Προεδρικό διάταγμα 10/8/00b - Άρθρο 1

Άρθρο 1


Συνδεθείτε στην Υπηρεσία Νομοσκόπιο
Είσοδος στην υπηρεσία Νομοσκόπιο.
   
Χρήστης
Κωδικός
  Υπενθύμιση στοιχείων λογαριασμού
   
 
Νέοι χρήστες
Εάν είστε νέος χρήστης, θα πρέπει να δημιουργήσετε ένα ΔΩΡΕΑΝ λογαριασμό προκειμένου να φύγει το παράθυρο αυτό και να αποκτήσετε πλήρη πρόσβαση στην υπηρεσία Νομοσκόπιο.
Δημιουργία νέου λογαριασμού

 

 

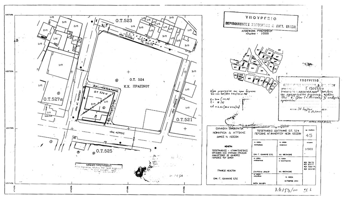
Εγκρίνεται η τροποποίηση του ρυμοτομικού σχεδίου του δήμου Ιλίου (νομού Αττικής), επί του βασικού οδικού δικτύου και ειδικότερα στον 524 κοινόχρηστο χώρο πρασίνου με το χαρακτηρισμό τμήματος αυτού σε οικοδομήσιμο (ΟΤ524Α) και την έγκριση πεζοδρόμου, όπως φαίνεται στο σχετικό πρωτότυπο διάγραμμα σε κλίμακα 1:500, που θεωρήθηκε από τον Προϊστάμενο της Διεύθυνσης Τοπογραφικών Εφαρμογών με την υπ' αριθμόν 1305/2000 πράξη του και που αντίτυπό του σε φωτοσμίκρυνση δημοσιεύεται με το παρόν διάταγμα.

 

pd.10.8.00b



Copyright © 2017 TechnoLogismiki. Με την επιφύλαξη παντός δικαιώματος.