| Συνδεθείτε στην Υπηρεσία Νομοσκόπιο | | | | | Νέοι χρήστες | | Εάν είστε νέος χρήστης, θα πρέπει να δημιουργήσετε ένα ΔΩΡΕΑΝ λογαριασμό προκειμένου να φύγει το παράθυρο αυτό και να αποκτήσετε πλήρη πρόσβαση στην υπηρεσία Νομοσκόπιο. | | Δημιουργία νέου λογαριασμού | | |
1. Στις περιπτώσεις όπου, εντός των ζωνών τουρισμού και αναψυχής ή των ζωνών τουριστικών λιμένων που αναφέρονται στα Παραρτήματα Ι και ΙΙ του παρόντος άρθρου, ανεγείρονται κτίρια που περιλαμβάνουν περισσότερες της μιας από τις επιτρεπόμενες χρήσεις, τότε για κάθε τέτοιο κτίριο επιτρέπεται η εφαρμογή του μεγαλυτέρου εκ των όρων δόμησης των ως άνω χρήσεων.
2. Προσαρτώνται και αποτελούν αναπόσπαστο μέρος του παρόντος νόμου τα παραρτήματα Ι και ΙΙ καθώς και διαγράμματα εξαρτημένα από το κρατικό τριγωνομετρικό δίκτυο, που αναφέρονται στα άρθρα 6 παράγραφος 20 και 30 παράγραφος 5 του παρόντος, τα οποία έχουν ως ακολούθως:
ΠΑΡΑΡΤΗΜΑ Ι: ΟΡΟΙ ΚΑΙ ΠΕΡΙΟΡΙΣΜΟΙ ΓΙΑ ΤΗΝ ΑΝΑΠΤΥΞΗ ΖΩΝΗΣ ΤΟΥΡΙΣΜΟΥ ΚΑΙ ΑΝΑΨΥΧΗΣ
α. ΑΦΑΝΤΟΥ ΡΟΔΟΥ
Οι ακόλουθες χρήσεις γης μπορούν να αναπτυχθούν εντός των παραμέτρων που αναφέρονται κατωτέρω:
Χρήσεις γης που δεν συνιστούν ανάπτυξη, όπως εγκαταστάσεις τουριστικού λιμένα, υπαίθριες αθλητικές εγκαταστάσεις κ.λ.π. επιτρέπονται και υπόκεινται σε έγκριση των οριστικών σχεδίων.
1. Επιτρεπόμενες χρήσεις γης και περιορισμοί δόμησης
Κατηγορία Χρήσεων Γης
|
Μέγιστος Συντελεστής Δόμησης
|
Μέγιστο ύψος (μέτρα)
|
Απόσταση από τα όρια (μέτρα)
|
Αναλογία θέσεων στάθμευσης
|
Ξενοδοχεία
|
0.14
|
16 (ίδε και 4)
|
10 (ίδε 5 και 6)
|
1/4 Δωμάτια
|
Κατοικία
|
0.16
|
7.5 (ίδε και 4)
|
10 (ίδε 5 και 6)
|
1/Μονάδα
|
Εμπορικές Δραστηριότητες
|
0.06
|
10 (ίδε και 4)
|
10 (ίδε 5 και 6)
|
3/100 m2
|
Συνδετικός Χώρος
|
0.02
|
(ίδε και 4)
|
(ίδε και 5)
|
|
Κέντρα αναψυχής και διασκέδασης
|
(ίδε 7)
|
10(ίδε και 4)
|
10(ίδε και 5)
|
(ίδε 6)
|
Καζίνο
|
0.07
|
15 (ίδε και 4)
|
10(ίδε και 5)
|
(ίδε 6)
|
2. Συντελεστής Δόμησης: 0,45 επί της συνολικής έκτασης
3. Ποσοστό κάλυψης γηπέδου: 13%
4. Σε απόσταση μέχρι 50 m από τη γραμμή του αιγιαλού,το ύψος ορίζεται σε 7,5 m.
5. Η απόσταση από τη γραμμή του αιγιαλού θα είναι 35 m.
β. ΑΓΙΟΙ ΑΠΟΣΤΟΛΟΙ, ΧΑΝΙΩΝ
Οι ακόλουθες χρήσεις γης μπορούν να αναπτυχθούν εντός των παραμέτρων που αναφέρονται κατωτέρω:
Χρήσεις της που δεν συνιστούν κτιριακή ανάπτυξη, όπως εγκαταστάσεις τουριστικού λιμένα, υπαίθριες αθλητικές εγκαταστάσεις κ.λ.π. επιτρέπονται και υπόκεινται σε έγκριση των οριστικών σχεδίων.
1. Επιτρεπόμενες χρήσεις γης και περιορισμοί δόμησης
Κατηγορία Χρήσεων Γης
|
Μέγιστος Συντελεστής Δόμησης
|
Μέγιστο Ύψος (m)
|
Ελάχιστη Απόσταση από το όριο (m)
|
Ελάχιστη Αναλογία Θέσεων Στάθμευσης
|
Ξενοδοχεία
|
0.10
|
13 (ίδε και 4)
|
10 (ίδε 5 και 6)
|
1/4 Δωμάτια
|
Κατοικία
|
0.075
|
10 (ίδε και 4)
|
10 (ίδε 5 και 6)
|
1/Μονάδα
|
Εμπορικές Δραστηριότητες
|
0.05
|
10 (ίδε και 4)
|
10 (ίδε και 5)
|
3/100 m2
|
Συνεδριακός χώρος
|
0.015
|
|
|
|
2. Συντελεστής Δόμησης: 0,20 επί της συνολικής έκτασης
3. Ποσοστό κάλυψης γηπέδου: 20%
4. Σε απόσταση μέχρι 50 m από τη γραμμή του αιγιαλού, το ύψος ορίζεται σε 7,5 m.
5. Η ελάχιστη απόσταση από τη γραμμή του αιγιαλού ορίζεται σε 20 m.
6. Η ελάχιστη από Δασική Έκταση ορίζεται σε 20 m.

γ. ΜΑΡΑΘΩΝΑ, ΝΑΥΠΛΙΟΥ
Οι ακόλουθες χρήσεις γης μπορούν να αναπτυχθούν εντός των παραμέτρων που αναφέρονται κατωτέρω:
Χρήσεις γης που δεν συνιστούν κτιριακή ανάπτυξη, όπως εγκαταστάσεις τουριστικού λιμένα, υπαίθριες αθλητικές εγκαταστάσεις κ.λ.π. επιτρέπονται και υπόκεινται σε έγκριση των οριστικών σχεδίων.
1. Επιτρεπόμενες χρήσεις γης και περιορισμοί δόμησης
Κατηγορία Χρήσεων Γης
|
Μέγιστος Συντελεστής Δόμησης
|
Μέγιστο Ύψος (m)
|
Ελάχιστη Απόσταση από το όριο (m)
|
Ελάχιστη Αναλογία Θέσεων Στάθμευσης
|
Ξενοδοχεία
|
0.02
|
13 (ίδε και 4)
|
10 (ίδε 5 και 6)
|
1/4 Δωμάτια
|
Κατοικία
|
0.03
|
7,5 (ίδε και 4)
|
10 (ίδε 5 και 6)
|
1/Μονάδα
|
Εμπορικές Δραστηριότητες
|
0.01
|
10 (ίδε και 4)
|
10 (ίδε 5 και 6)
|
3/100 m2
|
Camping
|
|
|
|
|
Προστατευόμενος Όρμος ή Λιμένας
|
|
|
|
|
2. Συντελεστής Δόμησης: 0,05 επί της συνολικής έκτασης
3. Ποσοστό κάλυψης γηπέδου: 5%
4. Σε απόσταση μέχρι 50 m από τη γραμμή του αιγιαλού το ύψος ορίζεται σε 7,5 m.
5. Η ελάχιστη απόσταση από τη γραμμή του αιγιαλού ορίζεται σε 20 m, εκτός από τον Προστατευόμενο Όρμο ή Λιμένα, όπου η απόσταση είναι 5 m.
6. Η ελάχιστη απόσταση από Δασική Έκταση είναι 20 m.

δ. ΛΑΓΟΝΗΣΙ, ΑΤΤΙΚΗΣ
Οι ακόλουθες χρήσεις γης μπορούν να αναπτυχθούν εντός των παραμέτρων που αναφέρονται κατωτέρω:
Χρήσεις γης που δεν συνιστούν κτιριακή ανάπτυξη, όπως εγκαταστάσεις τουριστικού λιμένα, υπαίθριες αθλητικές εγκαταστάσεις κ.λ.π., επιτρέπονται και υπόκεινται σε έγκριση των οριστικών σχεδίων.
1. Επιτρεπόμενες χρήσεις γης και περιορισμοί δόμησης
Κατηγορία Χρήσεων Γης
|
Μέγιστος Συντελεστής Δόμησης
|
Μέγιστο Ύψος (m)
|
Ελάχιστη Απόσταση από το όριο (m)
|
Ελάχιστη Αναλογία Θέσεων Στάθμευσης
|
Ξενοδοχεία
|
0.10
|
16 (ίδε και 4)
|
10 (ίδε και 5)
|
1/4 Δωμάτια
|
Κατοικία
|
0.10
|
7,5 (ίδε και 4)
|
10 (ίδε και 5)
|
1/Μονάδα
|
Εμπορικές Δραστηριότητες
|
0.05
|
10 (ίδε και 4)
|
10 (ίδε και 5)
|
3/100 m2
|
Συνεδριακός χώρος
|
0.015
|
(ίδε και 4)
|
(ίδε και 5)
|
|
Κέντρα αναψυχής και διασκέδασης
|
(ίδε 7)
|
10 (ίδε και 4)
|
10 (ίδε και 5)
|
(ίδε 6)
|
Καζίνο
|
0.07
|
15 (ίδε και 4)
|
10 (ίδε και 5)
|
(ίδε 6)
|
2. Συντελεστής Δόμησης: 0,30 επί της συνολικής έκτασης
3. Ποσοστό κάλυψης γηπέδου: 20%
4. Σε απόσταση μέχρι 50 m από τη γραμμή του αιγιαλού,το ύψος ορίζεται σε 7,5 m
5. Απόσταση από τη γραμμή του αιγιαλού:
α. Ξενοδοχείο - 10 m, εκτός από τα υπάρχοντα μπανγκαλόου τα οποία μπορούν να διατηρήσουν την τωρινή τους απόσταση.
β. Κατοικίες - 10 m
γ. Εμπορικά και Λιμενικές Αρχές - 5 m
6. Θα καθορισθεί κατά την έγκριση του Οριστικού Σχεδίου.
7. Οι χρήσεις αυτές θ' αναπτυχθούν σε τμήμα γηπέδου ανώτατης έκτασης 75.000 m2.
ε. ΚΑΛΑΒΡΥΤΑ, ΑΧΑΪΑΣ
Οι ακόλουθες χρήσεις γης μπορούν να αναπτυχθούν εντός των παραμέτρων που αναφέρονται κατωτέρω:
Χρήσεις γης που δεν συνιστούν κτιριακή ανάπτυξη, όπως εγκαταστάσεις τουριστικού λιμένα, υπαίθριες αθλητικές εγκαταστάσεις κ.λ.π. επιτρέπονται και υπόκεινται σε έγκριση των οριστικών σχεδίων.
1. Επιτρεπόμενες χρήσεις γης και περιορισμοί δόμησης
Κατηγορία Χρήσεων Γης
|
Μέγιστος Συντελεστής Δόμησης
|
Μέγιστο Ύψος (m)
|
Ελάχιστη Απόσταση από το όριο (m)
|
Ελάχιστη Αναλογία Θέσεων Στάθμευσης
|
Ξενοδοχεία
|
0.5
|
13
|
10 (ίδε και 4)
|
1/4 Δωμάτια
|
Κατοικία
|
0.01
|
10
|
10 (ίδε και 4)
|
1/Μονάδα
|
Εμπορικές Δραστηριότητες
|
0.001
|
10
|
6 (ίδε και 4)
|
3/100 m2
|
Camping
|
|
|
|
|
2. Συντελεστής Δόμησης: 0,06 επί της συνολικής έκτασης
3. Ποσοστό κάλυψης γηπέδου: 6%
4. Η ελάχιστη απόσταση από Δασική Έκταση είναι 20 m.

ΠΑΡΑΡΤΗΜΑ ΙΙ:ΟΡΟΙ ΚΑΙ ΠΕΡΙΟΡΙΣΜΟΙ ΑΝΑΠΤΥΞΗΣ ΤΟΥΡΙΣΤΙΚΟΥ ΛΙΜΕΝΑ
α. ΑΡΕΤΣΟΥ, ΚΑΛΑΜΑΡΙΑΣ
Οι ακόλουθες χρήσεις γης μπορούν να αναπτυχθούν εντός των παραμέτρων που αναφέρονται κατωτέρω:
1. Επιτρεπόμενες χρήσεις γης και περιορισμοί δόμησης
Κατηγορία Χρήσεων Γης
|
Μέγιστος Συντελεστής Δόμησης
|
Μέγιστο Ύψος (m)
|
Ελάχιστη Απόσταση από το όριο (m)
|
Ελάχιστη Αναλογία Θέσεων Στάθμευσης
|
Ξενοδοχεία
|
0.20
|
13 (ίδε και 4)
|
10 (ίδε και 5)
|
1/4 Δωμάτια
|
Εμπορικές Δραστηριότητες
|
0.20
|
10 (ίδε και 4)
|
10 (ίδε και 5)
|
2/100 m2
|
Κατοικίες
|
0.20
|
10 (ίδε και 4)
|
10 (ίδε και 5)
|
1 ανά κατοικία
|
Αθλητικές εγκαταστάσεις και εναπόθεση σκαφών στην ξηρά
|
|
|
|
|
2. Συντελεστής δόμησης: 0,40 επί της συνολικής χερσαίας έκτασης
3. Ποσοστό κάλυψης γηπέδου: 20%
4. Σε απόσταση μέχρι 15 m από τη γραμμή του αιγιαλού, το ύψος περιορίζεται σε 7,5 m.
5. Δεν είναι υποχρεωτική, όσον αφορά την προκυμαία.
6. Περιλαμβάνει εστιατόρια, ταβέρνες, καταστήματα ειδών πλοίων, άλλα καταστήματα, κέντρα διασκέδασης, πώληση σκαφών, κτίρια για επισκευές και συντήρηση σκαφών και παρεμφερή καταστήματα κ.λ.π.
7. Η περιοχή του χώρου στάθμευσης μπορεί να χρησιμοποιηθεί για ξηρά εναπόθεση σκαφών κατά τη μη τουριστική περίοδο. Οι θέσεις εναπόθεσης στην ξηρά μπορούν να χρησιμοποιηθούν για να ικανοποιήσουν ανάγκες για χώρο στάθμευσης κατά τη διάρκεια της περιόδου αιχμής.
8. Η θέση των ορίων των προτεινομένων προσχώσεων, που εμφανίζονται στο σχέδιο, είναι δυνατό ν' αλλάξουν υπό τον όρο ότι η ολική έκταση της χερσαίας ζώνης δεν θα υπερβαίνει την έκταση που απεικονίζεται στο παρόν σχέδιο. Η τελική θέση της τοποθετήσεως των προσχώσεων εγκρίνεται από την Επιτροπή κατόπιν εισηγήσεως της Γραμματείας.

β. ΦΛΟΙΣΒΟΣ, ΑΤΤΙΚΗΣ
Οι ακόλουθες χρήσεις γης μπορούν να αναπτυχθούν εντός των παραμέτρων που αναφέρονται κατωτέρω:
1. Επιτρεπόμενες χρήσεις γης και περιορισμοί δόμησης
Κατηγορία Χρήσεων Γης
|
Μέγιστος Συντελεστής Δόμησης
|
Μέγιστο Ύψος (m)
|
Ελάχιστη Απόσταση από το όριο (m)
|
Ελάχιστη Αναλογία Θέσεων Στάθμευσης
|
Ξενοδοχεία
|
0.25
|
10 (ίδε και 4)
|
10 (ίδε και 5)
|
1/2 Δωμάτια
|
Εμπορικές Δραστηριότητες (ίδε και 6)
|
0.15
|
9 (ίδε και 4)
|
10 (ίδε και 5)
|
2/100 m2
|
Κατοικίες
|
0.30
|
7,5 (ίδε και 4)
|
10 (ίδε και 5)
|
1 ανά κατοικία
|
Αθλητικές εγκαταστάσεις και εναπόθεση σκαφών στην ξηρά
|
|
|
|
|
2. Συντελεστής δόμησης: 0,40 επί της συνολικής χερσαίας έκτασης
3. Ποσοστό κάλυψης γηπέδου: 20%
4. Σε απόσταση μέχρι 15 m από τη γραμμή του αιγιαλού, το ύψος περιορίζεται σε 7,5 m. Από 15 ως 30 m, το ύψος περιορίζεται σε 16 m.
5. Δεν είναι υποχρεωτική, όσον αφορά την προκυμαία.
6. Περιλαμβάνει εστιατόρια, ταβέρνες, καταστήματα ειδών πλοίων, άλλα καταστήματα, κέντρα διασκέδασης, πώληση σκαφών, κτίρια για επισκευές και συντήρηση και παρεμφερή καταστήματα κ.λ.π.
7. Η περιοχή του χώρου στάθμευσης μπορεί να χρησιμοποιηθεί για ξηρά εναπόθεση σκαφών κατά τη μη τουριστική περίοδο. Οι θέσεις εναπόθεσης στην ξηρά μπορούν να χρησιμοποιηθούν για να ικανοποιήσουν τις ανάγκες για χώρο στάθμευσης κατά τη διάρκεια της περιόδου αιχμής.
8. Η θέση των ορίων των προτεινομένων προσχώσεων, που εμφανίζονται στο σχέδιο, είναι δυνατόν ν' αλλάξουν υπό τον όρο ότι η ολική έκταση της χερσαίας ζώνης δεν θα υπερβαίνει την έκταση που απεικονίζεται στο παρόν σχέδιο. Η τελική θέση της τοποθετήσεως των προσχώσεων εγκρίνεται από την Επιτροπή κατόπιν εισηγήσεως της Γραμματείας.
γ. ΓΟΥΒΙΑ, ΚΕΡΚΥΡΑΣ
Οι ακόλουθες χρήσεις γης μπορούν να αναπτυχθούν εντός των παραμέτρων που αναφέρονται κατωτέρω:
1. Επιτρεπόμενες χρήσεις γης και περιορισμοί δόμησης
Κατηγορία Χρήσεων Γης
|
Μέγιστος Συντελεστής Δόμησης
|
Μέγιστο Ύψος (m)
|
Ελάχιστη Απόσταση από το όριο (m)
|
Ελάχιστη Αναλογία Θέσεων Στάθμευσης
|
Ξενοδοχεία
|
0.10
|
13 (ίδε και 4)
|
10 (ίδε και 5)
|
1/4 Δωμάτια
|
Εμπορικές Δραστηριότητες (ίδε και 6)
|
0.05
|
10 (ίδε και 4)
|
10 (ίδε και 5)
|
2/100 m2
|
Κατοικίες
|
0.10
|
10 (ίδε και 4)
|
10 (ίδε και 5)
|
1 ανά κατοικία
|
Αθλητικές εγκαταστάσεις και εναπόθεση σκαφών στην ξηρά
|
|
|
|
|
2. Συντελεστής δόμησης: 0,20 επί της συνολικής χερσαίας έκτασης
3. Ποσοστό κάλυψης γηπέδου: 20%
4. Σε απόσταση μέχρι 15 m από τη γραμμή του αιγιαλού, το ύψος περιορίζεται σε 7,5 m.
5. Δεν είναι υποχρεωτική, όσον αφορά την προκυμαία.
6. Περιλαμβάνει εστιατόρια, ταβέρνες, καταστήματα ειδών πλοίων, άλλα καταστήματα, κέντρα διασκέδασης, πώληση σκαφών, κτίρια για επισκευές και συντήρηση σκαφών και παρεμφερή καταστήματα κ.λ.π.
7. Η περιοχή του χώρου στάθμευσης μπορεί να χρησιμοποιηθεί για ξηρά εναπόθεση σκαφών κατά τη μη τουριστική περίοδο. Οι θέσεις εναπόθεσης στην ξηρά μπορούν να χρησιμοποιηθούν για να ικανοποιήσουν τις ανάγκες για χώρο στάθμευσης κατά τη διάρκεια της περιόδου αιχμής.
8. Η θέση των ορίων των προτεινομένων προσχώσεων, που εμφανίζονται στο σχέδιο, είναι δυνατό ν' αλλάξουν υπό τον όρο ότι η ολική έκταση της χερσαίας ζώνης δεν θα υπερβαίνει την έκταση που απεικονίζεται στο παρόν σχέδιο. Η τελική θέση της τοποθετήσεως των προσχώσεων εγκρίνεται από την Επιτροπή κατόπιν εισηγήσεως της Γραμματείας.
δ. ΧΙΟΣ
Οι ακόλουθες χρήσεις γης μπορούν να αναπτυχθούν εντός των παραμέτρων που αναφέρονται κατωτέρω:
1. Επιτρεπόμενες χρήσεις γης και περιορισμοί δόμησης
Κατηγορία Χρήσεων Γης
|
Μέγιστος Συντελεστής Δόμησης
|
Μέγιστο Ύψος (m)
|
Ελάχιστη Απόσταση από το όριο (m)
|
Ελάχιστη Αναλογία Θέσεων Στάθμευσης
|
Ξενοδοχεία
|
0.20
|
13 (ίδε και 4)
|
5 (ίδε και 5)
|
1/4 Δωμάτια
|
Εμπορικές Δραστηριότητες (ίδε και 6)
|
0.30
|
10 (ίδε και 4)
|
5 (ίδε και 5)
|
2/100 m2
|
Κατοικίες
|
0.20
|
10 (ίδε και 4)
|
5 (ίδε και 5)
|
1 ανά κατοικία
|
Αθλητικές εγκαταστάσεις και εναπόθεση σκαφών στην ξηρά
|
|
|
|
|
2. Συντελεστής δόμησης: 0,30 επί της συνολικής χερσαίας έκτασης
3. Ποσοστό κάλυψης γηπέδου: 20%
4. Σε απόσταση μέχρι 15 m από τη γραμμή του αιγιαλού, το ύψος περιορίζεται σε 7,5 m.
5. Δεν είναι υποχρεωτική, όσον αφορά την προκυμαία.
6. Περιλαμβάνει εστιατόρια, ταβέρνες, καταστήματα ειδών πλοίων, άλλα καταστήματα, κέντρα διασκέδασης, πώληση σκαφών, κτίρια για επισκευές και συντήρηση σκαφών και παρεμφερή καταστήματα κ.λ.π.
7. Η περιοχή του χώρου στάθμευσης μπορεί να χρησιμοποιηθεί για ξηρά εναπόθεση σκαφών κατά τη μη τουριστική περίοδο. Οι θέσεις εναπόθεσης στην ξηρά μπορούν να χρησιμοποιηθούν για να ικανοποιήσουν τις ανάγκες για χώρο στάθμευσης κατά τη διάρκεια της περιόδου αιχμής.
8. Η θέση των ορίων των προτεινομένων προσχώσεων, που εμφανίζονται στο σχέδιο, είναι δυνατό ν' αλλάξουν υπό τον όρο ότι η ολική έκταση της χερσαίας ζώνης δεν θα υπερβαίνει την έκταση που απεικονίζεται στο παρόν σχέδιο. Η τελική θέση της τοποθετήσεως των προσχώσεων εγκρίνεται από την Επιτροπή κατόπιν εισηγήσεως της Γραμματείας.

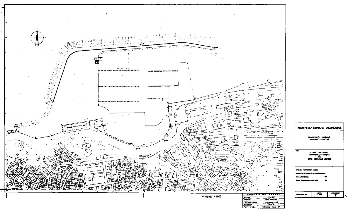
ε. ΗΡΑΚΛΕΙΟ, ΚΡΗΤΗΣ
Οι ακόλουθες χρήσεις γης μπορούν να αναπτυχθούν εντός των παραμέτρων που αναφέρονται κατωτέρω:
1. Επιτρεπόμενες χρήσεις γης και περιορισμοί δόμησης
Κατηγορία Χρήσεων Γης
|
Μέγιστος Συντελεστής Δόμησης
|
Μέγιστο Ύψος (m)
|
Ελάχιστη Απόσταση από το όριο (m)
|
Ελάχιστη Αναλογία Θέσεων Στάθμευσης
|
Ξενοδοχεία
|
0.20
|
16 (ίδε και 4)
|
3 (ίδε και 5)
|
1/4 Δωμάτια
|
Εμπορικές Δραστηριότητες (ίδε και 6)
|
0.30
|
10 (ίδε και 4)
|
3 (ίδε και 5)
|
2/100 m2
|
Κατοικίες
|
0.30
|
10 (ίδε και 4)
|
3 (ίδε και 5)
|
1 ανά κατοικία
|
Αθλητικές εγκαταστάσεις και εναπόθεση σκαφών στην ξηρά
|
|
|
|
|
2. Συντελεστής δόμησης: 0,40 επί της συνολικής χερσαίας έκτασης
3. Ποσοστό κάλυψης γηπέδου: 20%
4. Σε απόσταση μέχρι 15 m από τη γραμμή του αιγιαλού, το ύψος περιορίζεται σε 7,5 m.
5. Δεν είναι υποχρεωτική, όσον αφορά την προκυμαία.
6. Περιλαμβάνει εστιατόρια, ταβέρνες, καταστήματα ειδών πλοίων, άλλα καταστήματα, κέντρα διασκέδασης, πώληση σκαφών, κτίρια για επισκευές και συντήρηση σκαφών και παρεμφερή καταστήματα κ.λ.π.
7. Η περιοχή του χώρου στάθμευσης μπορεί να χρησιμοποιηθεί για ξηρά εναπόθεση σκαφών κατά τη μη τουριστική περίοδο. Οι θέσεις εναπόθεσης στην ξηρά μπορούν να χρησιμοποιηθούν για να ικανοποιήσουν τις ανάγκες για χώρο στάθμευσης κατά τη διάρκεια της περιόδου αιχμής.
8. Η θέση των ορίων των προτεινομένων προσχώσεων, που εμφανίζονται στο σχέδιο, είναι δυνατό ν' αλλάξουν υπό τον όρο ότι η ολική έκταση της χερσαίας ζώνης δεν θα υπερβαίνει την έκταση που απεικονίζεται στο παρόν σχέδιο. Η τελική θέση της τοποθετήσεως των προσχώσεων εγκρίνεται από την Επιτροπή κατόπιν εισηγήσεως της Γραμματείας.

στ. ΑΓΥΙΑ, ΠΑΤΡΑΣ
Οι ακόλουθες χρήσεις γης μπορούν αν αναπτυχθούν εντός των παραμέτρων που αναφέρονται κατωτέρω:
1. Επιτρεπόμενες χρήσεις γης και περιορισμοί δόμησης
Κατηγορία Χρήσεων Γης
|
Μέγιστος Συντελεστής Δόμησης
|
Μέγιστο Ύψος (m)
|
Ελάχιστη Απόσταση από το όριο (m)
|
Ελάχιστη Αναλογία Θέσεων Στάθμευσης
|
Ξενοδοχεία
|
0.20
|
13 (ίδε και 4)
|
10 (ίδε και 5)
|
1/4 Δωμάτια
|
Εμπορικές Δραστηριότητες (ίδε και 6)
|
0.20
|
10 (ίδε και 4)
|
10 (ίδε και 5)
|
2/100 m2
|
Κατοικίες
|
0.40
|
10 (ίδε και 4)
|
10 (ίδε και 5)
|
1 ανά κατοικία
|
Αθλητικές εγκαταστάσεις και εναπόθεση σκαφών στην ξηρά
|
|
|
|
|
2. Συντελεστής δόμησης: 0,40 επί της συνολικής χερσαίας έκτασης
3. Ποσοστό κάλυψης γηπέδου: 20%
4. Σε απόσταση μέχρι 15 m από τη γραμμή του αιγιαλού, το ύψος περιορίζεται σε 7,5 m.
5. Δεν είναι υποχρεωτική, όσον αφορά την προκυμαία.
6. Περιλαμβάνει εστιατόρια, ταβέρνες, καταστήματα ειδών πλοίων, άλλα καταστήματα, κέντρα διασκέδασης, πώληση σκαφών, κτίρια για επισκευές και συντήρηση σκαφών και παρεμφερή καταστήματα κ.λ.π.
7. Η περιοχή του χώρου στάθμευσης μπορεί να χρησιμοποιηθεί για ξηρά εναπόθεση σκαφών κατά τη μη τουριστική περίοδο. Οι θέσεις εναπόθεσης στην ξηρά μπορούν να χρησιμοποιηθούν για να ικανοποιήσουν τις ανάγκες για χώρο στάθμευσης κατά τη διάρκεια της περιόδου αιχμής.
8. Η θέση των ορίων των προτεινομένων προσχώσεων, που εμφανίζονται στο σχέδιο, είναι δυνατό ν' αλλάξουν υπό τον όρο ότι η ολική έκταση της χερσαίας ζώνης δεν θα υπερβαίνει την έκταση που απεικονίζεται στο παρόν σχέδιο. Η τελική θέση της τοποθετήσεως των προσχώσεων εγκρίνεται από την Επιτροπή κατόπιν εισηγήσεως της Γραμματείας.

ζ. ΠΥΛΟΣ, ΜΕΣΣΗΝΙΑΣ
Οι ακόλουθες χρήσεις γης μπορούν να αναπτυχθούν εντός των παραμέτρων που αναφέρονται κατωτέρω:
1. Επιτρεπόμενες χρήσεις γης και περιορισμοί δόμησης
Κατηγορία Χρήσεων Γης
|
Μέγιστος Συντελεστής Δόμησης
|
Μέγιστο Ύψος (m)
|
Ελάχιστη Απόσταση από το όριο (m)
|
Ελάχιστη Αναλογία Θέσεων Στάθμευσης
|
Ξενοδοχεία
|
0.25
|
10 (ίδε και 4)
|
5 (ίδε και 5)
|
1/4 Δωμάτια
|
Εμπορικές Δραστηριότητες (ίδε και 6)
|
0.30
|
7,5 (ίδε και 4)
|
5 (ίδε και 5)
|
2/100 m2
|
Κατοικίες
|
0.30
|
7,5 (ίδε και 4)
|
5 (ίδε και 5)
|
1 ανά κατοικία
|
Αθλητικές εγκαταστάσεις και εναπόθεση σκαφών στην ξηρά
|
|
|
|
|
2. Συντελεστής δόμησης: 0,40 επί της συνολικής χερσαίας έκτασης
3. Ποσοστό κάλυψης γηπέδου: 20%
4. Σε απόσταση μέχρι 15 m από τη γραμμή του αιγιαλού, το ύψος περιορίζεται σε 7,5 m.
5. Δεν είναι υποχρεωτική, όσον αφορά την προκυμαία.
6. Περιλαμβάνει εστιατόρια, ταβέρνες, καταστήματα ειδών πλοίων, άλλα καταστήματα, κέντρα διασκέδασης, πώληση σκαφών, κτίρια για επισκευές και συντήρηση σκαφών και παρεμφερή καταστήματα κ.λ.π.
7. Η περιοχή του χώρου στάθμευσης μπορεί να χρησιμοποιηθεί για ξηρά εναπόθεση σκαφών κατά τη μη τουριστική περίοδο. Οι θέσεις εναπόθεσης στην ξηρά μπορούν να χρησιμοποιηθούν για να ικανοποιήσουν τις ανάγκες για χώρο στάθμευσης κατά τη διάρκεια της περιόδου αιχμής.
8. Η θέση των ορίων των προτεινομένων προσχώσεων, που εμφανίζονται στο σχέδιο, είναι δυνατό ν' αλλάξουν υπό τον όρο ότι η ολική έκταση της χερσαίας ζώνης δεν θα υπερβαίνει την έκταση που απεικονίζεται στο παρόν σχέδιο. Η τελική θέση της τοποθετήσεως των προσχώσεων εγκρίνεται από την Επιτροπή κατόπιν εισηγήσεως της Γραμματείας.

η. ΡΕΘΥΜΝΟ, ΚΡΗΤΗΣ
Οι ακόλουθες χρήσεις γης μπορούν να αναπτυχθούν εντός των παραμέτρων που αναφέρονται κατωτέρω:
1. Επιτρεπόμενες χρήσεις γης και περιορισμοί δόμησης
Κατηγορία Χρήσεων Γης
|
Μέγιστος Συντελεστής Δόμησης
|
Μέγιστο Ύψος (m)
|
Ελάχιστη Απόσταση από το όριο (m)
|
Ελάχιστη Αναλογία Θέσεων Στάθμευσης
|
Ξενοδοχεία
|
0.25
|
13 (ίδε και 4)
|
5 (ίδε και 5)
|
1/4 Δωμάτια
|
Εμπορικές Δραστηριότητες (ίδε και 6)
|
0.30
|
10 (ίδε και 4)
|
5 (ίδε και 5)
|
2/100 m2
|
Κατοικίες
|
0.20
|
7,5 (ίδε και 4)
|
5 (ίδε και 5)
|
1 ανά κατοικία
|
Αθλητικές εγκαταστάσεις και εναπόθεση σκαφών στην ξηρά
|
|
|
|
|
2. Συντελεστής δόμησης: 0,40 επί της συνολικής χερσαίας έκτασης
3. Ποσοστό κάλυψης γηπέδου: 20%
4. Σε απόσταση μέχρι 20 m από τη γραμμή του αιγιαλού, το ύψος περιορίζεται σε 7,5 m.
5. Δεν είναι υποχρεωτική, όσον αφορά την προκυμαία.
6. Περιλαμβάνει εστιατόρια, ταβέρνες, καταστήματα ειδών πλοίων, άλλα καταστήματα, κέντρα διασκέδασης, πώληση σκαφών, κτίρια για επισκευές και συντήρηση σκαφών και παρεμφερή καταστήματα κ.λ.π.
7. Η περιοχή του χώρου στάθμευσης μπορεί να χρησιμοποιηθεί για ξηρά εναπόθεση σκαφών κατά τη μη τουριστική περίοδο. Οι θέσεις εναπόθεσης στην ξηρά μπορούν να χρησιμοποιηθούν για να ικανοποιήσουν τις ανάγκες για χώρο στάθμευσης κατά τη διάρκεια της περιόδου αιχμής.
8. Η θέση των ορίων των προτεινομένων προσχώσεων, που εμφανίζονται στο σχέδιο, είναι δυνατό ν' αλλάξουν υπό τον όρο ότι η ολική έκταση της χερσαίας ζώνης δεν θα υπερβαίνει την έκταση που απεικονίζεται στο παρόν σχέδιο. Η τελική θέση της τοποθετήσεως των προσχώσεων εγκρίνεται από την Επιτροπή κατόπιν εισηγήσεως της Γραμματείας.
θ. ΡΟΔΟΣ
Οι ακόλουθες χρήσεις γης μπορούν να αναπτυχθούν εντός των παραμέτρων που αναφέρονται κατωτέρω:
1. Επιτρεπόμενες χρήσεις γης και περιορισμοί δόμησης
Κατηγορία Χρήσεων Γης
|
Μέγιστος Συντελεστής Δόμησης
|
Μέγιστο Ύψος (m)
|
Ελάχιστη Απόσταση από το όριο (m)
|
Ελάχιστη Αναλογία Θέσεων Στάθμευσης
|
Εμπορικές Δραστηριότητες (ίδε και 6)
|
0.30
|
10 (ίδε και 4)
|
5 (ίδε και 5)
|
2/100 m2
|
Κατοικίες
|
0.30
|
7,5 (ίδε και 4)
|
5 (ίδε και 5)
|
1 ανά κατοικία
|
Αθλητικές εγκαταστάσεις και εναπόθεση σκαφών στην ξηρά
|
|
|
|
|
2. Συντελεστής δόμησης: 0,40 επί της συνολικής χερσαίας έκτασης
3. Ποσοστό κάλυψης γηπέδου: 20%
4. Σε απόσταση μέχρι 15 m από τη γραμμή του αιγιαλού, το ύψος περιορίζεται σε 7,5 m.
5. Δεν είναι υποχρεωτική, όσον αφορά την προκυμαία.
6. Περιλαμβάνει εστιατόρια, ταβέρνες, καταστήματα ειδών πλοίων, άλλα καταστήματα, κέντρα διασκέδασης, πώληση σκαφών, κτίρια για επισκευές και συντήρηση σκαφών και παρεμφερή καταστήματα κ.λ.π.
7. Η θέση των ορίων των προτεινομένων προσχώσεων, που εμφανίζονται στο σχέδιο, είναι δυνατόν ν' αλλάξουν, υπό τον όρο ότι η ολική έκταση της χερσαίας ζώνης δεν θα υπερβαίνει την έκταση που απεικονίζεται στο παρόν σχέδιο. Η τελική θέση της τοποθετήσεως των προσχώσεων από την Επιτροπή κατόπιν εισηγήσεως της Γραμματείας.

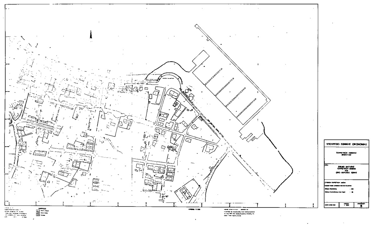
ι. ΚΩΣ
Οι ακόλουθες χρήσεις γης μπορούν αν αναπτυχθούν εντός των παραμέτρων που αναφέρονται κατωτέρω:
1. Επιτρεπόμενες χρήσεις γης και περιορισμοί δόμησης
Κατηγορία Χρήσεων Γης
|
Μέγιστος Συντελεστής Δόμησης
|
Μέγιστο Ύψος (m)
|
Ελάχιστη Απόσταση από το όριο (m)
|
Ελάχιστη Αναλογία Θέσεων Στάθμευσης
|
Εμπορικές Δραστηριότητες (ίδε και 6)
|
0.20
|
10 (ίδε και 4)
|
3 (ίδε και 5)
|
2/100 m2
|
Κατοικίες
|
0.30
|
7,5 (ίδε και 4)
|
3 (ίδε και 5)
|
1 ανά κατοικία
|
Αθλητικές εγκαταστάσεις και εναπόθεση σκαφών στην ξηρά
|
|
|
|
|
2. Συντελεστής δόμησης: 0,40 επί της συνολικής χερσαίας έκτασης
3. Ποσοστό κάλυψης γηπέδου: 20%
4. Σε απόσταση μέχρι 15 m από τη γραμμή του αιγιαλού, το ύψος περιορίζεται σε 7,5 m.
5. Δεν είναι υποχρεωτική, όσον αφορά την προκυμαία.
6. Περιλαμβάνει εστιατόρια, ταβέρνες, καταστήματα ειδών πλοίων, άλλα καταστήματα, κέντρα διασκέδασης, πώληση σκαφών, κτίρια για επισκευές και συντήρηση σκαφών και παρεμφερή καταστήματα κ.λ.π.
7. Η θέση των ορίων των προτεινομένων προσχώσεων, που εμφανίζονται στο σχέδιο, είναι δυνατόν ν' αλλάξουν, υπό τον όρο ότι η ολική έκταση της χερσαίας ζώνης δεν θα υπερβαίνει την έκταση που απεικονίζεται στο παρόν σχέδιο. Η τελική θέση της τοποθετήσεως των προσχώσεων από την Επιτροπή κατόπιν εισηγήσεως της Γραμματείας.

ι)α. ΛΟΥΤΡΑΚΙ, ΚΟΡΙΝΘΙΑΣ
Οι ακόλουθες χρήσεις γης μπορούν να αναπτυχθούν εντός των παραμέτρων που αναφέρονται κατωτέρω:
1. Επιτρεπόμενες χρήσεις γης και περιορισμοί δόμησης
Κατηγορία Χρήσεων Γης
|
Μέγιστος Συντελεστής Δόμησης
|
Μέγιστο Ύψος (m)
|
Ελάχιστη Απόσταση από το όριο (m)
|
Ελάχιστη Αναλογία Θέσεων Στάθμευσης
|
Ξενοδοχεία
|
0.20
|
16 (ίδε και 4)
|
5 (ίδε και 5)
|
1/4 Δωμάτια
|
Εμπορικές Δραστηριότητες (ίδε και 6)
|
0.30
|
10 (ίδε και 4)
|
5 (ίδε και 5)
|
2/100 m2
|
Κατοικίες
|
0.20
|
10 (ίδε και 4)
|
5 (ίδε και 5)
|
1 ανά κατοικία
|
Αθλητικές εγκαταστάσεις και εναπόθεση σκαφών στην ξηρά
|
|
|
|
|
2. Συντελεστής δόμησης: 0,40 επί της συνολικής χερσαίας έκτασης
3. Ποσοστό κάλυψης γηπέδου: 20%
4. Σε απόσταση μέχρι 15 m από τη γραμμή του αιγιαλού, το ύψος περιορίζεται σε 7,5 m.
5. Δεν είναι υποχρεωτική, όσον αφορά την προκυμαία.
6. Περιλαμβάνει εστιατόρια, ταβέρνες, καταστήματα ειδών πλοίων, άλλα καταστήματα, κέντρα διασκέδασης, πώληση σκαφών, κτίρια για επισκευές και συντήρηση σκαφών και παρεμφερή καταστήματα κ.λ.π.
7. Η περιοχή του χώρου στάθμευσης μπορεί να χρησιμοποιηθεί για ξηρά εναπόθεση σκαφών κατά τη μη τουριστική περίοδο. Οι θέσεις στην ξηρά μπορούν να χρησιμοποιηθούν για να ικανοποιήσουν τις ανάγκες για χώρο στάθμευσης κατά τη διάρκεια της περιόδου αιχμής.
8. Η θέση των ορίων των προτεινομένων προσχώσεων, που εμφανίζονται στο σχέδιο, είναι δυνατόν ν' αλλάξουν υπό τον όρο ότι η ολική έκταση της χερσαίας ζώνης δεν θα υπερβαίνει την έκταση που απεικονίζεται στο παρόν σχέδιο. Η τελική θέση της τοποθετήσεως των προσχώσεων εγκρίνεται από την Επιτροπή κατόπιν εισηγήσεως της Γραμματείας.

ι)β. ΑΓΙΟΣ ΧΑΡΑΛΑΜΠΟΣ, ΜΥΚΟΝΟΥ
Οι ακόλουθες χρήσεις γης μπορούν να αναπτυχθούν εντός των παραμέτρων που αναφέρονται κατωτέρω:
1. Επιτρεπόμενες χρήσεις γης και περιορισμοί δόμησης
Κατηγορία Χρήσεων Γης
|
Μέγιστος Συντελεστής Δόμησης
|
Μέγιστο Ύψος (m)
|
Ελάχιστη Απόσταση από το όριο (m)
|
Ελάχιστη Αναλογία Θέσεων Στάθμευσης
|
Εμπορικές Δραστηριότητες (ίδε και 5)
|
0.20
|
8
|
5 (ίδε και 4)
|
2/100 m2
|
Αθλητικές εγκαταστάσεις και εναπόθεση σκαφών στην ξηρά
|
|
|
|
|
2. Συντελεστής δόμησης: 0,20 επί της συνολικής χερσαίας έκτασης
3. Ποσοστό κάλυψης γηπέδου: 20%
4. Δεν είναι υποχρεωτική, όσον αφορά την προκυμαία.
5. Περιλαμβάνει εστιατόρια, ταβέρνες, καταστήματα ειδών πλοίων, άλλα καταστήματα, κέντρα διασκέδασης, πώληση σκαφών, κτίρια για επισκευές και συντήρηση σκαφών και παρεμφερή καταστήματα κ.λ.π.
6. Η περιοχή του χώρου στάθμευσης μπορεί να χρησιμοποιηθεί για ξηρά εναπόθεση σκαφών κατά τη μη τουριστική περίοδο. Οι θέσεις εναπόθεσης στην ξηρά μπορούν να χρησιμοποιηθούν για να ικανοποιήσουν τις ανάγκες για χώρο στάθμευσης κατά τη διάρκεια της περιόδου αιχμής.
7. Η θέση των ορίων των προτεινομένων προσχώσεων, που εμφανίζονται στο σχέδιο, είναι δυνατόν ν' αλλάξου, υπό τον όρο ότι η ολική έκταση της χερσαίας ζώνης δεν θα υπερβαίνει την έκταση που απεικονίζεται στο παρόν σχέδιο. Η τελική θέση της τοποθετήσεως των προσχώσεων από την Επιτροπή κατόπιν εισηγήσεως της Γραμματείας.

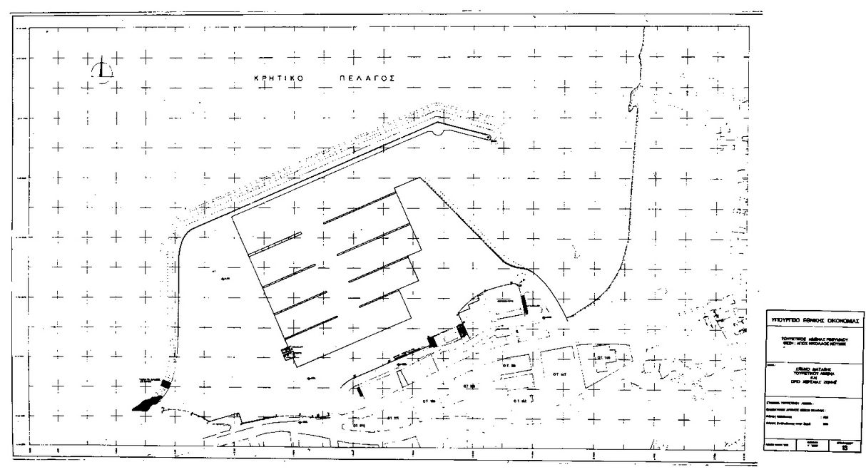
ι)γ. ΑΓΙΟΣ ΝΙΚΟΛΑΟΣ, ΚΡΗΤΗΣ
Οι ακόλουθες χρήσεις γης μπορούν να αναπτυχθούν εντός των παραμέτρων που αναφέρονται κατωτέρω:
1. Επιτρεπόμενες χρήσεις γης και περιορισμοί δόμησης
Κατηγορία Χρήσεων Γης
|
Μέγιστος Συντελεστής Δόμησης
|
Μέγιστο Ύψος (m)
|
Ελάχιστη Απόσταση από το όριο (m)
|
Ελάχιστη Αναλογία Θέσεων Στάθμευσης
|
Ξενοδοχεία
|
0.20
|
13 (ίδε και 4)
|
3 (ίδε και 5)
|
1/4 Δωμάτια
|
Εμπορικές Δραστηριότητες (ίδε και 6)
|
0.20
|
10 (ίδε και 4)
|
3 (ίδε και 5)
|
2/100 m2
|
Κατοικίες
|
0.20
|
10 (ίδε και 4)
|
3 (ίδε και 5)
|
1 ανά κατοικία
|
Αθλητικές εγκαταστάσεις και εναπόθεση σκαφών στην ξηρά
|
|
|
|
|
2. Συντελεστής δόμησης: 0,40 επί της συνολικής χερσαίας έκτασης
3. Ποσοστό κάλυψης γηπέδου: 20%
4. Σε απόσταση μέχρι 15 m από τη γραμμή του αιγιαλού, το ύψος περιορίζεται σε 7,5 m.
5. Δεν είναι υποχρεωτική, όσον αφορά την προκυμαία.
6. Περιλαμβάνει εστιατόρια, ταβέρνες, καταστήματα ειδών πλοίων, άλλα καταστήματα, κέντρα διασκέδασης, πώληση σκαφών, κτίρια για επισκευές και συντήρηση σκαφών και παρεμφερή καταστήματα κ.λ.π.
7. Η περιοχή του χώρου στάθμευσης μπορεί να χρησιμοποιηθεί για ξηρά εναπόθεση σκαφών κατά τη μη τουριστική περίοδο. Οι θέσεις στην ξηρά μπορούν να χρησιμοποιηθούν για να ικανοποιήσουν τις ανάγκες για χώρο στάθμευσης κατά τη διάρκεια της περιόδου αιχμής.
8. Η θέση των ορίων των προτεινομένων προσχώσεων, που εμφανίζονται στο σχέδιο, είναι δυνατόν ν' αλλάξουν υπό τον όρο ότι η ολική έκταση της χερσαίας ζώνης δεν θα υπερβαίνει την έκταση που απεικονίζεται στο παρόν σχέδιο. Η τελική θέση της τοποθετήσεως των προσχώσεων εγκρίνεται από την Επιτροπή κατόπιν εισηγήσεως της Γραμματείας.


ι)δ. ΠΥΘΑΓΟΡΕΙΟ, ΣΑΜΟΥ
Οι ακόλουθες χρήσεις γης μπορούν να αναπτυχθούν εντός των παραμέτρων που αναφέρονται κατωτέρω:
1. Επιτρεπόμενες χρήσεις γης και περιορισμοί δόμησης
Κατηγορία Χρήσεων Γης
|
Μέγιστος Συντελεστής Δόμησης
|
Μέγιστο Ύψος (m)
|
Ελάχιστη Απόσταση από το όριο (m)
|
Ελάχιστη Αναλογία Θέσεων Στάθμευσης
|
Ξενοδοχεία
|
0.25
|
13 (ίδε και 4)
|
5 (ίδε και 5)
|
1/4 Δωμάτια
|
Εμπορικές Δραστηριότητες (ίδε και 6)
|
0.30
|
10 (ίδε και 4)
|
5 (ίδε και 5)
|
2/100 m2
|
Κατοικίες
|
0.25
|
7,5 (ίδε και 4)
|
5 (ίδε και 5)
|
1 ανά κατοικία
|
Αθλητικές εγκαταστάσεις και εναπόθεση σκαφών στην ξηρά
|
|
|
|
|
2. Συντελεστής δόμησης: 1,0 επί της συνολικής χερσαίας έκτασης
3. Ποσοστό κάλυψης γηπέδου: 20%
4. Σε απόσταση μέχρι 15 m από τη γραμμή του αιγιαλού, το ύψος περιορίζεται σε 7,5 m.
5. Δεν είναι υποχρεωτική, όσον αφορά την προκυμαία.
6. Περιλαμβάνει εστιατόρια, ταβέρνες, καταστήματα ειδών πλοίων, άλλα καταστήματα, κέντρα διασκέδασης, πώληση σκαφών, κτίρια για επισκευές και συντήρηση σκαφών και παρεμφερή καταστήματα κ.λ.π.
7. Η περιοχή του χώρου στάθμευσης μπορεί να χρησιμοποιηθεί για ξηρά εναπόθεση σκαφών κατά τη μη τουριστική περίοδο. Οι θέσεις στην ξηρά μπορούν να χρησιμοποιηθούν για να ικανοποιήσουν τις ανάγκες για χώρο στάθμευσης κατά τη διάρκεια της περιόδου αιχμής.
8. Η θέση των ορίων των προτεινομένων προσχώσεων, που εμφανίζονται στο σχέδιο, είναι δυνατόν ν' αλλάξουν υπό τον όρο ότι η ολική έκταση της χερσαίας ζώνης δεν θα υπερβαίνει την έκταση που απεικονίζεται στο παρόν σχέδιο. Η τελική θέση της τοποθετήσεως των προσχώσεων εγκρίνεται από την Επιτροπή κατόπιν εισηγήσεως της Γραμματείας.
ι)στ. ΤΟΥΡΛΟΣ, ΜΥΚΟΝΟΥ
Οι ακόλουθες χρήσεις γης μπορούν να αναπτυχθούν εντός των παραμέτρων που αναφέρονται κατωτέρω:
1. Επιτρεπόμενες χρήσεις γης και περιορισμοί δόμησης
Κατηγορία Χρήσεων Γης
|
Μέγιστος Συντελεστής Δόμησης
|
Μέγιστο Ύψος (m)
|
Ελάχιστη Απόσταση από το όριο (m)
|
Ελάχιστη Αναλογία Θέσεων Στάθμευσης
|
Εμπορικές Δραστηριότητες (ίδε και 6)
|
0.10
|
7,5 (ίδε και 4)
|
5 (ίδε και 5)
|
2/100 m2
|
Κατοικίες
|
0.15
|
7,5
|
5
|
1 ανά κατοικία
|
Αθλητικές εγκαταστάσεις και εναπόθεση σκαφών στην ξηρά
|
|
|
|
|
2. Συντελεστής δόμησης: 0,20 επί της συνολικής χερσαίας έκτασης
3. Ποσοστό κάλυψης γηπέδου: 10%
4. Σε απόσταση μέχρι 15 m από τη γραμμή του αιγιαλού, το ύψος περιορίζεται σε 7,5 m.
5. Δεν είναι υποχρεωτική, όσον αφορά την προκυμαία.
6. Περιλαμβάνει εστιατόρια, ταβέρνες, καταστήματα ειδών πλοίων, άλλα καταστήματα, κέντρα διασκέδασης, πώληση σκαφών, κτίρια για επισκευές και συντήρηση σκαφών και παρεμφερή καταστήματα κ.λ.π.
7. Η περιοχή του χώρου στάθμευσης μπορεί να χρησιμοποιηθεί για ξηρά εναπόθεση σκαφών κατά τη μη τουριστική περίοδο. Οι θέσεις στην ξηρά μπορούν να χρησιμοποιηθούν για να ικανοποιήσουν τις ανάγκες για χώρο στάθμευσης κατά τη διάρκεια της περιόδου αιχμής.
8. Η θέση των ορίων των προτεινομένων προσχώσεων, που εμφανίζονται στο σχέδιο, είναι δυνατόν ν' αλλάξουν υπό τον όρο ότι η ολική έκταση της χερσαίας ζώνης δεν θα υπερβαίνει την έκταση που απεικονίζεται στο παρόν σχέδιο. Η τελική θέση της τοποθετήσεως των προσχώσεων εγκρίνεται από την Επιτροπή κατόπιν εισηγήσεως της Γραμματείας.






