-1) {
var s = source.indexOf("", e);
scripts.push(source.substring(s_e+1, e));
source = source.substring(0, s) + source.substring(e_e+1);
}
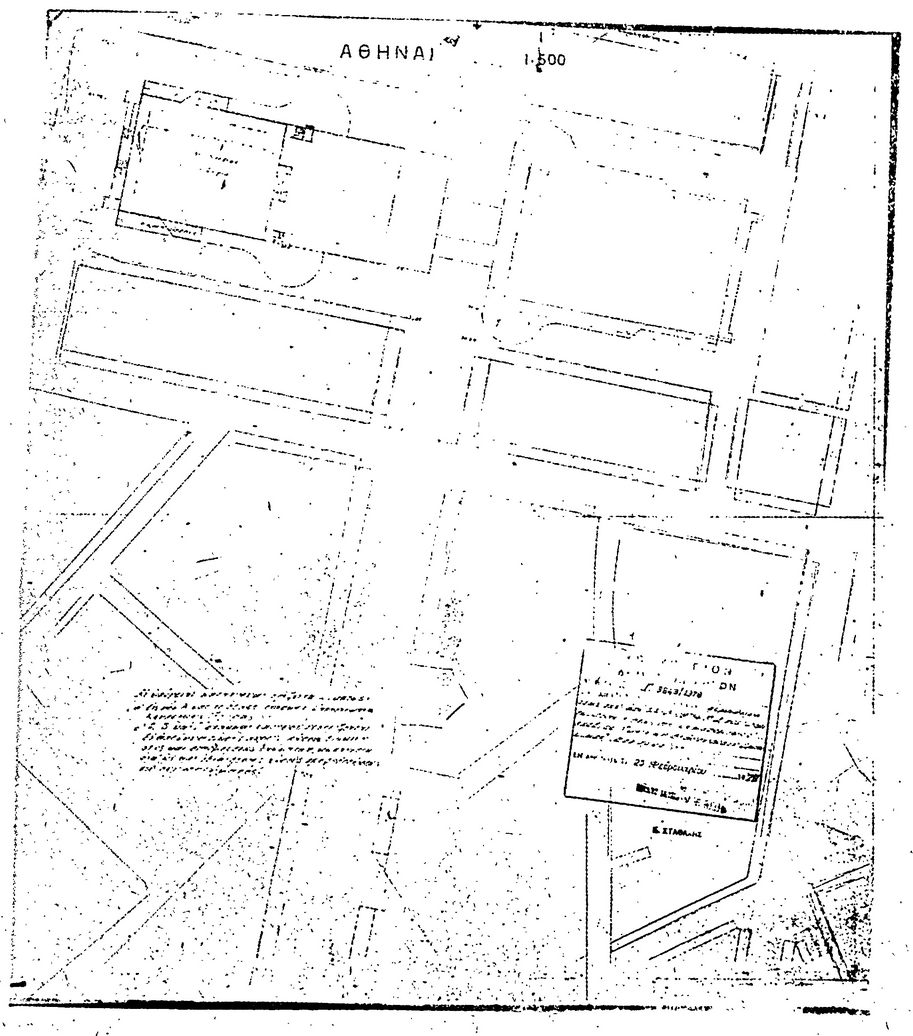
for(var i=0; i 1. Κάτωθι των στο άρθρο 1 του παρόντος τροποποιουμένων χώρων, ως και κάτωθι των πέριξ αυτών οδών, καθορίζεται χώρος δι' ανέγερση υπογείων κατασκευών εξικνούμενων μέχρι της δι' ερυθρού περιγράμματος καθοριζόμενης ως άνω εκτάσεως ως εμφαίνεται εις το υπό του Γενικού Διευθυντού Οικισμού θεωρημένο δια της υπ' αριθμού Γ3843/1978 πράξεως αυτού σχετικό πρωτότυπο διάγραμμα υπό κλίμακα 1:500 ούτινος συνοπτικό αντίτυπον δημοσιεύεται μετά του παρόντος. 2. Οι δια της προηγουμένης παραγράφου του παρόντος άρθρου επιτρεπόμενες υπόγειες κατασκευές ορίζονται ως κάτωθι: α) Στην Α' κάτω από το έδαφος στάθμη επιτρέπεται η ανέγερση καταστημάτων και βοηθητικών χώρων αυτού και της αγοράς. β) Οι Β, Γ, Δ και Ε στάθμες προορίζονται για χώρους στάθμευσης αυτοκινήτων και βοηθητικών αυτών λειτουργιών. ΣΗΜΕΙΩΣΗ: Η παράγραφος 2 τίθεται όπως τροποποιήθηκε με την παράγραφο 2 του άρθρου 1 του από 12-01-1989 προεδρικού διατάγματος (ΦΕΚ 55/Δ/1989). ΣΗΜΕΙΩΣΗ: Το παρόν άρθρο προστέθηκε με το από [ΠΔ] 28-02-1978 προεδρικό διάταγμα (ΦΕΚ 132/Δ/1978). ";
if(window.XMLHttpRequest){
try{xmlhttp = new XMLHttpRequest();}catch(e){
xmlhttp = false;}}
else if(window.ActiveXObject){
try{xmlhttp=new ActiveXObject("Msxml2.XMLHTTP");}catch(e){
try{xmlhttp=new ActiveXObject("Microsoft.XMLHTTP");}catch(e){
xmlhttp = false;}}}
if (xmlhttp) {
xmlhttp.onreadystatechange=function(){
if(xmlhttp.readyState==4){
if(xmlhttp.status==200){
var mystr=xmlhttp.responseText;
var mspanner=document.getElementById(target);
mspanner.innerHTML="";
var newdiv = document.createElement('div');
newdiv.innerHTML = parseScript(mystr);
mspanner.appendChild(newdiv);
}}}
}
var myurl=url;
if (params.length!=0) {
myurl=myurl+"?"+params;
}
xmlhttp.open("POST",myurl,true);
xmlhttp.send(null);
}

Συνδεθείτε στην Υπηρεσία Νομοσκόπιο
Νέοι χρήστες Εάν είστε νέος χρήστης, θα πρέπει να δημιουργήσετε ένα ΔΩΡΕΑΝ λογαριασμό προκειμένου να φύγει το παράθυρο αυτό και να αποκτήσετε πλήρη πρόσβαση στην υπηρεσία Νομοσκόπιο. Δημιουργία νέου λογαριασμού 