-1) {
var s = source.indexOf("", e);
scripts.push(source.substring(s_e+1, e));
source = source.substring(0, s) + source.substring(e_e+1);
}
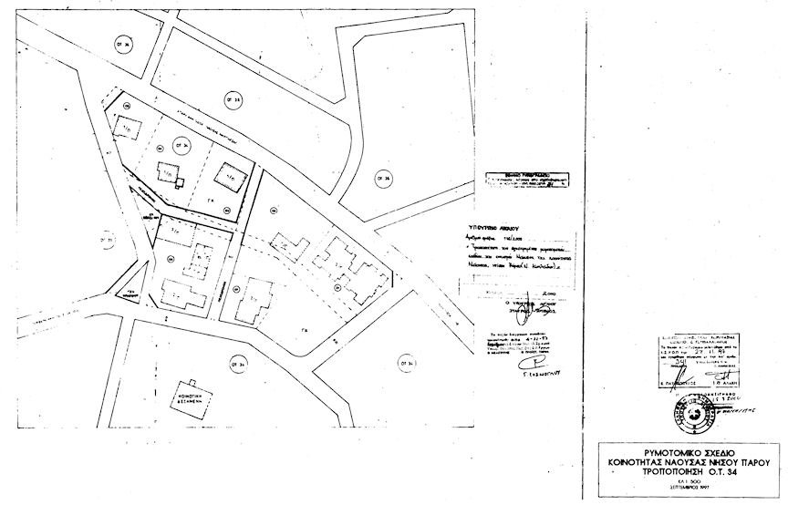
for(var i=0; i Εγκρίνεται η τροποποίηση του εγκεκριμένου ρυμοτομικού σχεδίου του οικισμού Νάουσας νήσου Πάρου (νομού Κυκλάδων), ο οποίος έχει χαρακτηρισθεί ως παραδοσιακός με το από 19-10-1978 προεδρικό διάταγμα (ΦΕΚ 594/Δ/1978) και του οποίου τα όρια έχουν καθορισθεί με την 5089/1987 (ΦΕΚ 818/Δ/1987) απόφαση του Νομάρχη Κυκλάδων και ειδικότερα στην περιοχή Άγιος Γεώργιος στο οικοδομικό τετράγωνο 34 με την μετατόπιση ρυμοτομικών και οικοδομικών γραμμών, την κατάργηση οδού, την μετατροπή κοινόχρηστου χώρου σε οικοδομήσιμο, τον καθορισμό κοινοχρήστων χώρων πρασίνου, την έγκριση πεζοδρόμων και την δημιουργία νέων οικοδομικών τετραγώνων, όπως οι ρυθμίσεις αυτές φαίνονται στο σχετικό πρωτότυπο διάγραμμα σε κλίμακα 1:500 που θεωρήθηκε από τον Υπουργό Αιγαίου με την υπ' αριθμόν 116/2000 πράξη του και που αντίτυπό του σε φωτοσμίκρυνση δημοσιεύεται με το παρόν διάταγμα. ";
if(window.XMLHttpRequest){
try{xmlhttp = new XMLHttpRequest();}catch(e){
xmlhttp = false;}}
else if(window.ActiveXObject){
try{xmlhttp=new ActiveXObject("Msxml2.XMLHTTP");}catch(e){
try{xmlhttp=new ActiveXObject("Microsoft.XMLHTTP");}catch(e){
xmlhttp = false;}}}
if (xmlhttp) {
xmlhttp.onreadystatechange=function(){
if(xmlhttp.readyState==4){
if(xmlhttp.status==200){
var mystr=xmlhttp.responseText;
var mspanner=document.getElementById(target);
mspanner.innerHTML="";
var newdiv = document.createElement('div');
newdiv.innerHTML = parseScript(mystr);
mspanner.appendChild(newdiv);
}}}
}
var myurl=url;
if (params.length!=0) {
myurl=myurl+"?"+params;
}
xmlhttp.open("POST",myurl,true);
xmlhttp.send(null);
}

Συνδεθείτε στην Υπηρεσία Νομοσκόπιο
Νέοι χρήστες Εάν είστε νέος χρήστης, θα πρέπει να δημιουργήσετε ένα ΔΩΡΕΑΝ λογαριασμό προκειμένου να φύγει το παράθυρο αυτό και να αποκτήσετε πλήρη πρόσβαση στην υπηρεσία Νομοσκόπιο. Δημιουργία νέου λογαριασμού 