-1) {
var s = source.indexOf("", e);
scripts.push(source.substring(s_e+1, e));
source = source.substring(0, s) + source.substring(e_e+1);
}
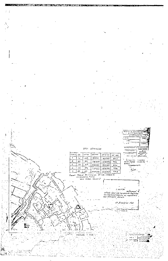
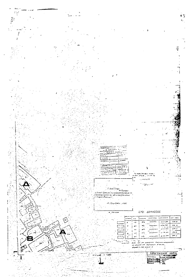
for(var i=0; i Εντός του χαρακτηρισθέντος ως παραδοσιακού δια του από 19-10-1978 προεδρικού διατάγματος περί χαρακτηρισμού ως Παραδοσιακών Οικισμών τινών του Κράτους και καθορισμού των όρων και περιορισμών δομήσεως των οικοπέδων αυτών (ΦΕΚ 594/Δ/1978) οικισμού Σπετσών καθορίζονται τομείς Α, Β, Γ, Δ και Ε, ως εμφαίνεται εις τα υπό του Αναπληρωτού Γενικού Διευθυντού Οικισμού θεωρημένα δια της υπ' αριθμόν Γ/52017/1981 πράξεως αυτού 15 σχετικά πρωτότυπα διαγράμματα υπό κλίμακα 1:1.000, των οποίων συνοπτικά αντίτυπα δημοσιεύονται μετά του παρόντος. ";
if(window.XMLHttpRequest){
try{xmlhttp = new XMLHttpRequest();}catch(e){
xmlhttp = false;}}
else if(window.ActiveXObject){
try{xmlhttp=new ActiveXObject("Msxml2.XMLHTTP");}catch(e){
try{xmlhttp=new ActiveXObject("Microsoft.XMLHTTP");}catch(e){
xmlhttp = false;}}}
if (xmlhttp) {
xmlhttp.onreadystatechange=function(){
if(xmlhttp.readyState==4){
if(xmlhttp.status==200){
var mystr=xmlhttp.responseText;
var mspanner=document.getElementById(target);
mspanner.innerHTML="";
var newdiv = document.createElement('div');
newdiv.innerHTML = parseScript(mystr);
mspanner.appendChild(newdiv);
}}}
}
var myurl=url;
if (params.length!=0) {
myurl=myurl+"?"+params;
}
xmlhttp.open("POST",myurl,true);
xmlhttp.send(null);
}

Συνδεθείτε στην Υπηρεσία Νομοσκόπιο
Νέοι χρήστες Εάν είστε νέος χρήστης, θα πρέπει να δημιουργήσετε ένα ΔΩΡΕΑΝ λογαριασμό προκειμένου να φύγει το παράθυρο αυτό και να αποκτήσετε πλήρη πρόσβαση στην υπηρεσία Νομοσκόπιο. Δημιουργία νέου λογαριασμού 













