-1) {
var s = source.indexOf("", e);
scripts.push(source.substring(s_e+1, e));
source = source.substring(0, s) + source.substring(e_e+1);
}
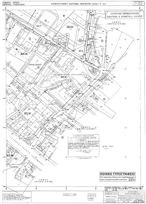
for(var i=0; i Εγκρίνεται η τροποποίηση του εγκεκριμένου ρυμοτομικού σχεδίου του Δήμου Περιστερίου (νομός Αττικής) στην πολεοδομική ενότητα του Ελαιώνα, που έχει καθορισθεί ως Ζώνη Ελεγχόμενης Ανάπτυξης με το από 18-12-1990 προεδρικό διάταγμα (ΦΕΚ 709/Δ/1990), όπως τροποποιήθηκε με το από 15-10-2002 προεδρικό διάταγμα (ΦΕΚ 996/Δ/2002), με την άρση και επανεπιβολή απαλλοτρίωσης στο τμήμα με στοιχεία Α, Β, Γ, Δ, Ε, Ζ, Η, Α, του χώρου κοινοχρήστου πρασίνου με αριθμό 9 και στο τμήμα οδού με στοιχεία Α, Η, Θ, Ι, Κ, Λ, Α, με τον επανακαθορισμό αυτών ως χώρων κοινοχρήστου πρασίνου και οδού αντίστοιχα, όπως φαίνεται που θεωρήθηκε από τον Προϊστάμενο της Διεύθυνσης Τοπογραφικών Εφαρμογών με την 28918/2011 πράξη του και που αντίτυπό του σε φωτοσμίκρυνση δημοσιεύεται με το παρόν διάταγμα. ";
if(window.XMLHttpRequest){
try{xmlhttp = new XMLHttpRequest();}catch(e){
xmlhttp = false;}}
else if(window.ActiveXObject){
try{xmlhttp=new ActiveXObject("Msxml2.XMLHTTP");}catch(e){
try{xmlhttp=new ActiveXObject("Microsoft.XMLHTTP");}catch(e){
xmlhttp = false;}}}
if (xmlhttp) {
xmlhttp.onreadystatechange=function(){
if(xmlhttp.readyState==4){
if(xmlhttp.status==200){
var mystr=xmlhttp.responseText;
var mspanner=document.getElementById(target);
mspanner.innerHTML="";
var newdiv = document.createElement('div');
newdiv.innerHTML = parseScript(mystr);
mspanner.appendChild(newdiv);
}}}
}
var myurl=url;
if (params.length!=0) {
myurl=myurl+"?"+params;
}
xmlhttp.open("POST",myurl,true);
xmlhttp.send(null);
}

Συνδεθείτε στην Υπηρεσία Νομοσκόπιο
Νέοι χρήστες Εάν είστε νέος χρήστης, θα πρέπει να δημιουργήσετε ένα ΔΩΡΕΑΝ λογαριασμό προκειμένου να φύγει το παράθυρο αυτό και να αποκτήσετε πλήρη πρόσβαση στην υπηρεσία Νομοσκόπιο. Δημιουργία νέου λογαριασμού 