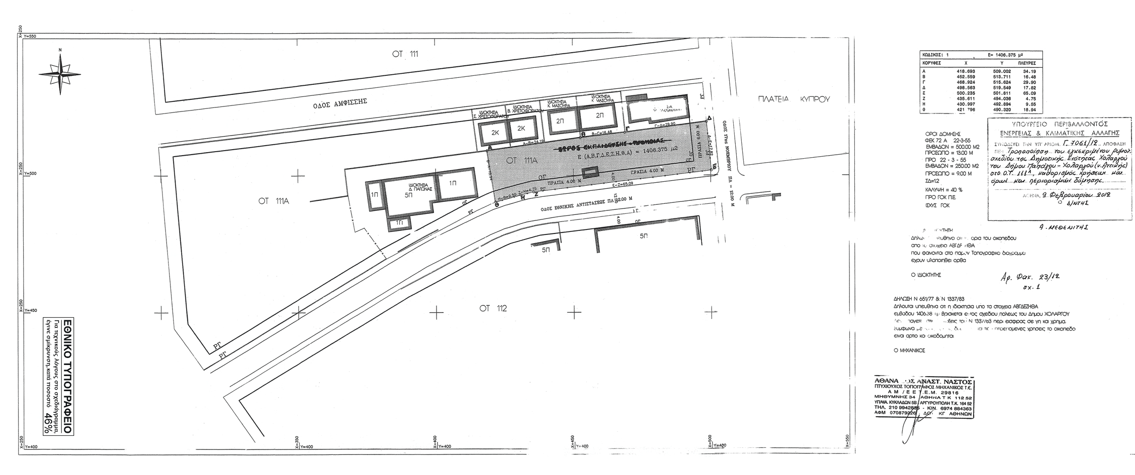
1. Εγκρίνεται η τροποποίηση του εγκεκριμένου ρυμοτομικού σχεδίου της Δημοτικής Ενότητας Χολαργού του Δήμου Παπάγου - Χολαργού (νομού Αττικής) σε τμήμα του οικοδομικού τετραγώνου 111 Α, με τη μετατροπή αυτού από χώρο εκπαίδευσης - πρόνοιας σε οικοδομήσιμο, όπως φαίνεται με στοιχεία ΑΒΓΔΕΖΗΘ στο σχετικό πρωτότυπο διάγραμμα σε κλίμακα 1:500 που θεωρήθηκε από τον Προϊστάμενο της Διεύθυνσης Τοπογραφικών Εφαρμογών με την 7061/2012 πράξη του και που αντίτυπο του σε φωτοσμίκρυνση δημοσιεύεται με την παρούσα απόφαση.
2. Στον κατά την παράγραφο 1 καθοριζόμενο οικοδομήσιμο χώρο, ισχύουν οι χρήσεις γης και οι όροι και περιορισμοί δόμησης που καθορίστηκαν με το από 31-05-1996 προεδρικό διάταγμα (ΦΕΚ 658/Δ/1996) και [ΒΔ] 23-03-1955 βασιλικό διάταγμα (ΦΕΚ 72/Α/1955) αντίστοιχα.

3. Η ισχύς της παρούσας απόφασης αρχίζει από τη δημοσίευσή της στην Εφημερίδα της Κυβερνήσεως.
Η απόφαση αυτή να δημοσιευθεί στην Εφημερίδα της Κυβερνήσεως.
Αθήνα, 09-02-2012
Ο Αναπληρωτής Υπουργός