| Συνδεθείτε στην Υπηρεσία Νομοσκόπιο | | | | | Νέοι χρήστες | | Εάν είστε νέος χρήστης, θα πρέπει να δημιουργήσετε ένα ΔΩΡΕΑΝ λογαριασμό προκειμένου να φύγει το παράθυρο αυτό και να αποκτήσετε πλήρη πρόσβαση στην υπηρεσία Νομοσκόπιο. | | Δημιουργία νέου λογαριασμού | | |
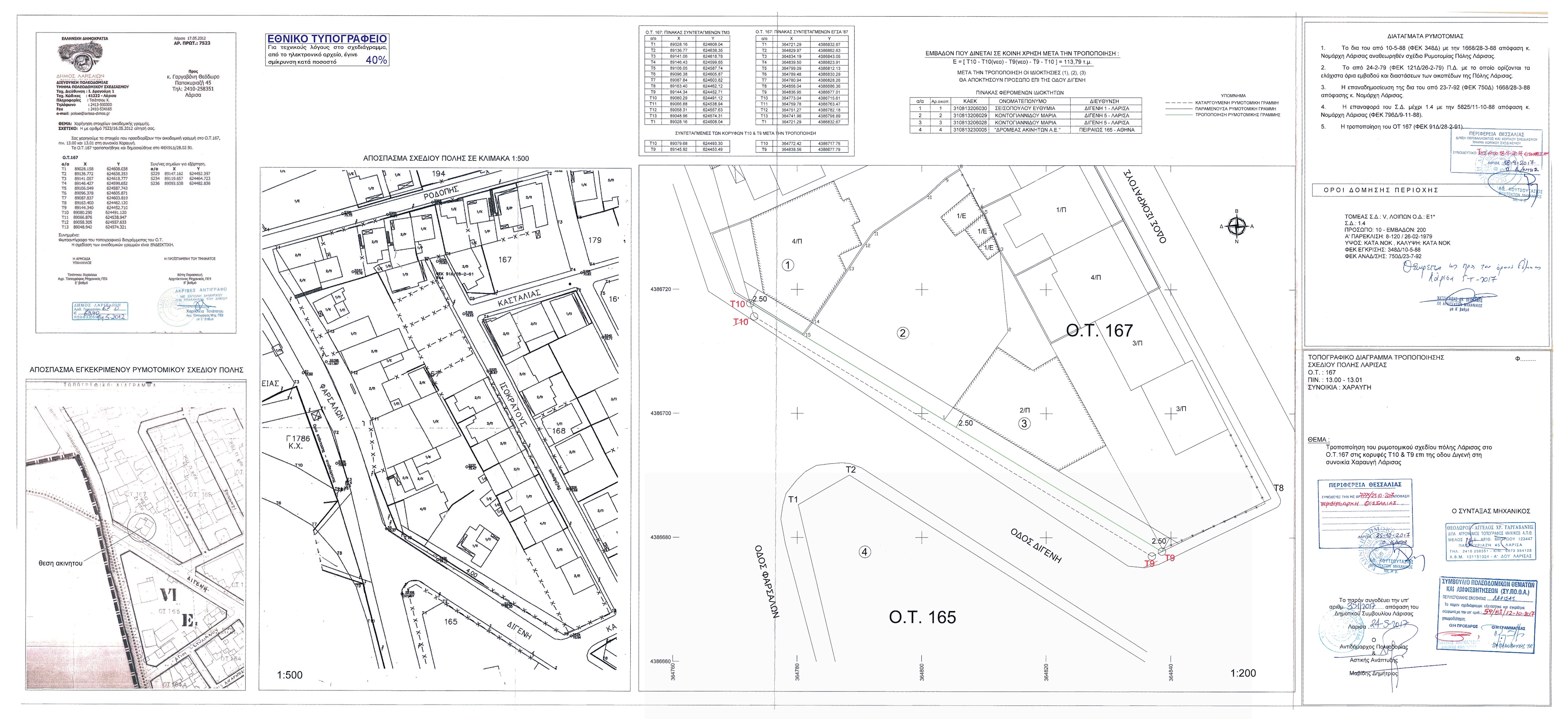
Απόφαση 7995/2017: Τροποποίηση του εγκεκριμένου ρυμοτομικού σχεδίου Δήμου Λάρισας στο οικοδομικό τετράγωνο 167, στις κορυφές Τ10 και Τ9 επί της οδού Διγενή, στη συνοικία Χαραυγή του Δήμου Λαρισαίων, (ΦΕΚ 254/ΑΑΠ/2017), 02-11-2017.
Ο Περιφερειάρχης Θεσσαλίας
Έχοντας υπόψη:
1. Τις διατάξεις των άρθρων 3, 186 και 283 του νόμου 3852/2010 Νέα Αρχιτεκτονική της Αυτοδιοίκησης κ.λ.π. (Καλλικράτης) (ΦΕΚ 87/Α/2010) όπως τροποποιήθηκαν, συμπληρώθηκαν, αντικαταστάθηκαν, διορθώθηκαν και ισχύουν ως σήμερα.
2. Το προεδρικό διάταγμα 129/2010 (ΦΕΚ 222/Α/2012) Οργανισμός της Περιφέρειας Θεσσαλίας.
3. Την με αριθμό πρωτοκόλλου οίκοθεν 2899/2014 (ΦΕΚ 2474/Β/2014) απόφαση του Περιφερειάρχη Θεσσαλίας με θέμα Αναπλήρωση Περιφερειάρχη Θεσσαλίας.
4. Τις διατάξεις του από 17-07-1923 νομοθετικού διατάγματος (ΦΕΚ 228/Α/1923) περί σχεδίων πόλεων, κωμών και συνοικισμών του Κράτους και οικοδομής αυτών όπως τροποποιήθηκαν, συμπληρώθηκαν, αντικαταστάθηκαν, διορθώθηκαν και ισχύουν ως σήμερα.
5. Τις διατάξεις του νόμου 1337/1983 (ΦΕΚ 33/Α/1983) όπως τροποποιήθηκαν, συμπληρώθηκαν, αντικαταστάθηκαν, διορθώθηκαν και ισχύουν ως σήμερα.
6. Τις διατάξεις των άρθρων 152 και 154 του από 14-07-1999 προεδρικού διατάγματος Κώδικας Βασικής Πολεοδομικής Νομοθεσίας, (ΦΕΚ 580/Δ/1999).
7. Τις διατάξεις του άρθρου 29 του νόμου 2831/2000 (ΦΕΚ 140/Α/2000) Περί τροποποίησης των διατάξεων του νόμου 1577/1985 - Γενικός Οικοδομικός Κανονισμός και άλλες πολεοδομικές διατάξεις όπως αντικαταστάθηκαν με το άρθρο 10 του νόμου 3044/2002, (ΦΕΚ 197/Α/2002) περί Μεταφοράς συντελεστού δομήσεως κ.λ.π..
8. Τις διατάξεις της παραγράφου 8 του άρθρου 4 του νόμου 2508/1997 όπως τροποποιήθηκαν, συμπληρώθηκαν, αντικαταστάθηκαν, διορθώθηκαν και ισχύουν ως σήμερα.
9. Τις διατάξεις του νόμου 4067/2012 Νέος Οικοδομικός Κανονισμός (ΦΕΚ 79/Α/2012).
10. Την εγκύκλιο 55/1988 Οδηγίες και προδιαγραφές για τροποποιήσεις, επεκτάσεις, ρυμοτομικών σχεδίων.
11. Την εγκύκλιο 6/2006 Άσκηση αρμοδιοτήτων πολεοδομικού σχεδιασμού.
12. Την εγκύκλιο 29829/2012 (εγκύκλιος 10/2012) Αρμοδιότητες γνωμοδότησης Συμβουλίων Πολεοδομικών Θεμάτων και Αμφισβητήσεων Περιφερειακών Ενοτήτων / Περιφερειών για θέματα πολεοδομικού σχεδιασμού.
13. Τις διατάξεις του νόμου 4315/2014 Πράξεις εισφοράς σε γη και σε χρήμα - Ρυμοτομικές απαλλοτριώσεις και άλλες διατάξεις. (ΦΕΚ 269/Α/2014).
14. Το από [ΠΔ] 24-02-1979 (ΦΕΚ 121/Δ/1979) προεδρικό διάταγμα περί τροποποιήσεως και επεκτάσεως του ρυμοτομικού σχεδίου Λαρίσης.
15. Τη με αριθμό 1668/1988 απόφαση του Νομάρχη Λάρισας περί αναθεώρησης του ρυμοτομικού σχεδίου Λάρισας (ΦΕΚ 348/Δ/1988) που αναδημοσιεύθηκε στο (ΦΕΚ 750/Δ/1992).
16. Τη με αριθμό πρωτοκόλλου 827/1991 απόφαση του Δημάρχου Λάρισας (ΦΕΚ 91/Δ/1991) περί τροποποίησης του ρυμοτομικού σχεδίου Λάρισας στο οικοδομικό τετράγωνο 167 στη συνοικία Χαραυγή.
17. Την αναοριοθέτηση του αρχαιολογικού χώρου Λάρισας με την με αριθμό ΠΠΟ/ΓΔΑΠΚ/ΑΡΧ/Α1/Φ15/17000/763/2008 (ΦΕΚ 162/ΑΑΠ/2008).
18. Τη με αριθμό 5625/59708/2009 απόφαση του Γενικού Γραμματέα Περιφέρειας Θεσσαλίας περί έγκρισης της Αναθεώρησης και Επέκτασης του Γενικού Πολεοδομικού Σχεδίου (ΓΠΣ) του Δήμου Λαρισαίων.
19. Τη με αριθμό πρωτοκόλλου 2557/27-02-2013 αίτηση της Σεισοπούλου - Κοντογιαννίδη Μαρίας προς το Δήμο Λαρισαίων.
20. Το με αριθμό πρωτοκόλλου 4460/11-04-2013 έγγραφο του Τμήματος Υποστήριξης της Διεύθυνσης Πολεοδομίας με το οποίο προτείνεται η ρύθμιση του θέματος.
21. Τη με αριθμό πρωτοκόλλου 9266/22-12-2016 της ιδιοκτήτριας και η με αριθμό 2578/07-04-2017 αίτηση του Αγρονόμου Τοπογράφου Μηχανικού Γαργαβάνη Θεόδωρου, με τις οποίες υποβλήθηκαν τα απαιτούμενα δικαιολογητικά και Τοπογραφικά Διαγράμματα.
22. Τη με αριθμό πρωτοκόλλου 3169/04-05-2017 εισήγηση του Τμήματος Πολεοδομικού Σχεδιασμού, της Διεύθυνσης Πολεοδομίας προς την Επιτροπή Ποιότητας Ζωής του Δήμου Λαρισαίων.
23. Τη με αριθμό 29/2017 ομόφωνη απόφαση της Επιτροπής Ποιότητας Ζωής του Δήμου Λαρισαίων.
24. Τη με αριθμό 351/2017 ομόφωνη απόφαση του Δημοτικού Συμβουλίου Δήμου Λαρισαίων.
25. Τη με αριθμό πρωτοκόλλου 4126/08-06-2017 ανακοίνωση στον ημερήσιο τύπο της απόφασης με αριθμό 351/2017 του Δημοτικού Συμβουλίου Λαρισαίων την 15-06-2017 και 16-06-2017 σε δύο ημερήσιες τοπικές εφημερίδες.
26. Τη με αριθμό πρωτοκόλλου 4131/08-06-2017 ειδοποίηση της με αριθμό 351/2017 απόφασης του Δημοτικού Συμβουλίου Λαρισαίων, η οποία επιδόθηκε στους άμεσα ή έμμεσα ενδιαφερόμενους.
27. Τη με αριθμό πρωτοκόλλου 5310/20-07-2017 βεβαίωση του Αντιδημάρχου Πολεοδομίας και Αστικής Ανάπτυξης σύμφωνα με την οποία δεν ρυμοτομούνται οικοδομές που έχουν κτιστεί με νόμιμη άδεια του ισχύοντος ρυμοτομικού σχεδίου και δεν καθίσταται μη άρτιο κανένα οικόπεδο.
28. Τη με αριθμό πρωτοκόλλου 5311/20-07-2017 βεβαίωση του Αντιδημάρχου Πολεοδομίας και Αστικής Ανάπτυξης, σύμφωνα με την οποία δεν υποβλήθηκε καμία ένσταση κατά της με αριθμό 351/2017 απόφασης του Δημοτικού Συμβουλίου Δήμου Λαρισαίων.
29. Τη με αριθμό πρωτοκόλλου 5316/20-07-2017 αιτιολογική Έκθεση του τμήματος Πολεοδομικού Σχεδιασμού, της Διεύθυνσης Πολεοδομίας, του Δήμου Λαρισαίων.
30. Το τοπογραφικό διάγραμμα που συντάχθηκε από τον Αγρονόμο - Τοπογράφο Μηχανικό Γαργαβάνη Θεόδωρο, θεωρημένο ως προς τους όρους δόμησης από Θεοφάνη Χατζηγρίβα Αγρονόμο Μηχανικό Με Α' β. υπάλληλο της Διεύθυνσης Πολεοδομίας του Δήμου Λαρισαίων και συνοδεύει την με αριθμό 351/2017 απόφαση του Δημοτικού Συμβουλίου Λαρισαίων και την παρούσα εισήγηση.
31. Το με αριθμό πρωτοκόλλου 5314/20-07-2017 έγγραφο του Δήμου Λαρισαίων, με το οποίο διαβιβάστηκε στην Υπηρεσία ο φάκελος της προτεινόμενης ρύθμισης.
32. Το με αριθμό πρωτοκόλλου 5637/18-09-2017 έγγραφο της Διεύθυνσης Περιβάλλοντος και Χωρικού Σχεδιασμού της Περιφέρειας Θεσσαλίας προς το Συμβούλιο Πολεοδομικών Θεμάτων και Αμφισβητήσεων Περιφερειακής Ενότητας Λάρισας, με το οποίο διαβιβάστηκε η από 18-09-2017 εισήγηση της υπηρεσίας και το Τοπογραφικό Διάγραμμα που τη συνοδεύει.
33. Το υπ' αριθμόν 59 απόσπασμα Πρακτικού της 8ης/12-10-2017 Συνεδρίασης του Συμβουλίου Πολεοδομικών Θεμάτων και Αμφισβητήσεων Περιφερειακής Ενότητας Λάρισας (Πράξη 59η), με το οποίο το Συμβούλιο γνωμοδοτεί ομόφωνα υπέρ της έγκρισης της παραπάνω τροποποίησης και το οποίο διαβιβάστηκε στην υπηρεσία με το υπ' αριθμόν 161/17-10-2017 έγγραφο του Συμβουλίου Πολεοδομικών Θεμάτων και Αμφισβητήσεων Περιφερειακής Ενότητας Λάρισας.
Επειδή:
1. Ο φάκελος είναι πλήρης, από τυπικής απόψεως, όσον αφορά τα απαιτούμενα δικαιολογητικά που πρέπει να περιέχονται, (όπως αυτά ορίζονται στην σχετική νομοθεσία και τις εγκυκλίους του Υπουργείου Περιβάλλοντος, Χωροταξίας και Δημοσίων Έργων).
2. Κατά της 24ης σχετικής απόφασης (351/2017) του Δημοτικού Συμβουλίου Λαρισαίων δεν υποβλήθηκε εμπροθέσμως καμία ένσταση, όπως βεβαιώνεται με την με αριθμό πρωτοκόλλου 5311/20-07-2017 σχετική βεβαίωση του αντιδημάρχου Πολεοδομίας και Αστικής Ανάπτυξης του Δήμου Λαρισαίων.
3. Κάθε τροποποίηση εγκεκριμένου ρυμοτομικού σχεδίου πρέπει να κατευθύνεται από πολεοδομικά κριτήρια και να αποβλέπει στη θεραπεία πολεοδομικών αναγκών, υγιεινής, συγκοινωνίας, ασφάλειας, οικονομίας και αισθητικής, τις οποίες εμφανίζει η οικιστική ανάπτυξη και στη διαμόρφωση της πόλης, στην εξέλιξή της και να τεκμηριώνεται κατά τρόπο απόλυτα εμπεριστατωμένο.
4. Η προτεινόμενη ρύθμιση αφορά την μετατόπιση των κορυφών Τ9 και Τ10 του οικοδομικού τετραγώνου 167 του εγκεκριμένου ρυμοτομικού σχεδίου Λάρισας στη συνοικία Χαραυγή, στην θέση που βρισκόταν στο αρχικό σχέδιο ένταξης με επιβολή προκηπίου πλάτους 2.5 m, ώστε να μην μειωθεί το πλάτος του πεζοδρομίου από την εφαρμογή του σχεδίου, κάνοντάς το έτσι ασφαλές στη διέλευση των πεζών. Με την προτεινόμενη ρύθμιση αυξάνεται επίσης το πλάτους της οδού Διγενή στο συγκεκριμένο τμήμα.
5. Οι τροποποιήσεις εγκεκριμένων ρυμοτομικών σχεδίων πόλεων δεν πρέπει να επιφέρουν μείωση της συνολικής επιφάνειας κοινόχρηστων χώρων, ούτε των αναγκαίων κοινωφελών χώρων, σύμφωνα με τα γενικά πλαίσια χρήσεων γης (ΓΠΣ, ΣΧΟΟΑΠ). Στη συγκεκριμένη περίπτωση δεν επέρχεται μείωση κοινόχρηστων χώρων, αλλά αύξηση τους κατά 113,79 m2
6. Το γεγονός ότι από τις κανονιστικές διατάξεις της παρούσας απόφασης δεν προκαλείται δαπάνη σε βάρος του κρατικού προϋπολογισμού και προϋπολογισμού του οικείου οργανισμού τοπικής αυτοδιοίκησης, αποφασίζουμε:
1. την έγκριση της τροποποίησης του εγκεκριμένου ρυμοτομικού σχεδίου πόλης Λάρισας, στη συνοικία Χαραυγή, με μετατόπιση των κορυφών Τ9 και Τ10 του οικοδομικού τετραγώνου 167 επί της οδού Διγενή και επιβολή προκηπίου 2.5 m, όπως περιγράφονται στο Τοπογραφικό Διάγραμμα το οποίο συνοδεύει την παρούσα απόφαση.
2. Η ισχύς της απόφασης αυτής αρχίζει από την δημοσίευσή της στην Εφημερίδα της Κυβερνήσεως.
3. Επιτρέπεται η υποβολή προσφυγής στο Γενικό Γραμματέα Αποκεντρωμένης Διοίκησης Θεσσαλίας και Στερεάς Ελλάδας μέχρι συστάσεως της αυτοτελούς Υπηρεσίας εποπτείας οργανισμών τοπικής αυτοδιοίκησης (Ελεγκτής Νομιμότητας), μόνο για Παράβαση του Νόμου, σύμφωνα με τις διατάξεις του άρθρου 227 του νόμου 3852/2010 (ΦΕΚ 87/Α/2010) και σε προθεσμία 15 ημερών, από τη δημοσίευση της ή την ανάρτηση της στο διαδίκτυο ή από την κοινοποίηση της ή αφού έλαβε γνώση αυτής.

Η απόφαση αυτή με το σχεδιάγραμμα που τη συνοδεύει να δημοσιευθεί στην Εφημερίδα της Κυβερνήσεως.
Λάρισα, 25-10-2017
Ο Περιφερειάρχης