Προεδρικό διάταγμα 24/6/85 - Άρθρο 1

Άρθρο 1


Συνδεθείτε στην Υπηρεσία Νομοσκόπιο
Είσοδος στην υπηρεσία Νομοσκόπιο.
   
Χρήστης
Κωδικός
  Υπενθύμιση στοιχείων λογαριασμού
   
 
Νέοι χρήστες
Εάν είστε νέος χρήστης, θα πρέπει να δημιουργήσετε ένα ΔΩΡΕΑΝ λογαριασμό προκειμένου να φύγει το παράθυρο αυτό και να αποκτήσετε πλήρη πρόσβαση στην υπηρεσία Νομοσκόπιο.
Δημιουργία νέου λογαριασμού

 

 

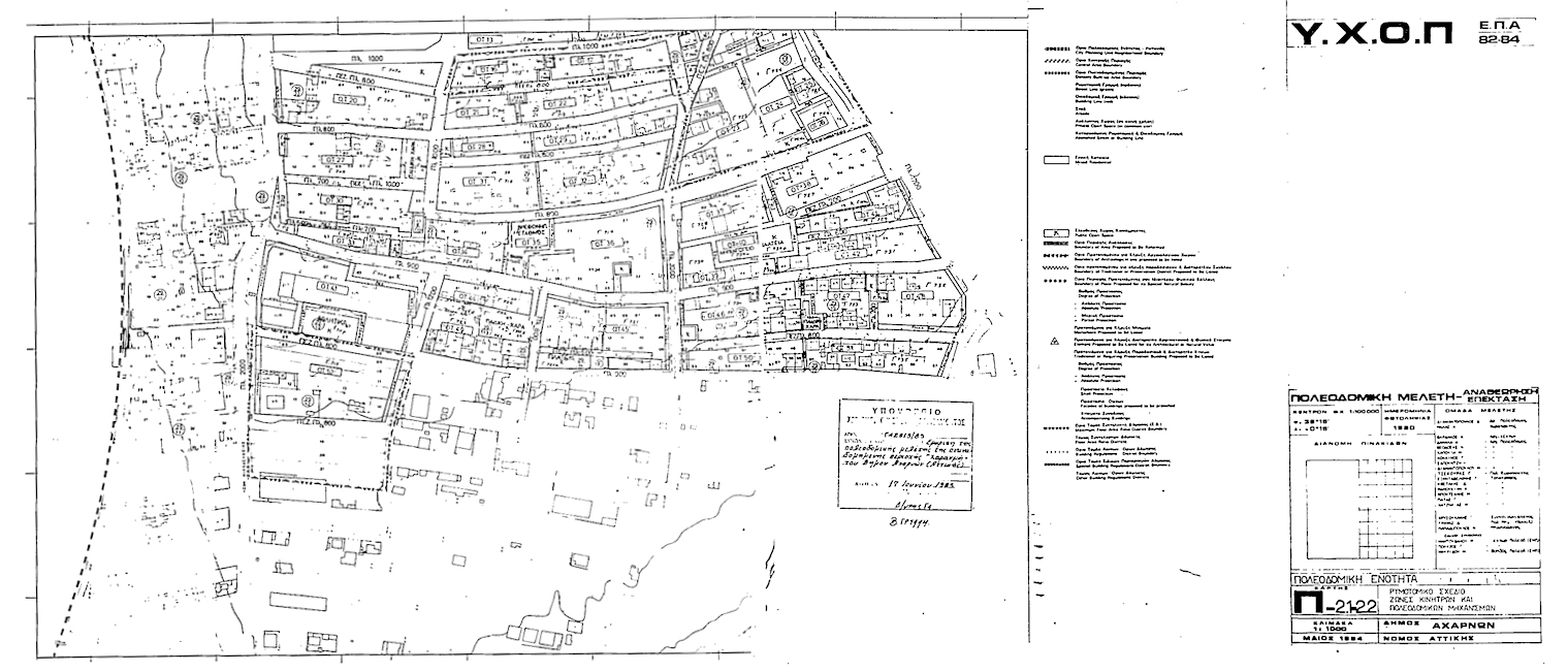
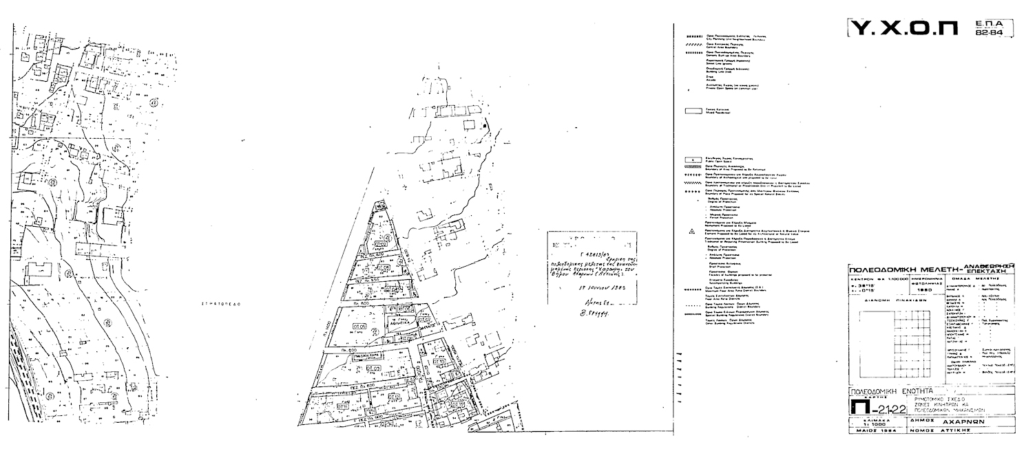
Εγκρίνεται το πολεοδομικό σχέδιο της περιοχής Χαραυγή του Δήμου Αχαρνών, που έχει χαρακτηρισθεί ως πυκνοδομημένη με την υπ' αριθμόν 28945/1985 απόφαση του Υπουργού Χωροταξίας, Οικισμού και Περιβάλλοντος, με τον καθορισμό οικοδομήσιμων χώρων, οδών, πεζοδρόμων, κοινοχρήστων χώρων, πλατειών, παιδικών χαρών, χώρων αθλητικών εγκαταστάσεων, χώρων Νηπιαγωγείου και χώρου Βρεφονηπιακού σταθμού όπως φαίνεται στα 2 σχετικά πρωτότυπα διαγράμματα σε κλίμακα 1:1000 που θεωρήθηκαν από τον Προϊστάμενο της Διεύθυνσης Πολεοδομικών Εφαρμογών με την υπ' αριθμόν πράξη του 42813/1985 και που συνοπτικά τους αντίτυπα δημοσιεύονται με το παρόν διάταγμα.

 

pd.24.6.85.1

pd.24.6.85.2



Copyright © 2020 TechnoLogismiki. Με την επιφύλαξη παντός δικαιώματος.