| Συνδεθείτε στην Υπηρεσία Νομοσκόπιο | | | | | Νέοι χρήστες | | Εάν είστε νέος χρήστης, θα πρέπει να δημιουργήσετε ένα ΔΩΡΕΑΝ λογαριασμό προκειμένου να φύγει το παράθυρο αυτό και να αποκτήσετε πλήρη πρόσβαση στην υπηρεσία Νομοσκόπιο. | | Δημιουργία νέου λογαριασμού | | |
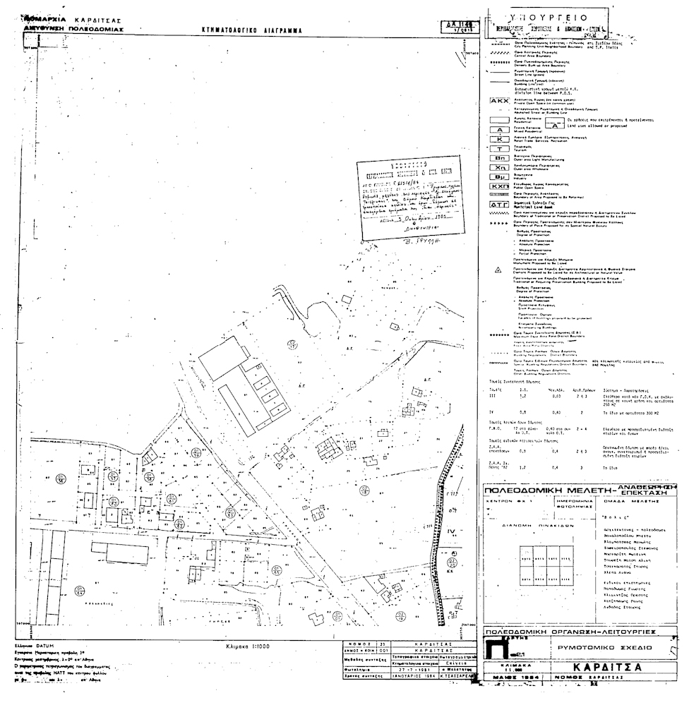
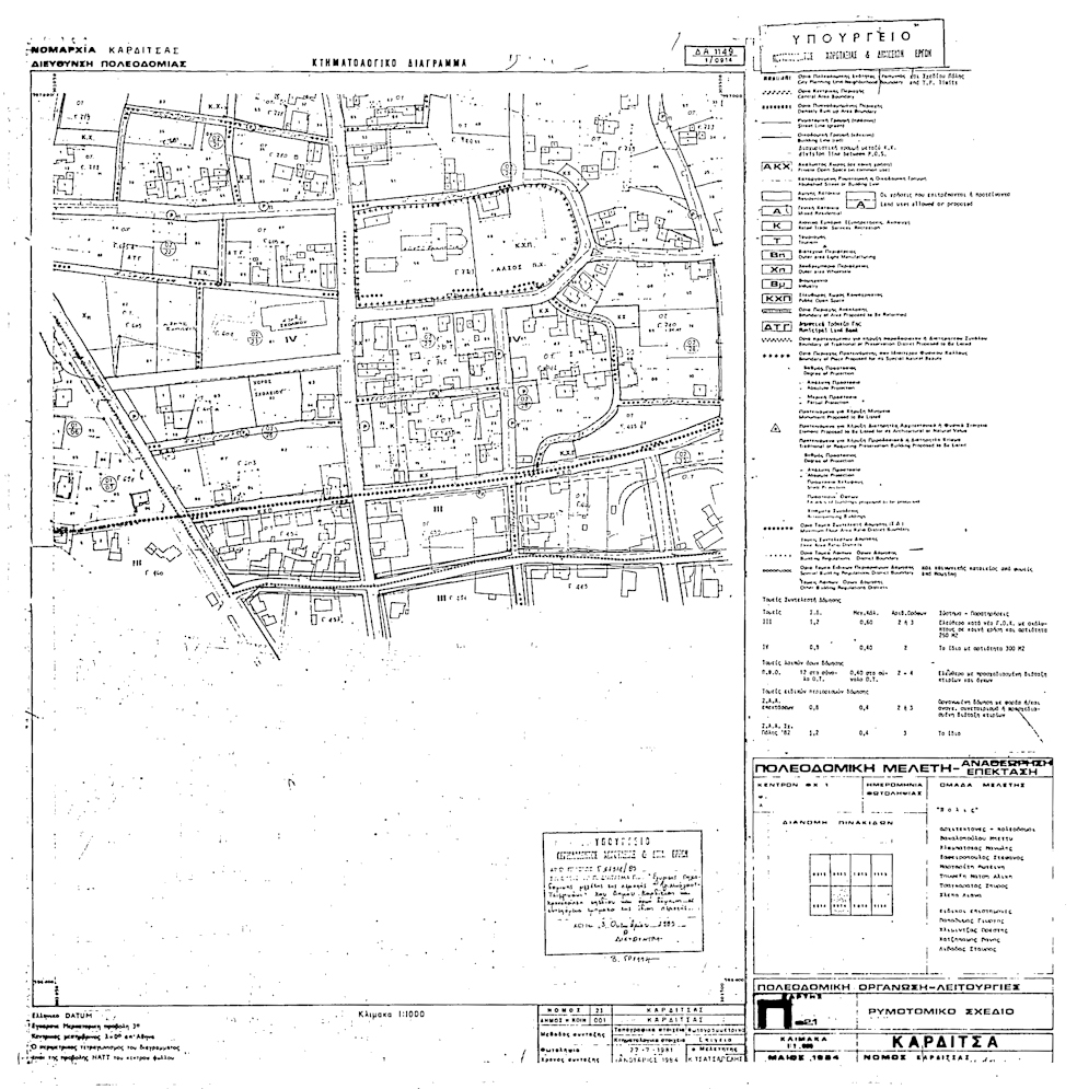
Εγκρίνεται:
α) η τροποποίηση του εγκεκριμένου ρυμοτομικού σχεδίου της περιοχής Άγιος Νικόλαος, Τσιφλικάκι του Δήμου Καρδίτσας με την μετατόπιση τμήματος της οδού Αρματωλών από της οδού Τρικάλων μέχρι της οδού Ερμογένους, η δημιουργία κοινόχρηστου χώρου πρασίνου στο τμήμα της οδού Αρματωλών μεταξύ των οδών Τρικάλων και Αγίου Νικολάου, η δημιουργία κοινόχρηστου χώρου και πεζοδρόμου στο 431 οικοδομικό τετράγωνο και η αρίθμηση σε 431Α του νέου οικοδομικού τετραγώνου που προκύπτει, η κατάργηση οδών και η δημιουργία πεζοδρόμων και κοινοχρήστων χώρων μέσα στα 398 και 399 οικοδομικά τετράγωνα,
β) το πολεοδομικό σχέδιο της ίδιας περιοχής του Δήμου Καρδίτσας σε συνέχεια της τροποποιούμενης που έχει χαρακτηρισθεί με την υπ' αριθμόν 54812/1985 απόφαση του Υπουργού Περιβάλλοντος και Δημοσίων Έργων με τον καθορισμό οικοδομήσιμων χώρων, οδών πεζοδρόμων, κοινοχρήστων χώρων και χώρων πρασίνου, χώρου παιδικής χαράς, άλσους, χώρων στάθμευσης αυτοκινήτων, χώρου εκκλησίας, χώρου πολιτιστικού κέντρου, χώρων σχολείου και χώρου παιδικού σταθμού όπως οι παραπάνω ρυθμίσεις φαίνονται στα 8 χρωματισμένα σχετικά πρωτότυπα διαγράμματα σε κλίμακα 1:1000 που θεωρήθηκαν από τον Προϊστάμενο της Διεύθυνσης Πολεοδομικών Εφαρμογών με την υπ' αριθμόν 61514/1985 πράξη του και που συνοπτικά τους αντίτυπα δημοσιεύονται με το παρόν διάταγμα.







