Προεδρικό διάταγμα 29/3/13 - Άρθρο 1

Άρθρο 1


Συνδεθείτε στην Υπηρεσία Νομοσκόπιο
Είσοδος στην υπηρεσία Νομοσκόπιο.
   
Χρήστης
Κωδικός
  Υπενθύμιση στοιχείων λογαριασμού
   
 
Νέοι χρήστες
Εάν είστε νέος χρήστης, θα πρέπει να δημιουργήσετε ένα ΔΩΡΕΑΝ λογαριασμό προκειμένου να φύγει το παράθυρο αυτό και να αποκτήσετε πλήρη πρόσβαση στην υπηρεσία Νομοσκόπιο.
Δημιουργία νέου λογαριασμού

 

 

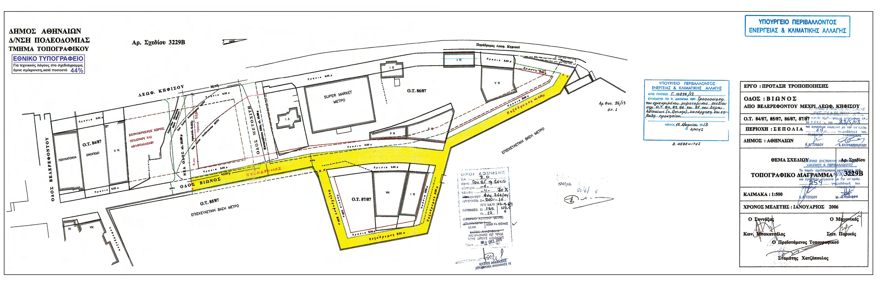
Εγκρίνεται η τροποποίηση του εγκεκριμένου ρυμοτομικού σχεδίου του Δήμου Αθηναίων (νομού Αττικής) στην περιοχή 87 και ειδικότερα στα οικοδομικά τετράγωνα 84, 85, 86, 87 με την μετατόπιση των ρυμοτομικών και οικοδομικών γραμμών, την κατάργηση οδού και έγκριση νέας, την μετατροπή τμήματος οικοδομήσιμου χώρου σε κοινόχρηστο (οδό), τον χαρακτηρισμό τμήματος της οδού Βίωνος ως πεζοδρόμου και τον καθορισμό σε τμήμα του οικοδομικού τετραγώνου 84 κοινόχρηστου χώρου πρασίνου και αθλοπαιδιών, όπως οι ρυθμίσεις αυτές φαίνονται στο σχετικό πρωτότυπο διάγραμμα σε κλίμακα 1:500, που θεωρήθηκε από τον Προϊστάμενο της Διεύθυνσης Τοπογραφικών Εφαρμογών με την υπ' αριθμόν 10259/2013 πράξη του και που αντίτυπο του σε φωτοσμίκρυνση δημοσιεύεται με την παρόν διάταγμα.

 

pd.29.3.13



Copyright © 2020 TechnoLogismiki. Με την επιφύλαξη παντός δικαιώματος.