| Συνδεθείτε στην Υπηρεσία Νομοσκόπιο | | | | | Νέοι χρήστες | | Εάν είστε νέος χρήστης, θα πρέπει να δημιουργήσετε ένα ΔΩΡΕΑΝ λογαριασμό προκειμένου να φύγει το παράθυρο αυτό και να αποκτήσετε πλήρη πρόσβαση στην υπηρεσία Νομοσκόπιο. | | Δημιουργία νέου λογαριασμού | | |
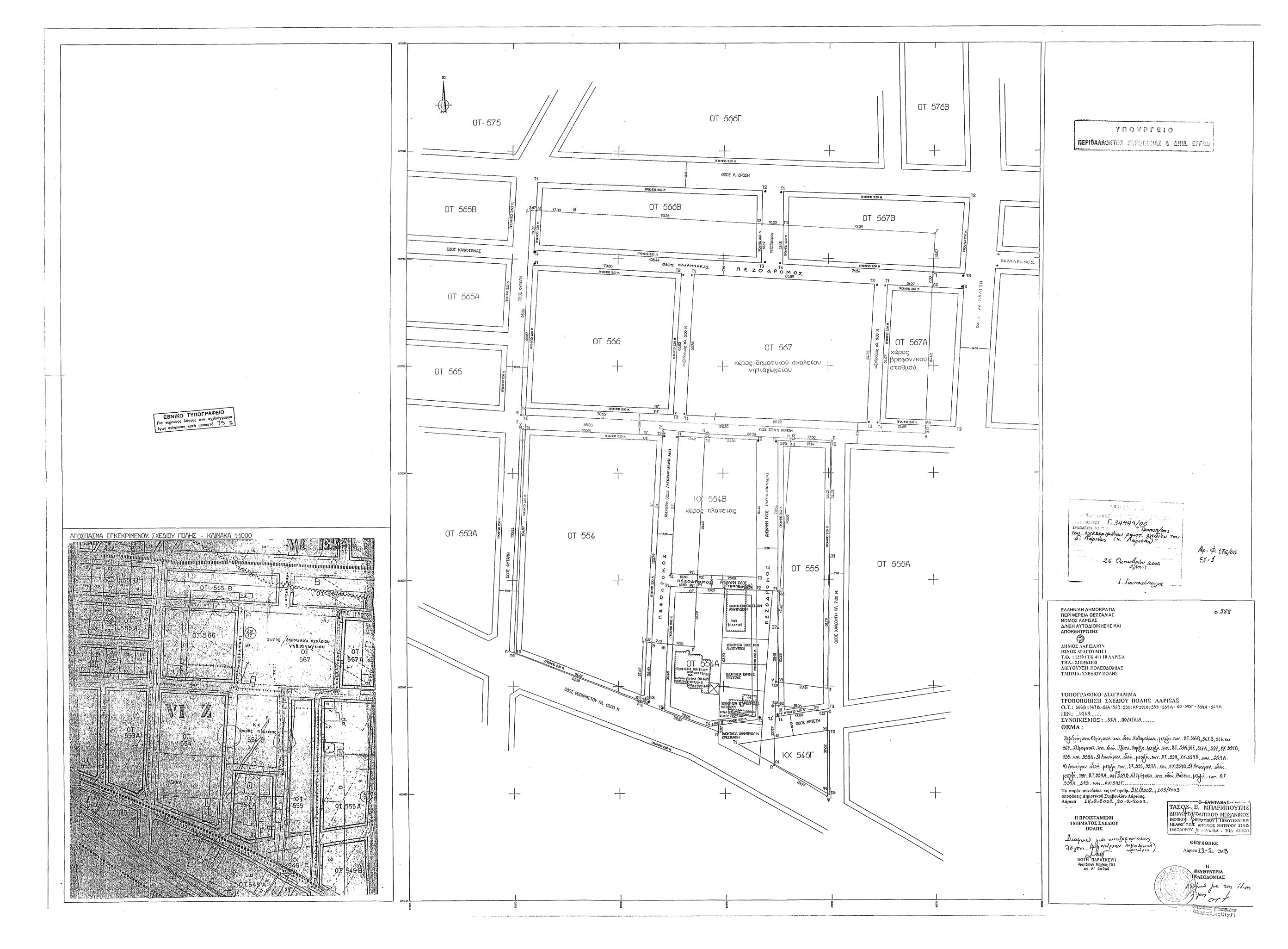
Εγκρίνεται η τροποποίηση του εγκεκριμένου ρυμοτομικού σχεδίου στην περιοχή Νέα Πολιτεία του Δήμου Λάρισας (νομού Λάρισας) η οποία έχει χαρακτηριστεί ως αρχαιολογικός χώρος με την υπ' αριθμ. ΥΠΠΟ/ΓΔΑ/ΑΡΧ./Α1/Φ.43/187/42/1272/2002 απόφαση του Υπουργού Πολιτισμού (ΦΕΚ 687/Β/2002), η οποία συνίσταται στον χαρακτηρισμό οδών ως πεζοδρόμων και ειδικότερα:
| • | της οδού Αγορογιάννη από την οδό Θεοφράστου έως την οδό Τζένης Καρέζη (μεταξύ των οικοδομικών τετραγώνων 554 και 554Α, 554 και Κοινόχρηστο Χώρο 554Β), |
| • | της οδού Ματθοπούλου από την οδό Μάτεση έως την οδό Τζένης Καρέζη (μεταξύ των Κοινόχρηστο Χώρο 554Β και οικοδομικών τετραγώνων 555, 554Α και 555), |
| • | της οδού Τεμπέλα μεταξύ των οικοδομικών τετραγώνων 554Α και Κοινόχρηστο Χώρο 554Β, |
| • | τμήματος της οδού Καλαμπάκας από την οδό Φύταλη έως την οδό Λειβαδίτη (μεταξύ των οικοδομικών τετραγώνων 566Β - 567Β και οικοδομικό τετράγωνο 566 - χώρου δημοτικού σχολείου - νηπιαγωγείου - βρεφονηπιακού σταθμού), |
όπως οι ρυθμίσεις φαίνονται στο σχετικό πρωτότυπο διάγραμμα σε κλίμακα 1:500 που θεωρήθηκε από τον Προϊστάμενο της Διεύθυνσης Τοπογραφικών Εφαρμογών με την 34444/2006 πράξη του και που αντίτυπό του σε φωτοσμίκρυνση δημοσιεύεται με το παρόν διάταγμα.
