Προεδρικό διάταγμα 19/11/80 - Άρθρο 1

Άρθρο 1


Συνδεθείτε στην Υπηρεσία Νομοσκόπιο
Είσοδος στην υπηρεσία Νομοσκόπιο.
   
Χρήστης
Κωδικός
  Υπενθύμιση στοιχείων λογαριασμού
   
 
Νέοι χρήστες
Εάν είστε νέος χρήστης, θα πρέπει να δημιουργήσετε ένα ΔΩΡΕΑΝ λογαριασμό προκειμένου να φύγει το παράθυρο αυτό και να αποκτήσετε πλήρη πρόσβαση στην υπηρεσία Νομοσκόπιο.
Δημιουργία νέου λογαριασμού

 

 

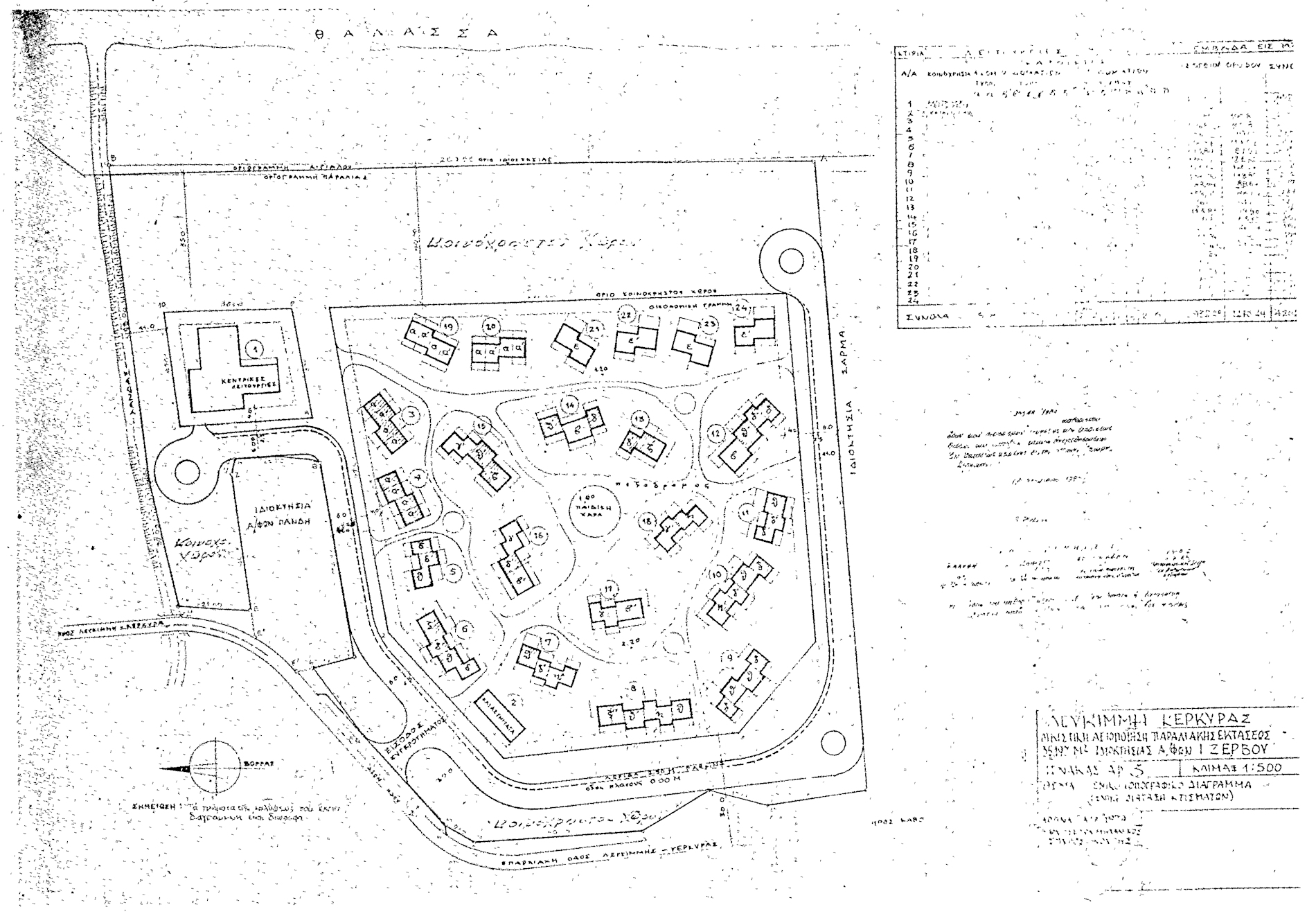
Εγκρίνεται η θέση και η διάταξις κτιρίων επί εκτάσεως 35.197 m2, φερομένης ως ανήκουσας εις τους Σπυρίδωνα Ζερβό, Κωνσταντίνο Ζερβό και Γρηγόρη Ζερβό, κειμένης έκτος σχεδίου εις την περιοχήν οικισμού Λευκίμμης του Δήμου Κερκύρας ως εμφαίνεται στο υπό του Γενικού Διευθυντή Οικισμού θεωρημένο δια της υπ' αριθμόν Γ/35548/1980 πράξεως αυτού σχετικό πρωτότυπο διάγραμμα υπό κλίμακα 1:500 του οποίου συνοπτικό αντίτυπο δημοσιεύεται μετά του παρόντος.

 

pd.19.11.80



Copyright © 2020 TechnoLogismiki. Με την επιφύλαξη παντός δικαιώματος.