Προεδρικό διάταγμα 11/3/99 - Άρθρο 1

Άρθρο 1


Συνδεθείτε στην Υπηρεσία Νομοσκόπιο
Είσοδος στην υπηρεσία Νομοσκόπιο.
   
Χρήστης
Κωδικός
  Υπενθύμιση στοιχείων λογαριασμού
   
 
Νέοι χρήστες
Εάν είστε νέος χρήστης, θα πρέπει να δημιουργήσετε ένα ΔΩΡΕΑΝ λογαριασμό προκειμένου να φύγει το παράθυρο αυτό και να αποκτήσετε πλήρη πρόσβαση στην υπηρεσία Νομοσκόπιο.
Δημιουργία νέου λογαριασμού

 

 

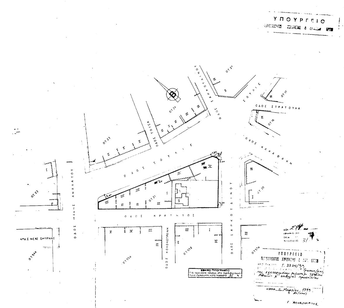
Εγκρίνεται η τροποποίηση του εγκεκριμένου ρυμοτομικού σχεδίου Αθηνών, στην περιοχή 47 και ειδικότερα στον 21 κοινόχρηστο χώρο που καθορίστηκε με το από [ΒΔ] 20-03-1957 βασιλικό διάταγμα (ΦΕΚ 43/Α/1957) και περικλείεται από τις οδούς Σουλιέ, Σαρκουδίνου, Κράτησης και Μάχης Αναλάτου με τη μετατροπή αυτού σε οικοδομήσιμο, όπως φαίνεται στο σχετικό πρωτότυπο διάγραμμα σε κλίμακα 1:500 που θεωρήθηκε από τον Προϊστάμενο της Διεύθυνσης Τοπογραφικών Εφαρμογών με την 3324/1999 πράξη του και που αντίτυπό του σε φωτοσμίκρυνση δημοσιεύεται με το παρόν διάταγμα.

 

pd.11.3.99



Copyright © 2017 TechnoLogismiki. Με την επιφύλαξη παντός δικαιώματος.