Προεδρικό διάταγμα 2/5/01 - Άρθρο 2

Άρθρο 2


Συνδεθείτε στην Υπηρεσία Νομοσκόπιο
Είσοδος στην υπηρεσία Νομοσκόπιο.
   
Χρήστης
Κωδικός
  Υπενθύμιση στοιχείων λογαριασμού
   
 
Νέοι χρήστες
Εάν είστε νέος χρήστης, θα πρέπει να δημιουργήσετε ένα ΔΩΡΕΑΝ λογαριασμό προκειμένου να φύγει το παράθυρο αυτό και να αποκτήσετε πλήρη πρόσβαση στην υπηρεσία Νομοσκόπιο.
Δημιουργία νέου λογαριασμού

 

 

Η κατασκευή του παραπάνω υπογείου χώρου στάθμευσης αυτοκινήτων υπόκειται στους εξής περιορισμούς:

 

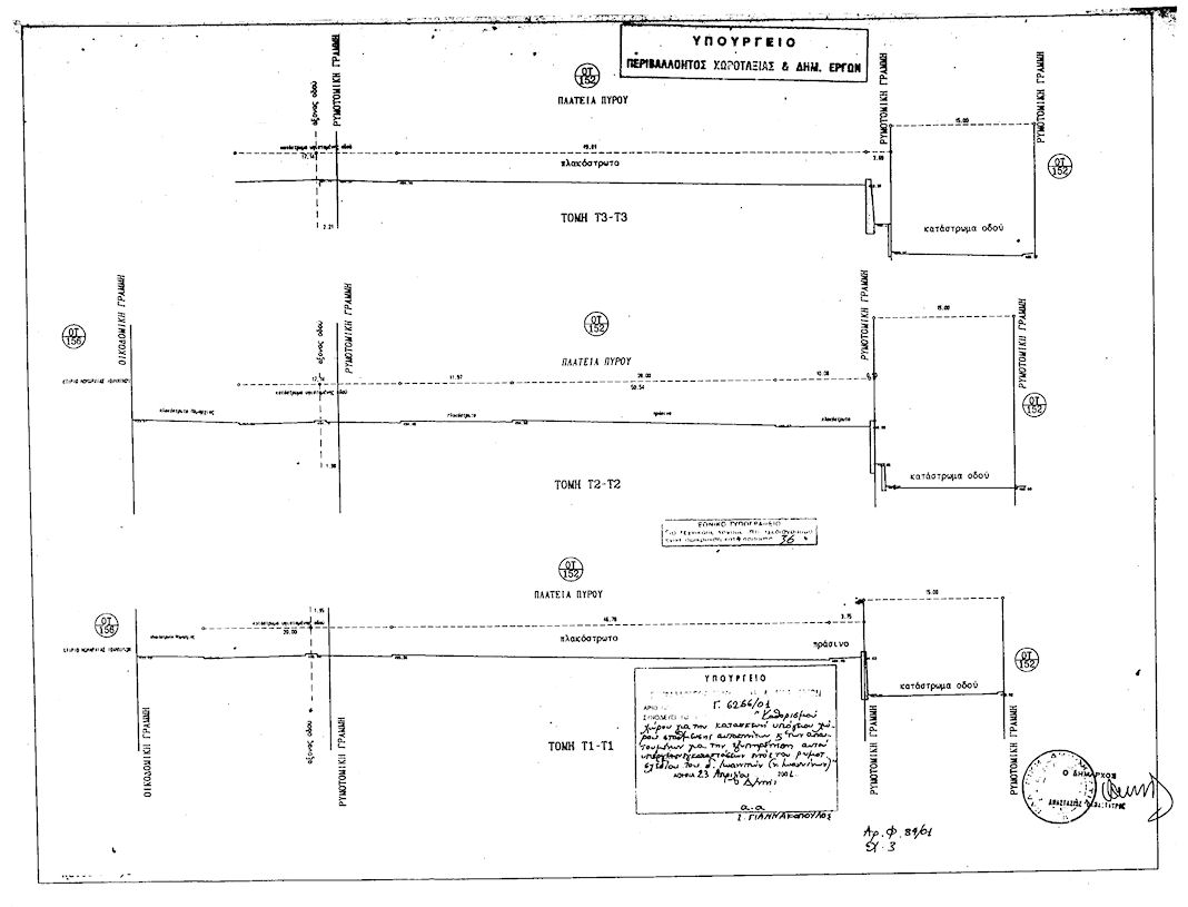
1. Το κτίριο στάθμευσης δύναται να είναι υπέργειο από την πλευρά της ανωνύμου οδού κατά την υφιστάμενη διαφορά των υψομέτρων με την οδό Δωδώνης, όπως φαίνεται στα 2 σχετικά πρωτότυπα διαγράμματα οριζοντιογραφίας υφιστάμενης κατάστασης και τομών σε κλίμακα 1:500 και 1:200 αντίστοιχα που θεωρήθηκαν από τον Προϊστάμενο της Διεύθυνσης Τοπογραφικών Εφαρμογών με την υπ' αριθμόν 6266/2001 πράξη του και που αντίτυπά τους σε φωτοσμίκρυνση δημοσιεύονται με το παρόν διάταγμα.

 

2. Οι υπέργειες εγκαταστάσεις και το υπέργειο κατά την παράγραφο 1 του άρθρου τούτου, τμήμα του κτιρίου, πρέπει να περιορισθούν στο απολύτως αναγκαίο μέτρο και να μην παρεμποδίζουν την κοινή χρήση της πλατείας.

 

3. Δεν επιτρέπεται η πρόκληση βλάβης ή η διατάραξη της χρήσεως της πλατείας από την είσοδο και την έξοδο του υπογείου σταθμού επί της ανωνύμου οδού.

 

pd.2.5.01.2

pd.2.5.01.3



Copyright © 2020 TechnoLogismiki. Με την επιφύλαξη παντός δικαιώματος.