Προεδρικό διάταγμα 4/10/05 - Άρθρο 1

Άρθρο 1


Συνδεθείτε στην Υπηρεσία Νομοσκόπιο
Είσοδος στην υπηρεσία Νομοσκόπιο.
   
Χρήστης
Κωδικός
  Υπενθύμιση στοιχείων λογαριασμού
   
 
Νέοι χρήστες
Εάν είστε νέος χρήστης, θα πρέπει να δημιουργήσετε ένα ΔΩΡΕΑΝ λογαριασμό προκειμένου να φύγει το παράθυρο αυτό και να αποκτήσετε πλήρη πρόσβαση στην υπηρεσία Νομοσκόπιο.
Δημιουργία νέου λογαριασμού

 

 

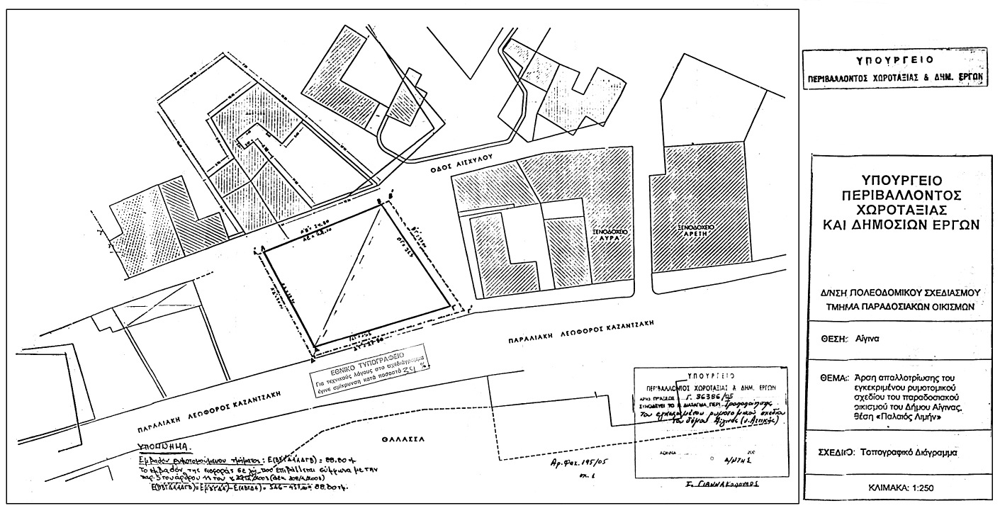
Εγκρίνεται η τροποποίηση του εγκεκριμένου ρυμοτομικού σχεδίου του Δήμου Αίγινας (νομού Αττικής) που έχει χαρακτηρισθεί ως παραδοσιακός οικισμός με το από 19-10-1978 προεδρικό διάταγμα (ΦΕΚ 594/Δ/1978) και ειδικότερα στο χώρο πλατείας που βρίσκεται στη θέση Παλαιός Λιμήν και περικλείεται από την οδό Αισχύλου και την παραλιακή Λεωφόρο Καζαντζάκη, με την μετατροπή αυτού σε οικοδομήσιμο χώρο, όπως φαίνεται στο σχετικό πρωτότυπο τοπογραφικό διάγραμμα σε κλίμακα 1:250, που θεωρήθηκε από τον Προϊστάμενο της Διεύθυνσης Τοπογραφικών Εφαρμογών με την 36386/2005 πράξη του και που αντίτυπο του σε φωτοσμίκρυνση δημοσιεύεται με το παρόν διάταγμα.

 

pd.4.10.05



Copyright © 2020 TechnoLogismiki. Με την επιφύλαξη παντός δικαιώματος.